Remax Power 2

Prodej podílu pozemku pro bydlení, Podlesí, 1521 m2 (ID: 2143669)

Podlesí


444 375 Kč /za nemovitost
Získejte výhodnou HYPOTÉKU
Regionální dodavatelé v Podlesí

Revize elektrických zařízení

Popis

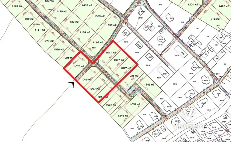
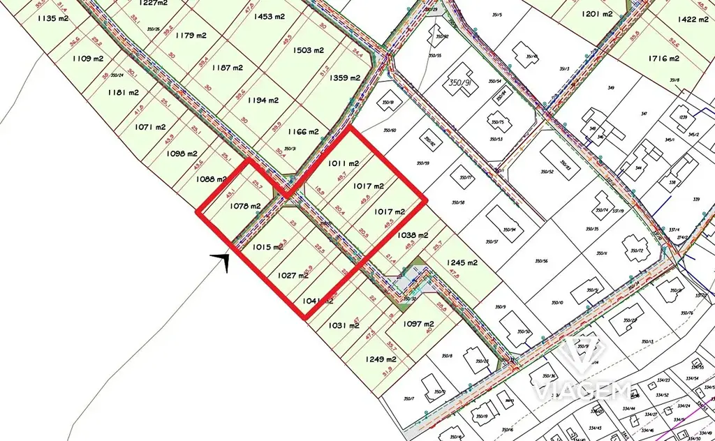
Exkluzivně Vám nabízíme pozemek v katastrálním území Podlesí nad Litavkou v okrese Příbram. Jedná se o prodej 1/6 vlastnického podílu.

Tento pozemek je zapsaný na LV 487 pod parcelním číslem:

Parcela č. 350/27 - o celkové výměře 1522 m²

Souřadnice GPS: 49.6815, 13.9773

Pro danou oblast je vypracována územní studie, pozemky jsou předurčeny k rodinnému bydlení.

Pozemek představuje jedinečnou investiční příležitost se střednědobým a dlouhodobým výhledem a budoucím využitím. Zhodnocení pozemku je dáno územním plánem sídelního útvaru. Pozemek je umístěn v ideální lokalitě pro rodinné bydlení se snadnou dostupností centra města a jeho občanskou vybaveností.

V případě zájmu nebo dotazů mne neváhejte kontaktovat na níže uvedeném telefonním čísle nebo e-mailu. Připravte si prosím číslo ID inzerátu.

Tento inzerát není závaznou nabídkou inzerenta, podmínky prodeje se mohou v jeho průběhu měnit.

Cena
444 375 Kč /za nemovitost
Aktualizováno
22. 4. 2026
Adresa
Podlesí
ID
7713
Plocha pozemku
1521 m2

Máte zájem o tuto nemovitost?

Tímto, v souladu s nařízením Evropského parlamentu a Rady (EU) 2016/679, v platném znění, prohlašuji, že mi je alespoň 16 let a uděluji tak svůj souhlas se zpracováním zadaných údajů (jméno, telefon, e-mail, ip adresa) společnosti B3 Technology, s.r.o., IČ: 07330600, se sídlem Novostavby 126/23, 435 11 Lom (správce dat), za účelem předání dotazu z tohoto formuláře Vámi vybranému inzerentovi a zpětného kontaktování mé osoby. Osobní údaje bude správce zpracovávat manuálně i automaticky přímo prostřednictvím svých zaměstnanců. Informace předané tímto formulářem budou uloženy v databázi správce maximálně po dobu 10 let. Odvolání souhlasu s uložením a zpracováním poskytnutých dat lze e-mailem na info@realitymat.cz. V případě podezření na neoprávněné použití Vámi poskytnutých údajů máte právo předat podnět k šetření Úřadu pro ochranu osobních údajů. Více informací
Chystáte se prodat nemovitost?
Pomůžeme Vám!

Kontakt

Barbora Pidrmanová

Barbora Pidrmanová

Přihlášení k odběru

Nenechte si ujít nejnovější nabídky prodeje podílu pozemků pro bydlení v Podlesí (okr. Příbram).

Podobné nabídky