Prodej pozemku pro bydlení, Kutná Hora, 12172 m2 (ID: 1253753)

Kutná Hora, Neškaredice


1 150 Kč /za metr čtvereční
HYPOTÉKA od 5 Kč /měs.
Regionální dodavatelé v Kutné Hoře

Popis

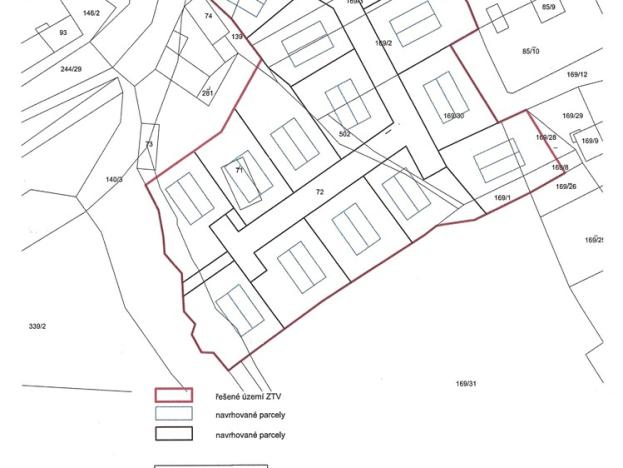
Pozemky k výstavbě rodinných domů, obec Neškaredice, 3km od Kutné Hory
Pozemky o výměře 12.172m2 v obci Neškaredice, 3km od Kutné Hory, možno rozdělit na 14 samostatných parcel.
Pozemky jsou dle územního plánu určeny k výstavbě domků vesnického typu. Elektřina, vod.řád, kanalizace na hranici . Hezké klidné místo na okraji obce.
Veškerá občanská vybavenost je v Kutné Hoře, která je vzdálena 3km. Obec se nachází 7km od Čáslavi a 15km od Kolína, dále 1,5km od silnice I.tř. č. 38 Havlíčkův Brod-Kolín. Z obce je autobusové spojení jak do Kutné Hory, tak i do Čáslavi.Vlaková zastávka v obci Církvice, trasa Praha - Havl.Brod vzdálena 1,3km.

Cena
1 150 Kč /za metr čtvereční Spočítat hypotéku
Aktualizováno
11. 2. 2026
Adresa
Kutná Hora, Neškaredice
ID
45423
Lokalita objektu
Okraj obce
Plocha pozemku
12172 m2

Máte zájem o tuto nemovitost?

Tímto, v souladu s nařízením Evropského parlamentu a Rady (EU) 2016/679, v platném znění, prohlašuji, že mi je alespoň 16 let a uděluji tak svůj souhlas se zpracováním zadaných údajů (jméno, telefon, e-mail, ip adresa) společnosti B3 Technology, s.r.o., IČ: 07330600, se sídlem Novostavby 126/23, 435 11 Lom (správce dat), za účelem předání dotazu z tohoto formuláře Vámi vybranému inzerentovi a zpětného kontaktování mé osoby. Osobní údaje bude správce zpracovávat manuálně i automaticky přímo prostřednictvím svých zaměstnanců. Informace předané tímto formulářem budou uloženy v databázi správce maximálně po dobu 10 let. Odvolání souhlasu s uložením a zpracováním poskytnutých dat lze e-mailem na info@realitymat.cz. V případě podezření na neoprávněné použití Vámi poskytnutých údajů máte právo předat podnět k šetření Úřadu pro ochranu osobních údajů. Více informací
Chystáte se prodat nemovitost?
Pomůžeme Vám!

Kontakt

Michal Králik, Kutná Hora

Michal Králik, Kutná Hora

Přihlášení k odběru

Nenechte si ujít nejnovější nabídky prodeje pozemků pro bydlení v Kutné Hoře.

Podobné nabídky