Prodej pozemku pro bydlení, Jistebník, 1671 m2 (ID: 2048804)

Jistebník


4 999 990 Kč /za nemovitost
HYPOTÉKA od 22 347 Kč /měs.
Regionální dodavatelé v Jistebníku

Popis

Místo, kde má smysl vytvořit domov. Pozemek pro ty, kteří nechtějí kompromisy.

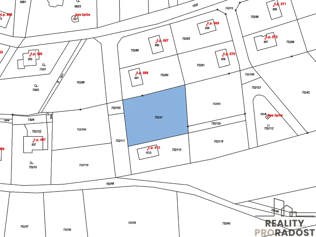
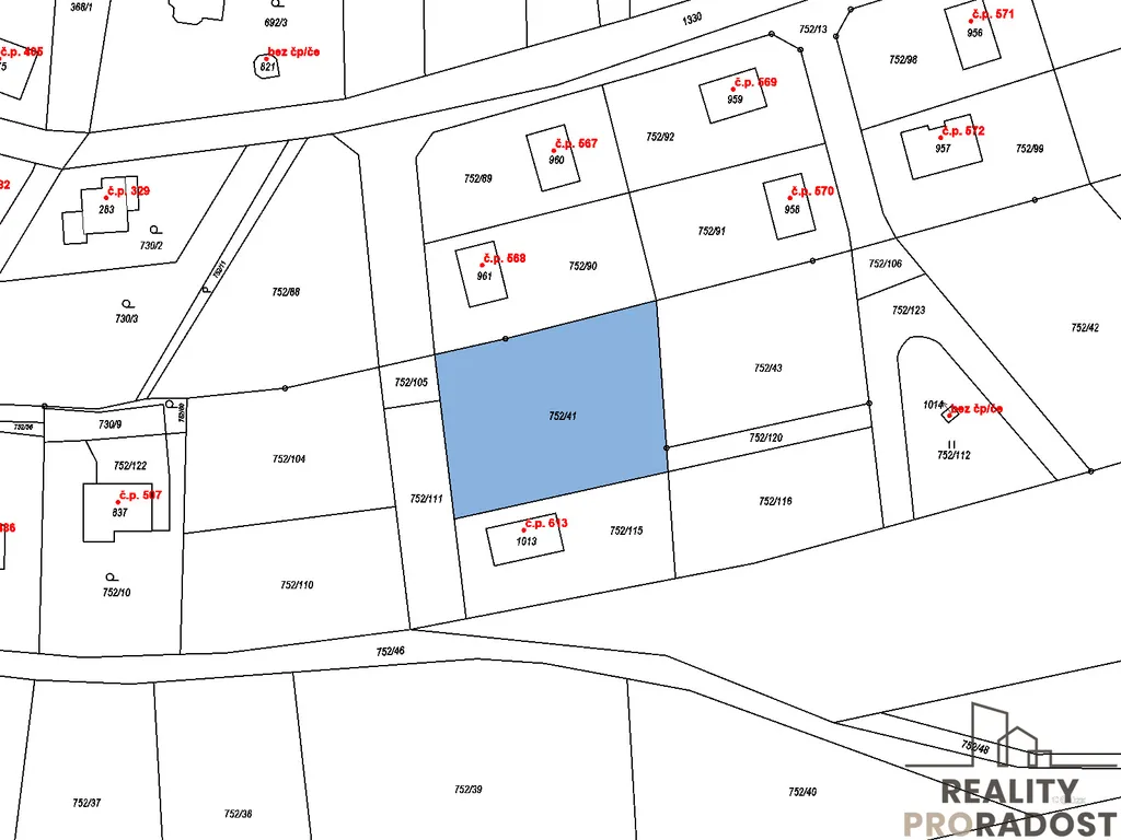
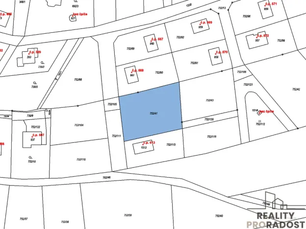
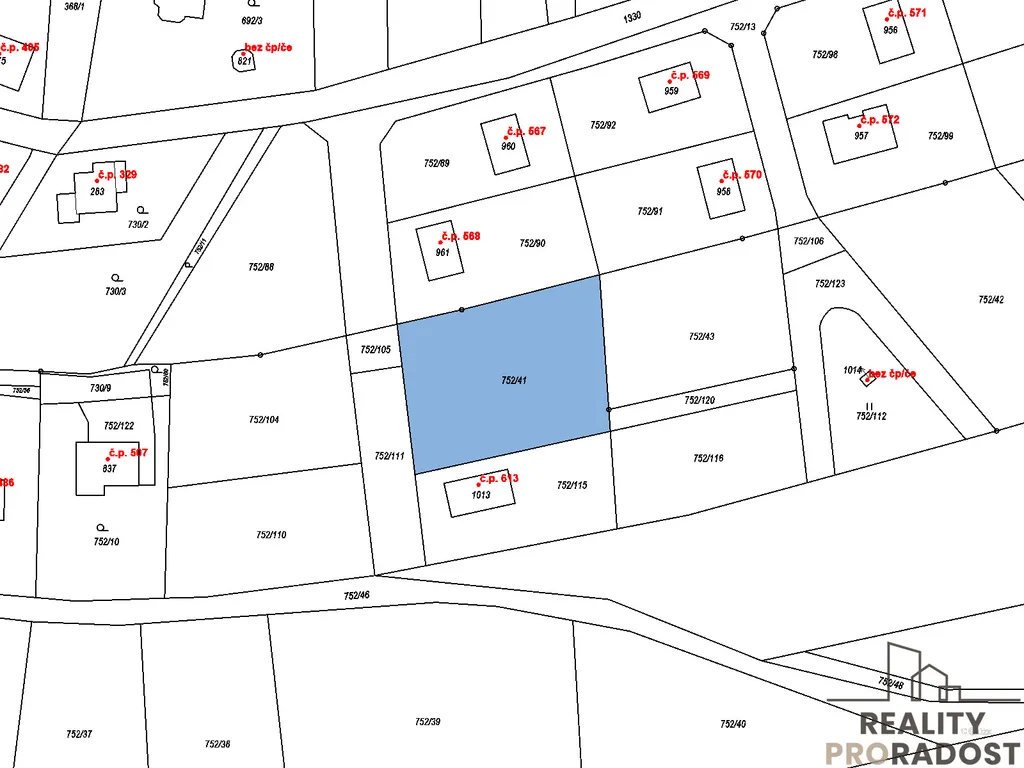
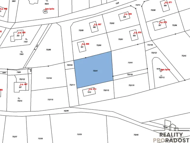
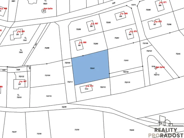
Některé lokality si svou hodnotu udržují dlouhodobě díky tomu, co nabízejí každý den – klid, soukromí a krásné okolí. Jistebník je jednou z nich. V této vyhledávané části Poodří vám nabízíme slunný pozemek o rozloze 1 671 m², určený k výstavbě rodinného domu dle platného územního plánu, v prostředí, kde je klid, prostor a příroda stále samozřejmostí. Jen kousek od Ostravy, a přesto daleko od městského shonu.

