Prodej pozemku, Karlovy Vary, 1122 m2
Karlovy Vary
Popis
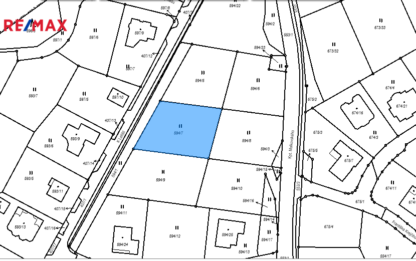
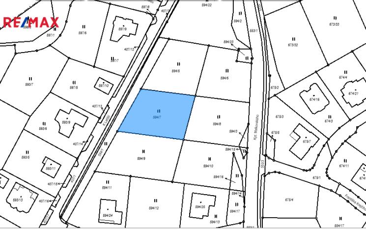
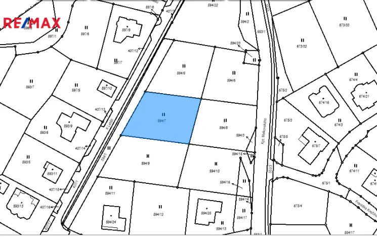
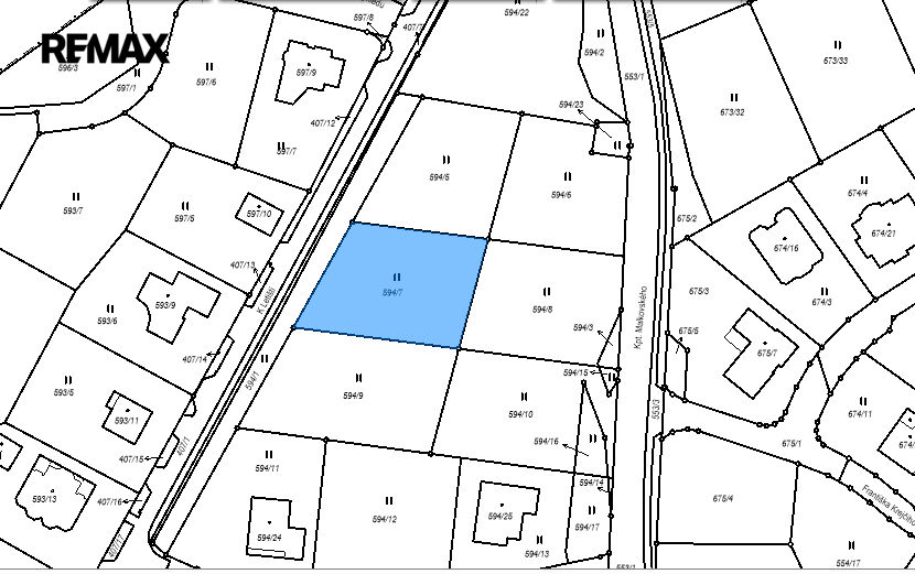
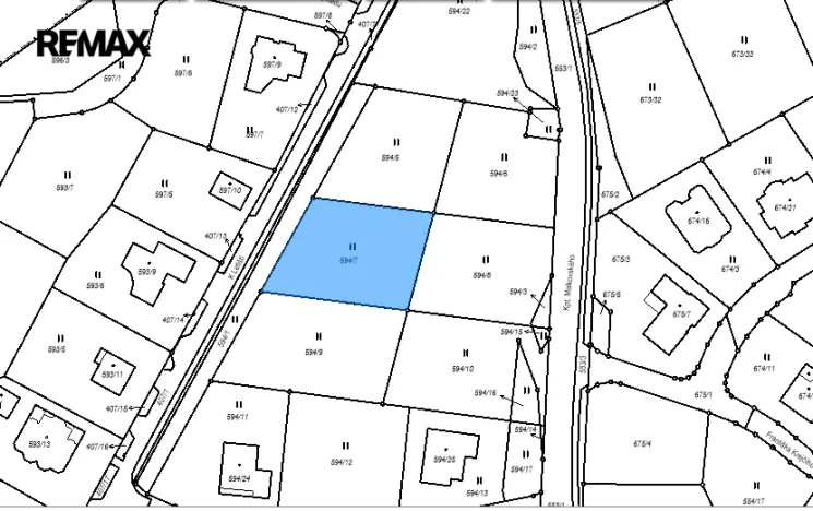
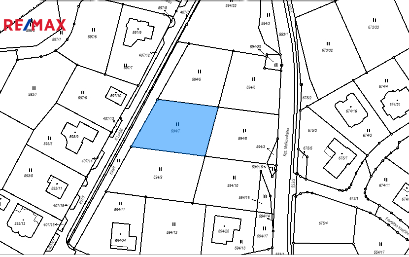
Nabízím ke koupi pozemek o celkové ploše 1122 m2 v v Hůrkach, část krajského města Karlovy Vary.
Hůrky leží v katastrálním území Olšová Vrata.
Pozemek se nachází v zabydlné části.
Možnost koupit vedlejší parcelu viz foto č.5.
Olšová Vrata historicky nejstarší část K.Varů, oblíbená rezidenční lokalita.
Je tu klid a čisté přírodní prostředí.
V centru Olšových Vrat je obchod s potravinami, penzion,
mateřská školka, MHD, tenisové kurty a dětské hřiště.
V sousední Kolové je pro žáky 1. stupně k dispozici základní škola rodinného typu
s družinou i školním autobusem pro děti z okolních obcí.
Blízko golfový areál, cyklotrasy.
Příjemné bydlení pro život mezi městem a přírodou, blízko lázeňského města,
rychlé napojení na výpadovku K.Vary - Praha.
Pokud Vás tato nabídka oslovila, neváhejte mě kontaktovat.
Možnost schválení hypotečního úvěru před zaplacením rezervačního poplatku,
možnost i 90% hypotéky, srovnání podmínek všech spolupracujících bank a stavebních spořitelen,
zrychlená forma schvalovacího procesu.
Hypotéka bez nemovitosti (schválení hypotéky bez nemovitosti a hypotéku následně můžete využít
na kteroukoliv nemovitost v Karlovarském kraji, kterou Vám pomohu najít).
Máte zájem o tuto nemovitost?

Krymská 1056/5, Karlovy Vary
Pomůžeme Vám!
Pomůžeme Vám!
Kontakt

Julia Sidnina
Přihlášení k odběru
Nenechte si ujít nejnovější nabídky prodeje pozemků (ostatní) v Karlových Varech.
Podobné nabídky

Prodej pozemku, Karlovy Vary, 1242 m2
4 347 000 Kč

Prodej pozemku, Merklín, 3609 m2
750 000 Kč

Prodej pozemku, Pernink, 1814 m2
2 121 000 Kč

Prodej pozemku, Toužim, 13575 m2
6 000 000 Kč