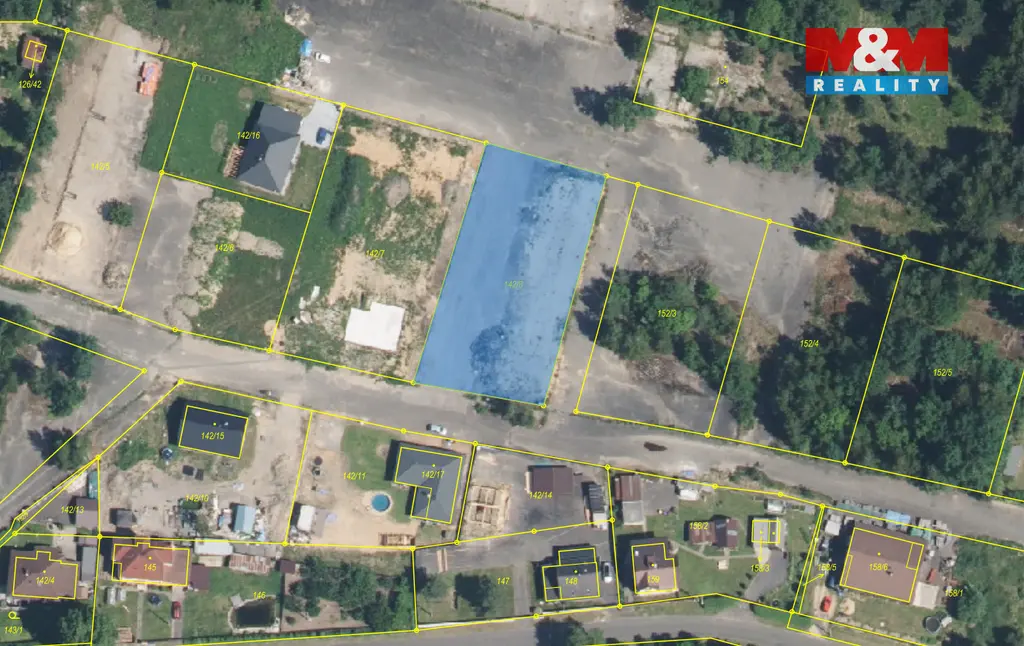
Prodej pozemku pro bydlení, Ralsko - Ploužnice, 1862 m2

Ralsko, Ploužnice


2 300 000 Kč /za nemovitost
HYPOTÉKA od 10 280 Kč /měs.
Regionální dodavatelé v Ralsku

Rekonstrukce

Úklidové služby

Popis

Pokud hledáte stavební pozemek na klidném místě, tato nabídka vás jistě osloví. Nabízíme vám ke koupi rovinatý pozemek o celkové výměře 1 862 m² v místní části obce Ralsko – Hvězdov. Pozemek je dle územního plánu určen k výstavbě nízkopodlažního rodinného domu. Je zde povoleno maximálně 1 nadzemní podlaží + zakončující podlaží s maximální výškou zástavby 9 m. Maximální zastavitelnost pozemku je pak 20 %. K pozemku je již přivedena elektřina, vodu je nutné řešit vlastním vrtem a odpady domovní ČOV. Přístup k pozemku je z obecní asfaltové komunikace. Jedná se o klidnou lokalitu v přírodě, vhodnou pro rodiny s dětmi, s dobrou dostupností do nedalekého města Mimoň (5,7 km), kde najdete veškerou potřebnou občanskou vybavenost. V místě je i dobré turistické vyžití. Současný majitel odstraní zbylé části asfaltu s podkladovým kamenem v celé části pozemku. Případné financování zajistíme za výhodných podmínek. Více informací u makléře.

Cena
2 300 000 Kč /za nemovitost Spočítat hypotéku
Aktualizováno
28. 4. 2026
Adresa
Ralsko, Ploužnice
ID
939989
Stav objektu
Dobrý
Vybaveno
Ne
Lokalita objektu
Klidná část obce
Vlastnictví
Osobní
Plocha pozemku
1862 m2

Máte zájem o tuto nemovitost?

Tímto, v souladu s nařízením Evropského parlamentu a Rady (EU) 2016/679, v platném znění, prohlašuji, že mi je alespoň 16 let a uděluji tak svůj souhlas se zpracováním zadaných údajů (jméno, telefon, e-mail, ip adresa) společnosti B3 Technology, s.r.o., IČ: 07330600, se sídlem Novostavby 126/23, 435 11 Lom (správce dat), za účelem předání dotazu z tohoto formuláře Vámi vybranému inzerentovi a zpětného kontaktování mé osoby. Osobní údaje bude správce zpracovávat manuálně i automaticky přímo prostřednictvím svých zaměstnanců. Informace předané tímto formulářem budou uloženy v databázi správce maximálně po dobu 10 let. Odvolání souhlasu s uložením a zpracováním poskytnutých dat lze e-mailem na info@realitymat.cz. V případě podezření na neoprávněné použití Vámi poskytnutých údajů máte právo předat podnět k šetření Úřadu pro ochranu osobních údajů. Více informací
Chystáte se prodat nemovitost?
Pomůžeme Vám!

Kontakt

Josef Horák

Josef Horák

Přihlášení k odběru

Nenechte si ujít nejnovější nabídky prodeje pozemků pro bydlení v Ralsku.

Podobné nabídky