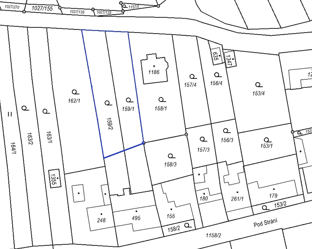
Prodej pozemku pro bydlení, Zlín, 722 m2

Zlín


3 910 000 Kč /za nemovitost
HYPOTÉKA od 17 475 Kč /měs.
Regionální dodavatelé v Zlíně

Popis

Stavební pozemek 722 m² ve Zlíně – Prštné

Ideální místo pro váš nový domov nebo investiční projekt
Hledáte pozemek, který spojuje klidné bydlení, skvělou dostupnost do centra a připravenost k okamžité výstavbě?

Pak právě tento mírně svažitý pozemek o velikosti 722 m² v atraktivní části Zlína – Prštné je tou pravou volbou.

Výjimečné místo pro život
Prštné je vyhledávaná městská část, která nabízí harmonii mezi přírodou a městským životem.
Leží jen pár minut od centra Zlína, přesto si zachovává příjemně klidnou atmosféru.
Lokalita se rozprostírá v okolí řeky Dřevnice a na svazích malebných kopců, díky čemuž poskytuje
krásné výhledy a velmi příjemné prostředí pro rodinné bydlení.

Pozemek připravený na stavbu
inženýrské sítě na hranici pozemku,
k dispozici geometrický návrh na dělení pozemku,
mírný svah umožňující zajímavé architektonické řešení domu,
lokalita vhodná jak pro rodinný dům, tak pro investiční výstavbu.

Díky tomu můžete realizovat vlastní vysněný projekt nebo využít pozemek i jako perspektivní investici s možností dalšího rozvoje.

Skvělá dopravní dostupnost

Prštné má vlastní železniční zastávku Zlín-Prštné a perfektní spojení se Zlínem i okolními obcemi. Vše potřebné — školy, obchody, služby i sportoviště — máte v dosahu několika minut.

Proč právě tento pozemek?
-jedna z nejžádanějších částí Zlína,
-klidná a bezpečná lokalita,
-dostupnost centra jen pár minut,
-pozemek připravený na rychlé zahájení stavby,
-skvělá kombinace pro rodinné i investiční záměry.

Cena
3 910 000 Kč /za nemovitost Spočítat hypotéku
Aktualizováno
3. 1. 2026
Adresa
Zlín
Plocha pozemku
722 m2

Máte zájem o tuto nemovitost?

Tímto, v souladu s nařízením Evropského parlamentu a Rady (EU) 2016/679, v platném znění, prohlašuji, že mi je alespoň 16 let a uděluji tak svůj souhlas se zpracováním zadaných údajů (jméno, telefon, e-mail, ip adresa) společnosti B3 Technology, s.r.o., IČ: 07330600, se sídlem Novostavby 126/23, 435 11 Lom (správce dat), za účelem předání dotazu z tohoto formuláře Vámi vybranému inzerentovi a zpětného kontaktování mé osoby. Osobní údaje bude správce zpracovávat manuálně i automaticky přímo prostřednictvím svých zaměstnanců. Informace předané tímto formulářem budou uloženy v databázi správce maximálně po dobu 10 let. Odvolání souhlasu s uložením a zpracováním poskytnutých dat lze e-mailem na info@realitymat.cz. V případě podezření na neoprávněné použití Vámi poskytnutých údajů máte právo předat podnět k šetření Úřadu pro ochranu osobních údajů. Více informací
Chystáte se prodat nemovitost?
Pomůžeme Vám!

Kontakt

Václav Kotrys

Václav Kotrys

Přihlášení k odběru

Nenechte si ujít nejnovější nabídky prodeje pozemků pro bydlení v Zlíně.

Tipy Realitymatu

Podobné nabídky