Elektřina je již přivedena přímo na pozemek, vodovod se nachází podél jeho hranice. Díky velikosti parcely si můžete dopřát skutečné soukromí, velkou zahradu i reprezentativní bydlení.

Jistebník není obyčejná obec. Je to perla Poodří. Krajina rybníků, luk a starých vrb vytváří atmosféru, kterou nelze napodobit ani nahradit. Procházky kolem řeky Odry, cyklostezky vedoucí Polanskou nivou, rybníky Bezruč a Křivý – to vše je součástí každodenního života. Místo, kam se vracíte rádi. Místo, kde zpomalíte.

Tato nabídka osloví především klienty, kteří nehledají jen stavební parcelu, ale místo, kde mohou dlouhodobě žít život podle svých představ.

Pro koho je tento pozemek ideální?
- Pro majitele koní a milovníky jezdeckého sportu
Jistebník je vyhledávanou lokalitou pro chov a ustájení koní. Rozsáhlé louky, polní cesty a klidná krajina Poodří poskytují ideální podmínky pro vyjížďky i každodenní kontakt s přírodou.

- Pro aktivní lidi, kteří chtějí být venku
Přímé napojení na síť cyklostezek, blízkost řeky Odry a rybniční soustavy ocení milovníci cyklistiky, běhu, rybaření i klidných procházek. Příroda zde není víkendovým cílem, ale součástí běžného dne.

- Pro náročné rodiny hledající prostor a soukromí
Velikost pozemku umožňuje výstavbu reprezentativního rodinného domu s velkou zahradou, dostatkem zeleně a maximálním soukromím – bez těsné zástavby a ruchu města.

- Pro klienty, kteří chtějí klid, ale ne izolaci
Ostrava je v pohodlné dojezdové vzdálenosti, přesto zde panuje atmosféra venkovského klidu, prestiže a komunity lidí, kteří si vybírají kvalitu života.

Pokud hledáte výjimečné místo, které si svou hodnotu udrží i do budoucna, tento pozemek si zaslouží vaši pozornost.
Kontaktujte nás a domluvte si osobní prohlídku.

________________________________________
V případě více zájemců bude nemovitost prodána nejvyšší nabídce a majitel si vyhrazuje právo vybrat kupujícího na základě jím zvolených kritérií.
Veškeré zveřejněné údaje obsažené v tomto inzerátu mají pouze informativní charakter a nejsou nabídkou ve smyslu §1731 nebo §1732 občanského zákoníku, ani se nejedná o veřejný příslib dle §1733 občanského zákoníku.

Cena
4 999 990 Kč /za nemovitost Spočítat hypotéku
Aktualizováno
12. 4. 2026
Adresa
Jistebník
ID
28711
Plocha pozemku
1671 m2
Převod do OV

Máte zájem o tuto nemovitost?

Tímto, v souladu s nařízením Evropského parlamentu a Rady (EU) 2016/679, v platném znění, prohlašuji, že mi je alespoň 16 let a uděluji tak svůj souhlas se zpracováním zadaných údajů (jméno, telefon, e-mail, ip adresa) společnosti B3 Technology, s.r.o., IČ: 07330600, se sídlem Novostavby 126/23, 435 11 Lom (správce dat), za účelem předání dotazu z tohoto formuláře Vámi vybranému inzerentovi a zpětného kontaktování mé osoby. Osobní údaje bude správce zpracovávat manuálně i automaticky přímo prostřednictvím svých zaměstnanců. Informace předané tímto formulářem budou uloženy v databázi správce maximálně po dobu 10 let. Odvolání souhlasu s uložením a zpracováním poskytnutých dat lze e-mailem na info@realitymat.cz. V případě podezření na neoprávněné použití Vámi poskytnutých údajů máte právo předat podnět k šetření Úřadu pro ochranu osobních údajů. Více informací
Chystáte se prodat nemovitost?
Pomůžeme Vám!

Kontakt

Mgr. Alžběta Večerková, MBA

Mgr. Alžběta Večerková, MBA

Přihlášení k odběru

Nenechte si ujít nejnovější nabídky prodeje pozemků pro bydlení v Jistebníku.

Tipy Realitymatu

Podobné nabídky