Prodej pozemku pro bydlení, Hoštka, 1297 m2

Hoštka


2 590 000 Kč /za nemovitost
HYPOTÉKA od 11 576 Kč /měs.
Regionální dodavatelé v Hoštce

Okna a dveře

Rekonstrukce

Popis

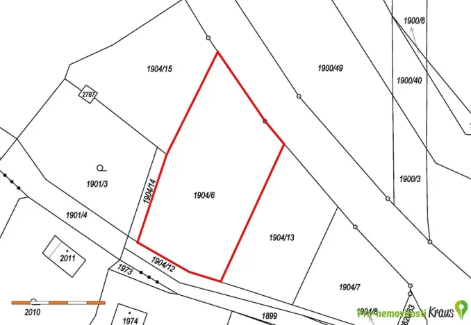
Nabízíme k prodeji stavební pozemek určený ke stavbě rodinného domu mezi obcemi Štětí a Hoštka. Pozemek má výměru 1297 m², pravidelný obdelníkový tvar a je velmi mírně svažitý na jih.

K dispozici je elektrická přípojka. Na pozemku bude do léta 2026 vybudována vodovodní přípojka z místního velkokapacitního vrtu zakončená ve vodoměrné šachtě. Odkanalizování bude řešeno domovní ČOV. Plyn není k dispozici. Přístup po obecní komunikaci.

Pozemek je umístěn nad strání k řece Labe a poskytuje výhled na řeku a na nedaleký Říp. Okolní zástavbu tvoří převážně rekreační objekty. Na sousedních pozemcích se v současné době realizuje výstavba dalších domů, předmětný pozemek ovšem bude mít pouze jednoho přímého souseda a celá lokalita se již dále rozšiřovat nebude a zastavěnost dané lokality tak nebude velká. Přiléhá silnice propojující Hoštku a Štetí je odstíněna betonovou zdí. Zhruba 50m od pozemku se nachází autobusová zastávka.

Pozemek je územním plánem určen ke stavbě rodinného nebo bytového domu o nejvýše 2 nadzemních podlažích a podkroví. Zastavitelnost pozemku činí 40%.

Poloha pozemku je z hlediska dostupnosti dobrá. Občanskou vybavenost (včetně školky a školy) nalezneme v blízkém městě Hoštka, kam lze dojet po cyklostezce mezi poli, případně ve městě Štětí. Dobře dostupné jsou rovněž Roudnice nad Labem, Litoměřice či Mělník. Na druhé straně Labe vede cyklostezka, po které je možné dostat se podél Labe přes Roudnici až do Litoměřic a dál, případně na druhou stranu do Mělníka. Přes řeku se také nachází plavební kanál Račice s in-line dráhou a sousední pískovcový lom s krásným koupáním. Na dostřel pak leží Kokořínsko.

Financování hypotékou je možné. V případě zájmu s jejím vyřízením rádi pomůžeme.

Cena
2 590 000 Kč /za nemovitost Spočítat hypotéku
Aktualizováno
15. 4. 2026
Adresa
Hoštka
Lokalita objektu
Okraj obce
Plocha pozemku
1297 m2
Elektřina
230V, 400V
Odpad
ČOV pro celý objekt
Doprava
Silnice, Autobus
Voda
Místní zdroj vody

Máte zájem o tuto nemovitost?

Tímto, v souladu s nařízením Evropského parlamentu a Rady (EU) 2016/679, v platném znění, prohlašuji, že mi je alespoň 16 let a uděluji tak svůj souhlas se zpracováním zadaných údajů (jméno, telefon, e-mail, ip adresa) společnosti B3 Technology, s.r.o., IČ: 07330600, se sídlem Novostavby 126/23, 435 11 Lom (správce dat), za účelem předání dotazu z tohoto formuláře Vámi vybranému inzerentovi a zpětného kontaktování mé osoby. Osobní údaje bude správce zpracovávat manuálně i automaticky přímo prostřednictvím svých zaměstnanců. Informace předané tímto formulářem budou uloženy v databázi správce maximálně po dobu 10 let. Odvolání souhlasu s uložením a zpracováním poskytnutých dat lze e-mailem na info@realitymat.cz. V případě podezření na neoprávněné použití Vámi poskytnutých údajů máte právo předat podnět k šetření Úřadu pro ochranu osobních údajů. Více informací
Chystáte se prodat nemovitost?
Pomůžeme Vám!

Kontakt

JUDr. Michal Kraus

JUDr. Michal Kraus

Přihlášení k odběru

Nenechte si ujít nejnovější nabídky prodeje pozemků pro bydlení v Hoštce (okr. Litoměřice).

Podobné nabídky