Prodej podílu pozemku, Praha - Lipence, 1285 m2

Praha, Lipence


3 800 000 Kč /za nemovitost
Získejte výhodnou HYPOTÉKU

(včetně provize a právního servisu.)


Regionální dodavatelé v Praze 5

Stěhovací služby

Výkup a prodej starého nábytku

Popis

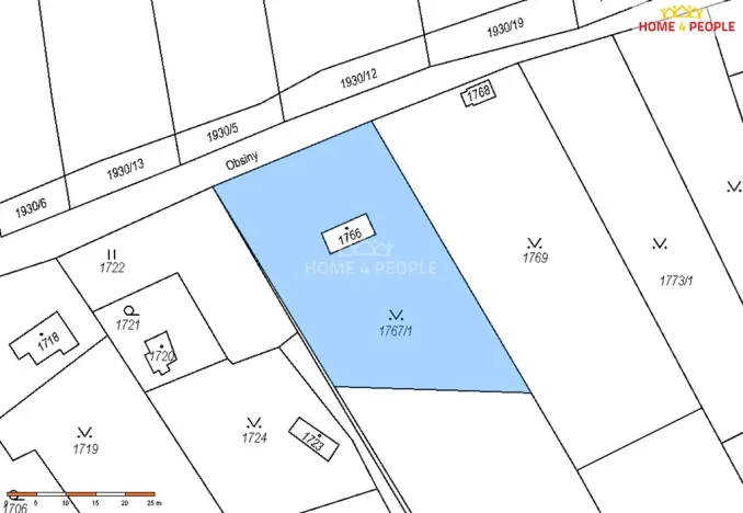
Nabízíme k prodeji spoluvlastnický podíl 1/2 na pozemku parc. č. 1767/1 v katastrálním území Lipence, zapsaném na LV 977.
Pozemek má celkovou výměru cca 1285 m², předmětem prodeje je tedy ideální polovina podílu.
Pozemek je hned vedle pozemku s parcelním číslem 1766, na kterém se nachází rekreační objekt.
Parcela se nachází v klidné části Lipenců a je evidována v katastru nemovitostí. Prodej je vhodný zejména pro zájemce o rozšíření stávajícího pozemku v okolí nebo jako dlouhodobá investice.
Podrobnější informace k pozemku, listu vlastnictví a právnímu stavu rádi poskytneme na vyžádání. Ev. číslo: 32059.

Cena
3 800 000 Kč /za nemovitost
Poznámka k ceně
včetně provize a právního servisu.
Aktualizováno
11. 2. 2026
Adresa
Praha, Lipence
ID
32059
Plocha pozemku
1285 m2
Topení
Jiné

Máte zájem o tuto nemovitost?

Tímto, v souladu s nařízením Evropského parlamentu a Rady (EU) 2016/679, v platném znění, prohlašuji, že mi je alespoň 16 let a uděluji tak svůj souhlas se zpracováním zadaných údajů (jméno, telefon, e-mail, ip adresa) společnosti B3 Technology, s.r.o., IČ: 07330600, se sídlem Novostavby 126/23, 435 11 Lom (správce dat), za účelem předání dotazu z tohoto formuláře Vámi vybranému inzerentovi a zpětného kontaktování mé osoby. Osobní údaje bude správce zpracovávat manuálně i automaticky přímo prostřednictvím svých zaměstnanců. Informace předané tímto formulářem budou uloženy v databázi správce maximálně po dobu 10 let. Odvolání souhlasu s uložením a zpracováním poskytnutých dat lze e-mailem na info@realitymat.cz. V případě podezření na neoprávněné použití Vámi poskytnutých údajů máte právo předat podnět k šetření Úřadu pro ochranu osobních údajů. Více informací
Chystáte se prodat nemovitost?
Pomůžeme Vám!

Kontakt

František Zbahna

František Zbahna

Přihlášení k odběru

Nenechte si ujít nejnovější nabídky prodeje podílu pozemků (ostatní) v Praze 5.

Podobné nabídky