Prodej bytu 3+kk, Frymburk - Kovářov, Kovářov, 109 m2

Frymburk, okres jihočeský kraj


9 390 000 Kč /za nemovitost
HYPOTÉKA od 41 968 Kč /měs.
Regionální dodavatelé v Frymburku

Výkup a prodej starého nábytku

Popis

Představujeme tento exkluzivní mezonetový apartmán v Kovářově, s krásným výhledem na Lipno.

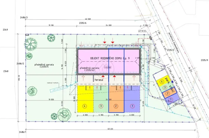
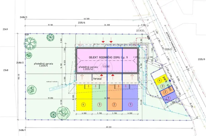
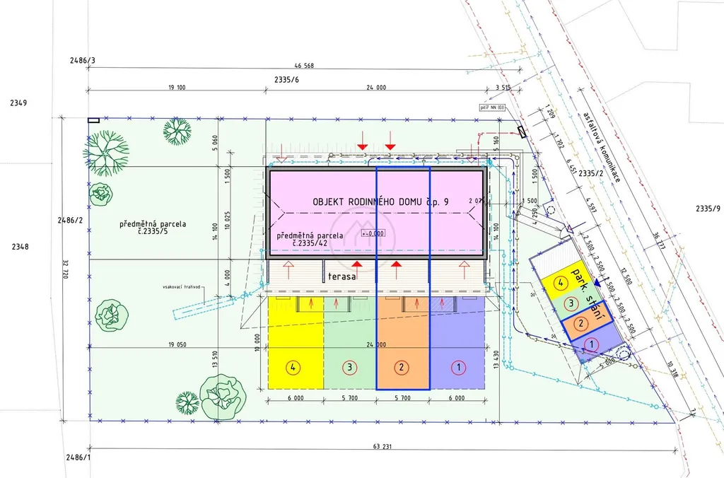
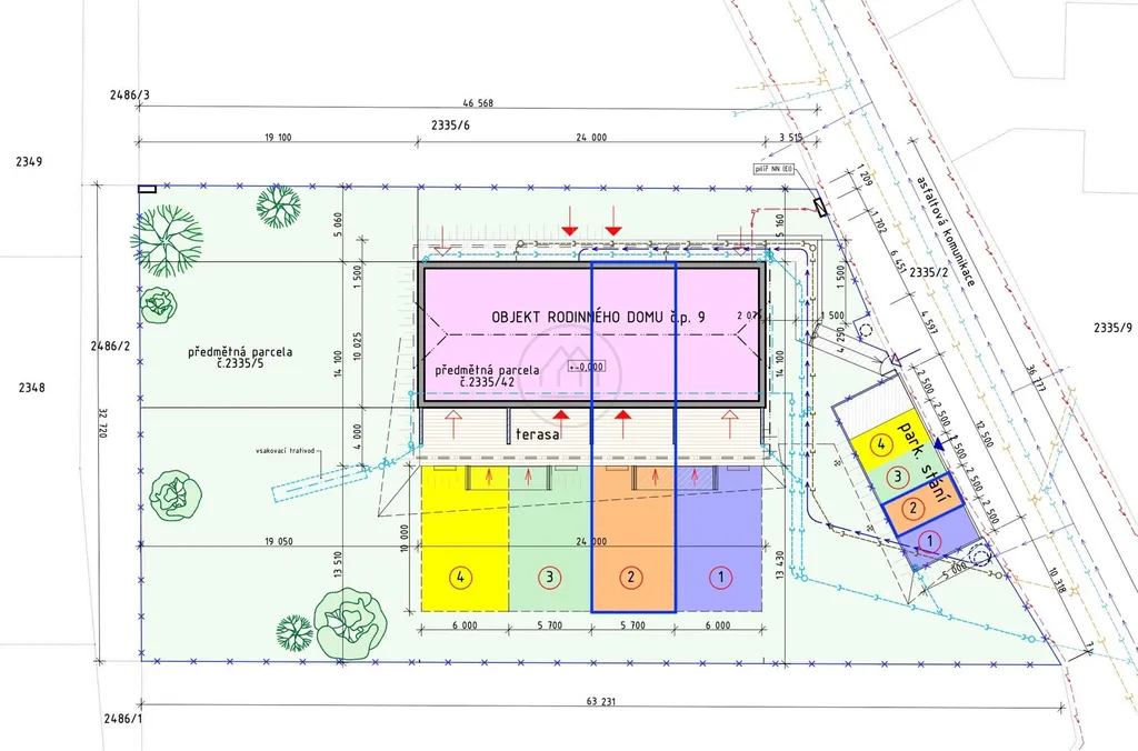
Apartmán je součástí objektu, který se nachází na unikátním místě vyhlídka Kovářov západ. Dům byl kolaudován v roce 2020 s důrazem na kvalitu provedení a výběr nadstandartních materiálů. V rezidenci je k užívání vyhrazené parkoviště, zahrada (1130m2), dětské hřiště, venkovní ohniště a zahradní dům.

