Prodej pozemku pro bydlení, Lipoltice - Sovoluská Lhota, 1149 m2

Lipoltice, Sovoluská Lhota


2 298 000 Kč /za nemovitost
HYPOTÉKA od 10 271 Kč /měs.
Regionální dodavatelé v Lipolticích

Popis

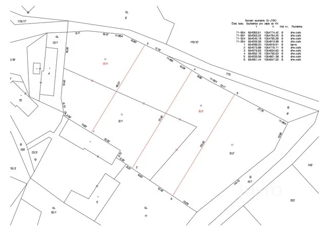
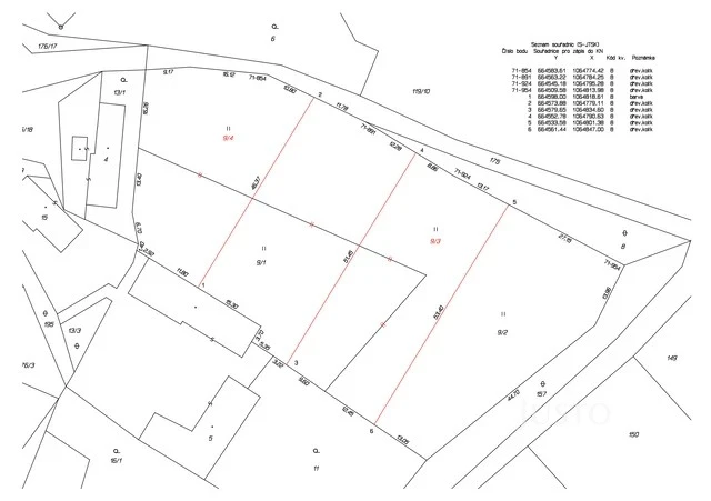
Ve výhradním zastoupení majitele nabízíme k prodeji atraktivní stavební pozemek o velikosti 1 149 m² v klidné části obce, Lipoltice, v části Sovoluská Lhota, poblíž obce Přelouč. Pozemek je součástí plánovaného rozdělení dvou parcel p.č.9/1 a 9/2, na kterých vzniknou čtyři samostatné parcely, každá o výměře přes 1 000 m². Tato nabídka je ideální volbou pro ty, kteří hledají dostatek prostoru pro výstavbu rodinného domu v příjemném a tichém prostředí.

Pozemek se nachází na okraji obce, v lokalitě s minimálním dopravním provozem. Okolí tvoří rozlehlá pole, louky a lesní celky, které zajišťují dostatek soukromí i možností pro relaxaci a volnočasové aktivity v přírodě.
Pozemek je v územním plánu veden jako plocha smíšená venkovská – obytná s hlavním využitím: plochy smíšeného využiti ve venkovských sídlech využívané zejména pro bydlení v rodinných domech (včetně domů a usedlostí s hospodářským zázemím), obslužnou sférou a nerušící výrobní činnosti.

V současnosti je pozemek bez přípojek s příjezdem po nezpevněné komunikaci, která je majetkem obce.

Sovoluská Lhota je typickou ukázkou klidného a bezpečného bydlení s výbornou dostupností do širšího okolí. V Přelouči jste za 9 minut a v Heřmanově Městci za 15 minut. Pardubice jsou vzdáleny pouhých 20 minut jízdy.

Pokud hledáte místo pro svůj nový domov v přírodě s výbornou dostupností města, je tato nabídka určena právě Vám. Pro více informací o této nemovitosti nebo sjednání prohlídky nás prosím kontaktujte

Cena
2 298 000 Kč /za nemovitost Spočítat hypotéku
Aktualizováno
3. 12. 2025
Adresa
Lipoltice, Sovoluská Lhota
ID
J12079
Lokalita objektu
Klidná část obce
Vlastnictví
Osobní
Podlahová plocha
1149 m2
Plocha pozemku
1149 m2
Komunikace
Neupravená

Máte zájem o tuto nemovitost?

Tímto, v souladu s nařízením Evropského parlamentu a Rady (EU) 2016/679, v platném znění, prohlašuji, že mi je alespoň 16 let a uděluji tak svůj souhlas se zpracováním zadaných údajů (jméno, telefon, e-mail, ip adresa) společnosti B3 Technology, s.r.o., IČ: 07330600, se sídlem Novostavby 126/23, 435 11 Lom (správce dat), za účelem předání dotazu z tohoto formuláře Vámi vybranému inzerentovi a zpětného kontaktování mé osoby. Osobní údaje bude správce zpracovávat manuálně i automaticky přímo prostřednictvím svých zaměstnanců. Informace předané tímto formulářem budou uloženy v databázi správce maximálně po dobu 10 let. Odvolání souhlasu s uložením a zpracováním poskytnutých dat lze e-mailem na info@realitymat.cz. V případě podezření na neoprávněné použití Vámi poskytnutých údajů máte právo předat podnět k šetření Úřadu pro ochranu osobních údajů. Více informací
Chystáte se prodat nemovitost?
Pomůžeme Vám!

Kontakt

Ing. Milan Šámal

Ing. Milan Šámal

Přihlášení k odběru

Nenechte si ujít nejnovější nabídky prodeje pozemků pro bydlení v Lipolticích.

Podobné nabídky