Prodej pozemku pro bydlení, Radostice, 1379 m2

Radostice u Brna


3 990 000 Kč /za nemovitost
HYPOTÉKA od 17 833 Kč /měs.

(Prodej formou dobrovolné elektronické aukce)


Regionální dodavatelé v Radosticích

Popis

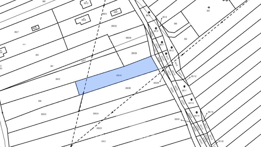
Předmětem aukce je stavební pozemek o rozloze 1 379 m2 – Radostice u Brna.

Stavební pozemek p. č. 555/43 o celkové výměře 1 379 m2, určený dle územního plánu k výstavbě samostatně stojícího rodinného domu. Pozemek se nachází v klidné okrajové části obce Radostice u Brna, pouhých 13 km jihozápadně od Brna, a je ideální volbou pro ty, kteří hledají bydlení v blízkosti přírody, ale zároveň s výbornou dostupností do města.

Hlavní přednosti pozemku:
• rozměry cca 15 × 92 m
• inženýrské sítě (elektřina, plyn, voda, kanalizace) na hranici pozemku
• obecní příjezdová cesta
• pozemek přímo u přírodního parku Bobrava, obklopený lesy a krásnou přírodou
• v obci je kompletní občanská vybavenost

Pozemek je vhodný jak pro rodiny, tak pro ty, kteří hledají klidné místo pro výstavbu vlastního bydlení v harmonickém prostředí. Pro více informací nás kontaktujte.

Možnost financování hypotékou.

Prohlídka nemovitosti: Nekoná se. Pozemek lze navštívit individuálně dle pozice GPS 49.129856311, 16.481221473
Pokud se nestanete vítězem aukce, aukční jistota Vám bude v plné výši vrácena.

Cena
3 990 000 Kč /za nemovitost Spočítat hypotéku
Poznámka k ceně
Prodej formou dobrovolné elektronické aukce
Aktualizováno
19. 11. 2025
Adresa
Radostice u Brna
ID
2602 A 02/25 - 1
Lokalita objektu
Klidná část obce
Plocha pozemku
1379 m2
Komunikace
Asfaltová
Doprava
MHD, Autobus
Převod do OV

Máte zájem o tuto nemovitost?

Tímto, v souladu s nařízením Evropského parlamentu a Rady (EU) 2016/679, v platném znění, prohlašuji, že mi je alespoň 16 let a uděluji tak svůj souhlas se zpracováním zadaných údajů (jméno, telefon, e-mail, ip adresa) společnosti B3 Technology, s.r.o., IČ: 07330600, se sídlem Novostavby 126/23, 435 11 Lom (správce dat), za účelem předání dotazu z tohoto formuláře Vámi vybranému inzerentovi a zpětného kontaktování mé osoby. Osobní údaje bude správce zpracovávat manuálně i automaticky přímo prostřednictvím svých zaměstnanců. Informace předané tímto formulářem budou uloženy v databázi správce maximálně po dobu 10 let. Odvolání souhlasu s uložením a zpracováním poskytnutých dat lze e-mailem na info@realitymat.cz. V případě podezření na neoprávněné použití Vámi poskytnutých údajů máte právo předat podnět k šetření Úřadu pro ochranu osobních údajů. Více informací
Chystáte se prodat nemovitost?
Pomůžeme Vám!

Kontakt

Ing. Dalibor Daneš

Ing. Dalibor Daneš

Přihlášení k odběru

Nenechte si ujít nejnovější nabídky prodeje pozemků pro bydlení v Radosticích.

Podobné nabídky