Prodej pozemku pro bydlení, Dolní Ředice, K Časům, 615 m2 (ID: 2109594)

K Časům, Dolní Ředice


2 050 000 Kč /za nemovitost
HYPOTÉKA od 9 162 Kč /měs.

(včetně provize, včetně právního servisu)


Regionální dodavatelé v Dolních Ředicích

Pojištění a finance

Popis

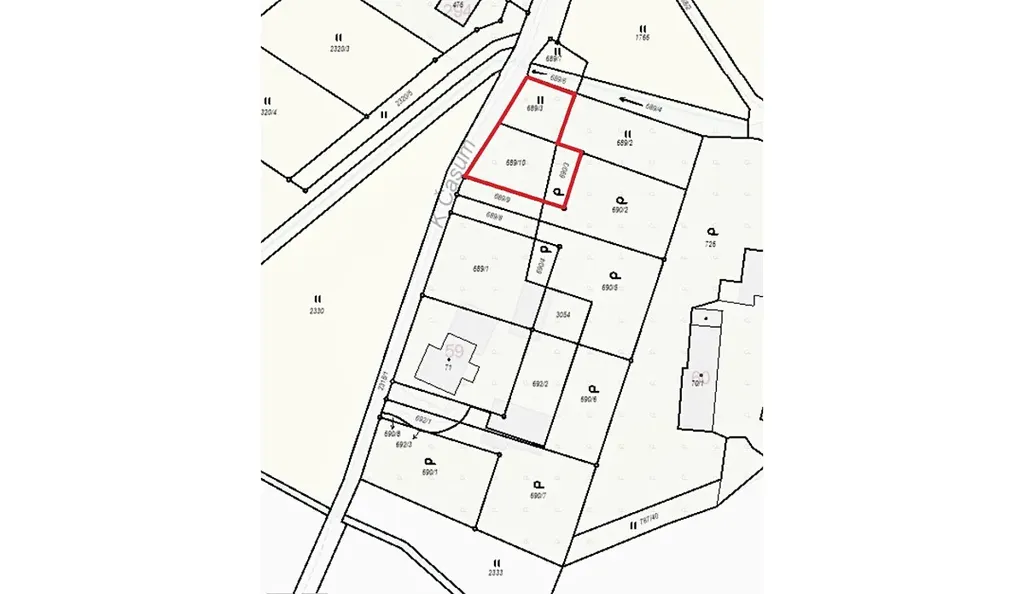
JEDINEČNÁ PŘÍLEŽITOST - PŘIPRAVUJEME k prodeji stavební pozemky v nově vznikající rezidenční lokalitě obce Dolní Ředice, která se nachází v atraktivní oblasti s vynikajícím spojením do Pardubic a na dálnici D35. V rámci komorního developerského projektu vzniká jen 8 prostorných stavebních parcel o výměrách od 615 m² do 946 m². Tento pozemek je v plánu označen jako pozemek č. 8 a je umístěn hned jako první pozemek u příjezdové komunikace.

V lokalitě již proběhla demolice původních zemědělských objektů a projekt je nyní ve fázi parcelace a kompletního zasíťování. Ke každému pozemku budou přivedeny veškeré inženýrské sítě: elektřina, vodovod, splašková tlaková kanalizace i plynovod. Pohodlný příjezd je zajištěn po existující obecní asfaltové komunikaci. Územní plán počítá s výstavbou rodinných domů venkovského charakteru. Regulativy umožňují si postavit dům o dvou nadzemních podlažích s využitelným podkrovím. Střecha může být sedlová, s valbou nebo polovalbou. Koeficient zastavění max. 0,7.

AKTUALIZACE: 9.4.2026 bylo vydáno stavební povolení pro inženýrské sítě

Dolní Ředice nabízí vše potřebné pro příjemný život - mateřskou školu, obchod, hospodu i sportovní vyžití. Díky strategické poloze 5 km od Holic (kde najdete veškerou občanskou vybavenost včetně základní školy) a pouhých 20 km od Pardubic máte na dosah jak klid venkova, tak komfort města. Dopravní dostupnost je vynikající - obcí prochází silnicí II/322, funguje zde pravidelné autobusové spojení a do Pardubic dojedete autem za 20-25 minut. Napojení na dálnici D35 v blízkosti obce pak zajišťuje rychlé spojení směrem na Hradec Králové i Olomouc.
Tento projekt představuje vzácnou příležitost postavit si nový domov v klidné lokalitě s veškerou infrastrukturou, obklopen krásnou přírodou a přitom s výbornou dostupností do větších měst. Neváhejte nás kontaktovat pro bližší informace o této jedinečné nabídce.

Cena
2 050 000 Kč /za nemovitost Spočítat hypotéku
Poznámka k ceně
včetně provize, včetně právního servisu
Aktualizováno
14. 4. 2026
Adresa
K Časům, Dolní Ředice
ID
00017
Plocha pozemku
615 m2
Elektřina
230V, 400V
Plyn
Plynovod
Odpad
Veřejná kanalizace
Komunikace
Asfaltová
Voda
Vodovod

Máte zájem o tuto nemovitost?

Tímto, v souladu s nařízením Evropského parlamentu a Rady (EU) 2016/679, v platném znění, prohlašuji, že mi je alespoň 16 let a uděluji tak svůj souhlas se zpracováním zadaných údajů (jméno, telefon, e-mail, ip adresa) společnosti B3 Technology, s.r.o., IČ: 07330600, se sídlem Novostavby 126/23, 435 11 Lom (správce dat), za účelem předání dotazu z tohoto formuláře Vámi vybranému inzerentovi a zpětného kontaktování mé osoby. Osobní údaje bude správce zpracovávat manuálně i automaticky přímo prostřednictvím svých zaměstnanců. Informace předané tímto formulářem budou uloženy v databázi správce maximálně po dobu 10 let. Odvolání souhlasu s uložením a zpracováním poskytnutých dat lze e-mailem na info@realitymat.cz. V případě podezření na neoprávněné použití Vámi poskytnutých údajů máte právo předat podnět k šetření Úřadu pro ochranu osobních údajů. Více informací
Chystáte se prodat nemovitost?
Pomůžeme Vám!
Theleadway banner

Kontakt

Ing. Pavel Antropius

Ing. Pavel Antropius

Přihlášení k odběru

Nenechte si ujít nejnovější nabídky prodeje pozemků pro bydlení v Dolních Ředicích.

Podobné nabídky