Prodej pozemku, Karlovy Vary, Dubová, 13 m2

Dubová, Karlovy Vary, Bohatice


199 000 Kč /za nemovitost
HYPOTÉKA od 889 Kč /měs.
Regionální dodavatelé v Karlových Varech

Popis

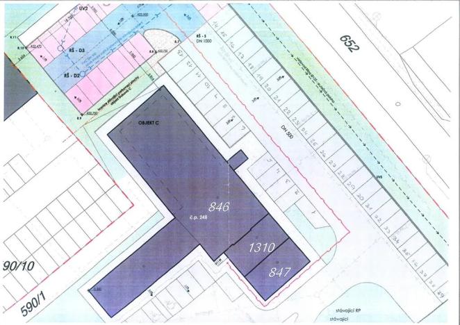
Nabízíme možnost pronájmu či koupě parkovacího stání v areálu na adrese Dubová 248/1, Karlovy Vary - Bohatice. Pronájem 1 parkovacího stání činí 1.500 Kč/měsíc. Prodej 1 parkovacího stání je ve výši 199.000 Kč. Parkovací stání se nachází v klidné lokalitě s dobrou dostupností do centra města a představují vhodné řešení jak pro rezidenty, tak pro podnikatele. V případě zájmu o bližší informace, prohlídku nebo sjednání smluvních podmínek nás neváhejte kontaktovat.

Cena
199 000 Kč /za nemovitost Spočítat hypotéku
Aktualizováno
19. 11. 2025
Adresa
Dubová, Karlovy Vary, Bohatice
ID
2482
Plocha pozemku
13 m2

Máte zájem o tuto nemovitost?

Tímto, v souladu s nařízením Evropského parlamentu a Rady (EU) 2016/679, v platném znění, prohlašuji, že mi je alespoň 16 let a uděluji tak svůj souhlas se zpracováním zadaných údajů (jméno, telefon, e-mail, ip adresa) společnosti B3 Technology, s.r.o., IČ: 07330600, se sídlem Novostavby 126/23, 435 11 Lom (správce dat), za účelem předání dotazu z tohoto formuláře Vámi vybranému inzerentovi a zpětného kontaktování mé osoby. Osobní údaje bude správce zpracovávat manuálně i automaticky přímo prostřednictvím svých zaměstnanců. Informace předané tímto formulářem budou uloženy v databázi správce maximálně po dobu 10 let. Odvolání souhlasu s uložením a zpracováním poskytnutých dat lze e-mailem na info@realitymat.cz. V případě podezření na neoprávněné použití Vámi poskytnutých údajů máte právo předat podnět k šetření Úřadu pro ochranu osobních údajů. Více informací
Chystáte se prodat nemovitost?
Pomůžeme Vám!

Kontakt

Jana Kerumová

Jana Kerumová

Přihlášení k odběru

Nenechte si ujít nejnovější nabídky prodeje pozemků (ostatní) v Karlových Varech.

Podobné nabídky