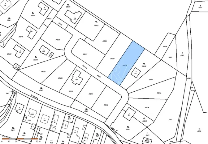
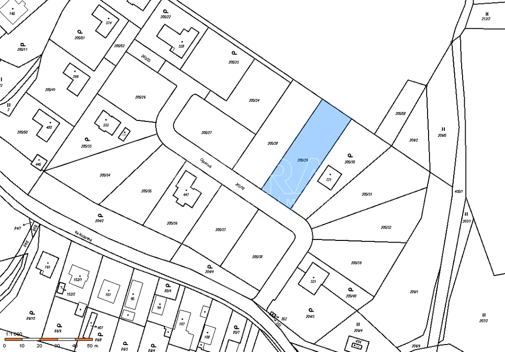
Prodej pozemku pro bydlení, Tuchoměřice, 1237 m2

Tuchoměřice, Kněžívka


11 133 000 Kč /za nemovitost
HYPOTÉKA od 49 758 Kč /měs.

(cena včetně provize, právního a hypotečního servisu)


Regionální dodavatelé v Tuchoměřicích

Popis

Hledáte místo, kde můžete začít novou kapitolu – jako rodina nebo jako podnikatel?
V Tuchoměřicích, na dosah Prahy, na vás čeká pozemek vhodný ke stavbě rodinného domu ve vilové ulici Opuková.
Místo, kde můžete vytvořit domov podle vlastních představ, a zároveň mít město i důležité dopravní tahy po ruce.

Co můžete od lokality očekávat?
• Pro rodiny
Obec nabízí školu, školku, komunitní život a zázemí, kde děti snadno najdou přátele. Okolní krajina – pole, lesy a údolí s Únětickým potokem – dává prostor pro společné víkendy venku.
• Pro podnikatele
Blízkost Prahy, Letiště Václava Havla kousek od domu a rychlé napojení na D7 i Pražský okruh přináší časovou flexibilitu a možnost skloubit práci s rodinou bez dlouhých přesunů.
• Občanská vybavenost a služby
Restaurace a obchody v nedalekém centru POP Airport a k tomu nová nákupní zóna, kde snadno nakoupíte potraviny, drogerii i nábytek.

Informace o pozemku
• Výměra: 1 237 m²
• Tvar: terén rovinatý, obdélník
• Inženýrské sítě: elektřina, voda a kanalizace na hranici pozemku
• Zastavitelnost: až 35 % plochy, což dává prostor pro dům i zahradu
• Územní plán: nízkopodlažní bydlení

Komu může pozemek dávat smysl?
• Rodinám, které chtějí dům se zahradou v dosahu Prahy.
• Podnikatelům, kteří často cestují nebo potřebují rychlé napojení na město a letiště.
• Těm, kdo hledají pozemek s plnou připraveností sítí a jasnými regulativy výstavby.

Pozemek je volně přístupný. Můžete se přijít podívat, projít si okolí a udělat si vlastní představu.
Pokud budete chtít, zavolejte mi – ráda vás vezmu na místo a probereme vše osobně.

Cena
11 133 000 Kč /za nemovitost Spočítat hypotéku
Poznámka k ceně
cena včetně provize, právního a hypotečního servisu
Aktualizováno
2. 12. 2025
Adresa
Tuchoměřice, Kněžívka
ID
18138
Lokalita objektu
Okraj obce
Plocha pozemku
1237 m2
Odpad
Veřejná kanalizace
Komunikace
Asfaltová
Doprava
Dálnice, Silnice, Autobus
Voda
Vodovod
Převod do OV

Máte zájem o tuto nemovitost?

Tímto, v souladu s nařízením Evropského parlamentu a Rady (EU) 2016/679, v platném znění, prohlašuji, že mi je alespoň 16 let a uděluji tak svůj souhlas se zpracováním zadaných údajů (jméno, telefon, e-mail, ip adresa) společnosti B3 Technology, s.r.o., IČ: 07330600, se sídlem Novostavby 126/23, 435 11 Lom (správce dat), za účelem předání dotazu z tohoto formuláře Vámi vybranému inzerentovi a zpětného kontaktování mé osoby. Osobní údaje bude správce zpracovávat manuálně i automaticky přímo prostřednictvím svých zaměstnanců. Informace předané tímto formulářem budou uloženy v databázi správce maximálně po dobu 10 let. Odvolání souhlasu s uložením a zpracováním poskytnutých dat lze e-mailem na info@realitymat.cz. V případě podezření na neoprávněné použití Vámi poskytnutých údajů máte právo předat podnět k šetření Úřadu pro ochranu osobních údajů. Více informací
Chystáte se prodat nemovitost?
Pomůžeme Vám!

Kontakt

Pavla Viková

Pavla Viková

Přihlášení k odběru

Nenechte si ujít nejnovější nabídky prodeje pozemků pro bydlení v Tuchoměřicích.

Podobné nabídky