Prodej pozemku pro bydlení, Vysoký Újezd, 6994 m2

Vysoký Újezd, Kuchař


20 755 000 Kč /za nemovitost
HYPOTÉKA od 92 762 Kč /měs.

(Provizi neplatíte, cena vč. právního servisu, Právo majitele vybrat kupujícího dle vlastní úvahy.)


Regionální dodavatelé v Vysokém Újezdu

Popis

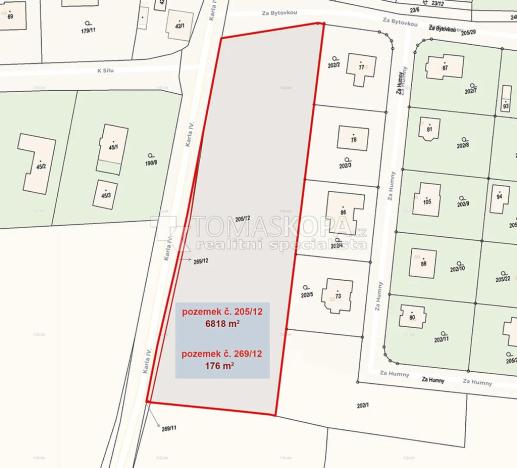
Ve výhradním zastoupení majitele nabízím k prodeji zastavitelný rovinatý stavební pozemek parc.č. 205/12 o výměře 6818 m² (cca 40m x 196m) + pozemek parc.č. 269/12 o výměře 176 m², který je v žádané oblasti obce Vysoký Újezd (Kuchař), okr. Beroun s výbornou dostupností do Berouna (18 min) či do Prahy (40min). Z pozemku č. 205/12 je zastavitelných cca 5640 m², zbylých cca 1354 m² je využitelných jako zahrada (přes stavební část je započítáno i ochranné pásmo el. vedení (22kV) (2x7 metrů) – viz. přiložené fotografie. Pozemek lze rozdělit na 6 parcel pro 6 RD (880+860+835+345+1220+2354 m2). Bližší informace telefonicky.

Cena
20 755 000 Kč /za nemovitost Spočítat hypotéku
Poznámka k ceně
Provizi neplatíte, cena vč. právního servisu, Právo majitele vybrat kupujícího dle vlastní úvahy.
Aktualizováno
27. 11. 2025
Adresa
Vysoký Újezd, Kuchař
ID
0009
Lokalita objektu
Centrum obce
Plocha pozemku
6994 m2
Elektřina
230V
Odpad
Veřejná kanalizace
Voda
Vodovod

Máte zájem o tuto nemovitost?

Tímto, v souladu s nařízením Evropského parlamentu a Rady (EU) 2016/679, v platném znění, prohlašuji, že mi je alespoň 16 let a uděluji tak svůj souhlas se zpracováním zadaných údajů (jméno, telefon, e-mail, ip adresa) společnosti B3 Technology, s.r.o., IČ: 07330600, se sídlem Novostavby 126/23, 435 11 Lom (správce dat), za účelem předání dotazu z tohoto formuláře Vámi vybranému inzerentovi a zpětného kontaktování mé osoby. Osobní údaje bude správce zpracovávat manuálně i automaticky přímo prostřednictvím svých zaměstnanců. Informace předané tímto formulářem budou uloženy v databázi správce maximálně po dobu 10 let. Odvolání souhlasu s uložením a zpracováním poskytnutých dat lze e-mailem na info@realitymat.cz. V případě podezření na neoprávněné použití Vámi poskytnutých údajů máte právo předat podnět k šetření Úřadu pro ochranu osobních údajů. Více informací
Chystáte se prodat nemovitost?
Pomůžeme Vám!

Kontakt

Tomáš Kopa

Tomáš Kopa

Přihlášení k odběru

Nenechte si ujít nejnovější nabídky prodeje pozemků pro bydlení v Vysokém Újezdu (okr. Beroun).

Podobné nabídky