Prodej pozemku pro bydlení, Hýskov, 1037 m2 (ID: 2133979)

Hýskov


9 990 000 Kč /za nemovitost
HYPOTÉKA od 44 649 Kč /měs.

(Cena včetně právního i realitního servisu.)


Regionální dodavatelé v Hýskově

Pojištění a finance

Popis

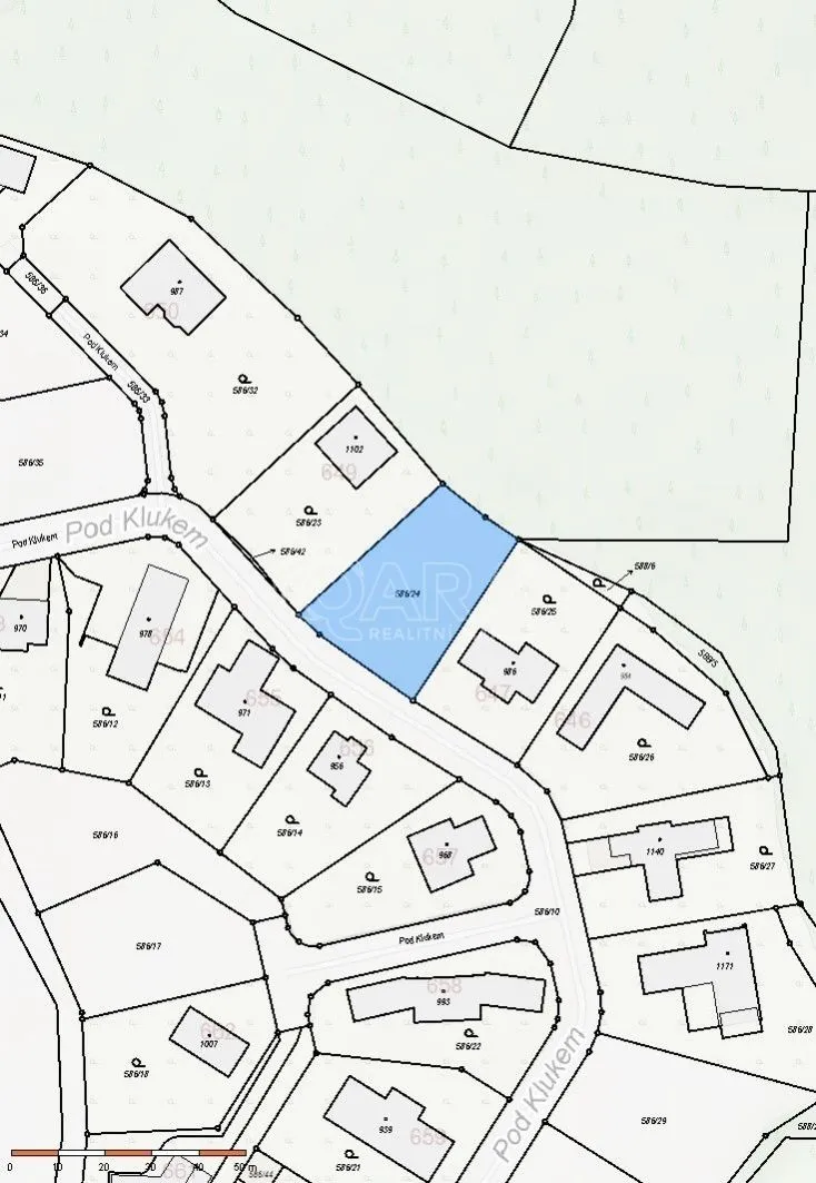
Nabízíme k prodeji velmi pěkný stavební pozemek v žádané lokalitě v blízkosti města Beroun v obci Hýskov v ulici pod Klukem. Pozemek má ideální výměru a to 1037 m2.

Součástí prodeje předmětného pozemku je také vydané platné stavební povolení včetně kompletní projektové dokumentace na moderní rodinný dům.

Pozemek je kompletně oplocený ze všech stran, kompletně zasíťován v rozsahu elektrická přípojka, obecní vodovod, kanalizace a plyn, vše ukončena přímo na pozemku v pilířích.

Hýskov je obec v okrese Beroun ve Středočeském kraji, 4 km severozápadně od Berouna. Leží v údolí řeky Berounky, na jejím levém břehu, uprostřed lesnaté krajiny.

Nemovitost je možné financovat hypotéčním úvěrem.

V případě dotazů kontaktujte makléře

Cena
9 990 000 Kč /za nemovitost Spočítat hypotéku
Poznámka k ceně
Cena včetně právního i realitního servisu.
Aktualizováno
19. 5. 2026
Adresa
Hýskov
ID
18176
Plocha pozemku
1037 m2
Elektřina
120V, 230V
Komunikace
Asfaltová
Doprava
Vlak, Silnice, Autobus
Voda
Vodovod
Bezbarierový přístup

Máte zájem o tuto nemovitost?

Tímto, v souladu s nařízením Evropského parlamentu a Rady (EU) 2016/679, v platném znění, prohlašuji, že mi je alespoň 16 let a uděluji tak svůj souhlas se zpracováním zadaných údajů (jméno, telefon, e-mail, ip adresa) společnosti B3 Technology, s.r.o., IČ: 07330600, se sídlem Novostavby 126/23, 435 11 Lom (správce dat), za účelem předání dotazu z tohoto formuláře Vámi vybranému inzerentovi a zpětného kontaktování mé osoby. Osobní údaje bude správce zpracovávat manuálně i automaticky přímo prostřednictvím svých zaměstnanců. Informace předané tímto formulářem budou uloženy v databázi správce maximálně po dobu 10 let. Odvolání souhlasu s uložením a zpracováním poskytnutých dat lze e-mailem na info@realitymat.cz. V případě podezření na neoprávněné použití Vámi poskytnutých údajů máte právo předat podnět k šetření Úřadu pro ochranu osobních údajů. Více informací
Chystáte se prodat nemovitost?
Pomůžeme Vám!
Theleadway banner

Kontakt

Jan Bečvář

Jan Bečvář

Přihlášení k odběru

Nenechte si ujít nejnovější nabídky prodeje pozemků pro bydlení v Hýskově.

Podobné nabídky