Jednotka je ideálně navržená, disponuje prostorným zádveřím, koupelnou, samostatným WC, dále velkolepým obývacím pokojem vč. kuchyně a vstupem na 22m2 terasu s dech beroucím výhledem na vodní plochu. V podkroví jsou dvě útulné ložnice s kapacitou až 6 lůžek. Celková výměra bytu vč. příslušenství je luxusních 131m2. K jednotce náleží soukromá zahrada o výměře dalších 60m2, se vstupem do vlastní garáže a vyhrazené parkovací stání před domem. Kanalizace objektu je svedena do ČOV. Průměrný součinitel prostupu tepla budovy a měrná potřeba tepla na vytápění jsou v kategorii B velmi úsporná.

Cena již zahrnuje kompletní vybavení, nábytek, vestavěné skříně, kuchyňskou linku, značkové elektrospotřebiče, pračku, zahradní nábytek aj., zkrátka vše potřebné k rekreaci. Součástí jsou velkoformátové ker. obklady, dlažba, sanitární vybavení, krbová kamna, dřevěné obložení stěn, pohledové trámy, infračervené topné panely s ovládáním přes mobilní telefon, dále automatický systém požární a bezpečnostní signalizace.

Kousek od domu je písčitá pláž, přístaviště, restaurace a hlavně krásná příroda. V okolí Frymburku najdete vše, co potřebujete k bydlení a rekreaci, obchody, kavárny, cyklostezky, Wellness centrum, a další.

Lipno láká v každém ročním období. Na jaře a na podzim na cyklistiku, turistiku, jízdu na koních, či rybaření. V létě pak vítá zejména milovníky vodních sportů a jachtingu. Zima vládne zamrzlou krajinou, ideální na bruslení, lyžování a běžky.

Nabídek nemovitostí je mnoho, ale pouze pár výjimečných nemovitostí zaručí opravdovou investici se zhodnocením a přidanou hodnotou, kterou si můžete užít celá vaše rodina. Tato nabídka je definitivně jednou z nich:

Panoramatický výhled na západ slunce a největší vodní plochu v ČR
Prostorný a vybavený byt s terasou – bez potřeby dalších investic
Soukromá zahrada, hřiště, parkovací stání a vlastní garáž
Písčitá pláž a přístav kousek od domu

Nabízíme zvýhodněné financování, údržbu i následnou správu krátkodobých pronájmů v době vaší nepřítomnosti.

Zarezervujte si tento apartmán, dokud je v nabídce a Vaše představy o bydlení a rekreaci na Lipně se zde mnohou stát skutečností.

Kontaktujte specialistu na investice v lipenské lokalitě pro více informací.

Cena
9 390 000 Kč /za nemovitost Spočítat hypotéku
Aktualizováno
17. 4. 2026
Adresa
Frymburk, okres jihočeský kraj
ID
973301
Stavba
Cihlová
Stav objektu
Velmi dobrý
Patro
1. z 2
Vybaveno
Ano
Vlastnictví
Osobní
Užitná plocha
109 m2
Podlahová plocha
88 m2
Třída energetické náročnosti
D - Méně úsporná
Elektřina
230V
Telekomunikace
Internet
Voda
Vodovod
Sklep
Terasa
Výtah
Parkování

Máte zájem o tuto nemovitost?

Tímto, v souladu s nařízením Evropského parlamentu a Rady (EU) 2016/679, v platném znění, prohlašuji, že mi je alespoň 16 let a uděluji tak svůj souhlas se zpracováním zadaných údajů (jméno, telefon, e-mail, ip adresa) společnosti B3 Technology, s.r.o., IČ: 07330600, se sídlem Novostavby 126/23, 435 11 Lom (správce dat), za účelem předání dotazu z tohoto formuláře Vámi vybranému inzerentovi a zpětného kontaktování mé osoby. Osobní údaje bude správce zpracovávat manuálně i automaticky přímo prostřednictvím svých zaměstnanců. Informace předané tímto formulářem budou uloženy v databázi správce maximálně po dobu 10 let. Odvolání souhlasu s uložením a zpracováním poskytnutých dat lze e-mailem na info@realitymat.cz. V případě podezření na neoprávněné použití Vámi poskytnutých údajů máte právo předat podnět k šetření Úřadu pro ochranu osobních údajů. Více informací
Chystáte se prodat nemovitost?
Pomůžeme Vám!

Kontakt

Ing. Marek Ertl

Ing. Marek Ertl

Přihlášení k odběru

Nenechte si ujít nejnovější nabídky prodeje bytů 3+kk v Frymburku (okr. Český Krumlov).

Tipy Realitymatu

Podobné nabídky