Prodej pozemku pro bydlení, Kutná Hora, 658 m2 (ID: 2062674)

Kutná Hora, Neškaredice


1 900 Kč /za metr čtvereční
HYPOTÉKA od 8 Kč /měs.
Regionální dodavatelé v Kutné Hoře

Popis

Pozemek k výstavbě RD, 3km od Kutné Hory
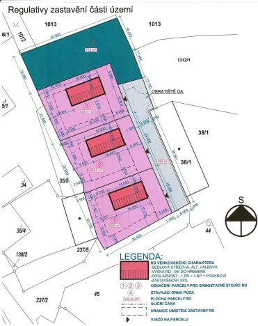
Pozemek má výměru 658m2 a nachází se v obci Neškaredice. Dle územního plánu je určen k výstavbě rodinného domu s jedním nadzemním podlažím a podkrovím s možným jedním podzemním podlažím, střecha sedlová nebo valbová s maximální výškou hřebene 9m a s maximální zastavěností pozemku 35% z celkové plochy. Na hranici pozemku bude přivedena kanalizace, vodovodní přípojka a elektro přípojka 25A.
Bude zbudována společná komunikace. K ceně nutno započítat podíl ve výši ¼ na příjezdové komunikaci, který činí 216.600,-Kč. Veškerá občanská vybavenost je v Kutné Hoře, která je vzdálena 3km. Obec se nachází 7km od Čáslavi a 15km od Kolína, dále 1,5km od silnice I.tř. č. 38 Havlíčkův Brod-Kolín. Z obce je autobusové spojení jak do Kutné Hory, tak i do Čáslavi. Vlaková zastávka v obci Církvice, trasa Praha - Havl.Brod vzdálena 1,3km.

Cena
1 900 Kč /za metr čtvereční Spočítat hypotéku
Aktualizováno
10. 2. 2026
Adresa
Kutná Hora, Neškaredice
ID
48624
Lokalita objektu
Okraj obce
Plocha pozemku
658 m2
Elektřina
230V
Odpad
Veřejná kanalizace
Komunikace
Asfaltová
Voda
Vodovod

Máte zájem o tuto nemovitost?

Tímto, v souladu s nařízením Evropského parlamentu a Rady (EU) 2016/679, v platném znění, prohlašuji, že mi je alespoň 16 let a uděluji tak svůj souhlas se zpracováním zadaných údajů (jméno, telefon, e-mail, ip adresa) společnosti B3 Technology, s.r.o., IČ: 07330600, se sídlem Novostavby 126/23, 435 11 Lom (správce dat), za účelem předání dotazu z tohoto formuláře Vámi vybranému inzerentovi a zpětného kontaktování mé osoby. Osobní údaje bude správce zpracovávat manuálně i automaticky přímo prostřednictvím svých zaměstnanců. Informace předané tímto formulářem budou uloženy v databázi správce maximálně po dobu 10 let. Odvolání souhlasu s uložením a zpracováním poskytnutých dat lze e-mailem na info@realitymat.cz. V případě podezření na neoprávněné použití Vámi poskytnutých údajů máte právo předat podnět k šetření Úřadu pro ochranu osobních údajů. Více informací
Chystáte se prodat nemovitost?
Pomůžeme Vám!

Kontakt

Michal Králik, Kutná Hora

Michal Králik, Kutná Hora

Přihlášení k odběru

Nenechte si ujít nejnovější nabídky prodeje pozemků pro bydlení v Kutné Hoře.

Podobné nabídky