Prodej pozemku, Brno, Drážní, 5 m2

Drážní, Brno


100 000 Kč /za nemovitost
HYPOTÉKA od 447 Kč /měs.
Regionální dodavatelé v Brně

Popis

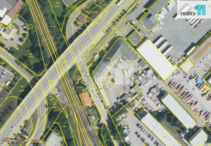
Reality 11 Vám zprostředkují prodej pozemku o velikosti 5m² u frekventované silnice a chodníku oproti trati v Brně - Slatině ul. Drážní. Jedná se o rovinatou, zatravněnou parcelu v průmyslové zóně, vedle firmy Hraspo a celního úřadu, přibližně obdélnikového tvaru p.č. 2216/3, k.ú. Brno-Slatina, způsob využití (ostatní plocha - jiná plocha). Vhodné např. na výstavbu lavičky, nebo reklamní tabule, bilboardu... V případě zájmu neváhejte nás kontaktovat. Ev. číslo: 24731.

Cena
100 000 Kč /za nemovitost Spočítat hypotéku
Aktualizováno
15. 1. 2026
Adresa
Drážní, Brno
ID
24731
Lokalita objektu
Centrum obce
Plocha pozemku
5 m2

Máte zájem o tuto nemovitost?

Tímto, v souladu s nařízením Evropského parlamentu a Rady (EU) 2016/679, v platném znění, prohlašuji, že mi je alespoň 16 let a uděluji tak svůj souhlas se zpracováním zadaných údajů (jméno, telefon, e-mail, ip adresa) společnosti B3 Technology, s.r.o., IČ: 07330600, se sídlem Novostavby 126/23, 435 11 Lom (správce dat), za účelem předání dotazu z tohoto formuláře Vámi vybranému inzerentovi a zpětného kontaktování mé osoby. Osobní údaje bude správce zpracovávat manuálně i automaticky přímo prostřednictvím svých zaměstnanců. Informace předané tímto formulářem budou uloženy v databázi správce maximálně po dobu 10 let. Odvolání souhlasu s uložením a zpracováním poskytnutých dat lze e-mailem na info@realitymat.cz. V případě podezření na neoprávněné použití Vámi poskytnutých údajů máte právo předat podnět k šetření Úřadu pro ochranu osobních údajů. Více informací
Chystáte se prodat nemovitost?
Pomůžeme Vám!

Kontakt

Ing. Róbert Záboj

Ing. Róbert Záboj

Přihlášení k odběru

Nenechte si ujít nejnovější nabídky prodeje pozemků (ostatní) v Brně.

Podobné nabídky