Prodej pozemku, Albrechtice nad Vltavou, 700 m2 (ID: 2095486)

Albrechtice nad Vltavou


Cena na vyžádání /za nemovitost
Získejte výhodnou HYPOTÉKU

(minimální cena do výběrového řízení 440.000,- Kč)


Regionální dodavatelé v Albrechticích nad Vltavou

Výkup a prodej starého nábytku

Popis

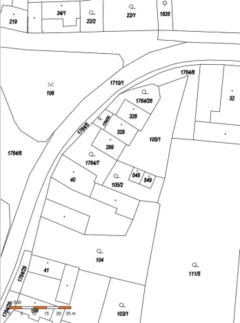
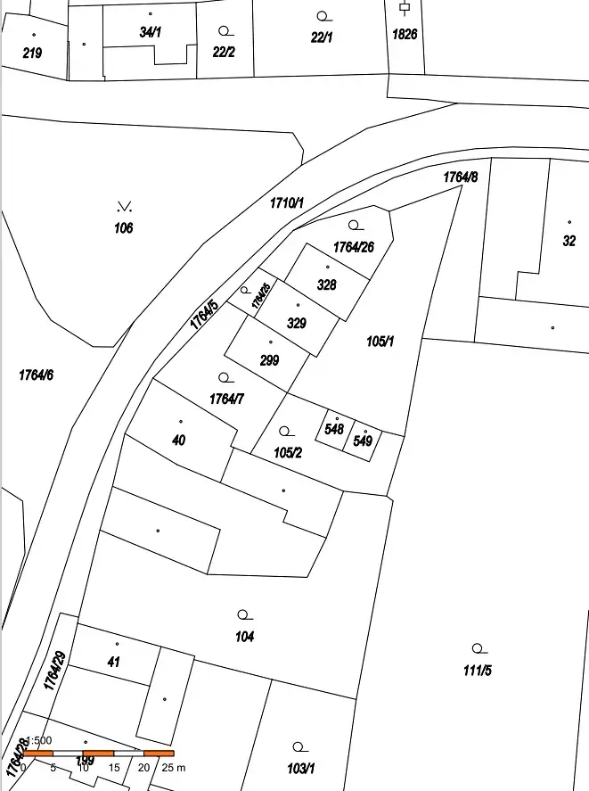
Jedná se o prodej pozemku parcely číslo 105/1 o výměře 501 m2 s druhem pozemku ostatní plocha, jiná plocha a pozemku parcely číslo 105/2 o výměře 199 m2 s druhem pozemku zahrada.
Předmětné nemovitosti jsou zapsány v katastru nemovitostí u Katastrálního úřadu pro Jihočeský kraj, Katastrálního pracoviště Písek na LV č. 27, pro katastrální území Albrechtice nad Vltavou a obec Albrechtice nad Vltavou.
Součástí pozemku je stavba – zpevněná plocha asfalt, který je předmětem ocenění a taktéž předmětem prodeje.
Na předmětné pozemky jsou uzavřeny 3 nájemní smlouvy, za účelem přístupu k nemovitostem č.p. 153, 154, 155 a stavbám na pozemcích st. 548 a 549. Nájemní smlouvy skončí 30 dnem po převodu vlastnického práva na nového vlastníka.
V případě, že výherce VŘ bude odlišný od vlastníků RD č.p. 153, 154, 155 a staveb na pozemcích st. 548 a 549 bude každému vlastníkovi, pro kterého pozemek p.č. 105/1 slouží jako přístup, zřízeno před uzavřením KS s výhercem VŘ věcné břemeno přístupu.

Prodej formou výběrového řízení, podmínky VŘ na internetových stránkách Lesy České republiky, s.p., prodej nepotřebného nemovitého majetku.

Bližší informace na LS Vodňany.

Cena
Cena na vyžádání Spočítat hypotéku
Poznámka k ceně
minimální cena do výběrového řízení 440.000,- Kč
Aktualizováno
12. 3. 2026
Adresa
Albrechtice nad Vltavou
ID
944/199/S335/20
Plocha pozemku
700 m2

Máte zájem o tuto nemovitost?

Tímto, v souladu s nařízením Evropského parlamentu a Rady (EU) 2016/679, v platném znění, prohlašuji, že mi je alespoň 16 let a uděluji tak svůj souhlas se zpracováním zadaných údajů (jméno, telefon, e-mail, ip adresa) společnosti B3 Technology, s.r.o., IČ: 07330600, se sídlem Novostavby 126/23, 435 11 Lom (správce dat), za účelem předání dotazu z tohoto formuláře Vámi vybranému inzerentovi a zpětného kontaktování mé osoby. Osobní údaje bude správce zpracovávat manuálně i automaticky přímo prostřednictvím svých zaměstnanců. Informace předané tímto formulářem budou uloženy v databázi správce maximálně po dobu 10 let. Odvolání souhlasu s uložením a zpracováním poskytnutých dat lze e-mailem na info@realitymat.cz. V případě podezření na neoprávněné použití Vámi poskytnutých údajů máte právo předat podnět k šetření Úřadu pro ochranu osobních údajů. Více informací
Chystáte se prodat nemovitost?
Pomůžeme Vám!

Kontakt

Ing. Miroslav Jačka

Ing. Miroslav Jačka

Přihlášení k odběru

Nenechte si ujít nejnovější nabídky prodeje pozemků (ostatní) v Albrechticích nad Vltavou.

Podobné nabídky