Prodej pozemku pro bydlení, Kosmonosy, Stakorská, 4428 m2

Stakorská, Kosmonosy


15 000 000 Kč /za nemovitost
HYPOTÉKA od 67 041 Kč /měs.
Regionální dodavatelé v Kosmonosech

Popis

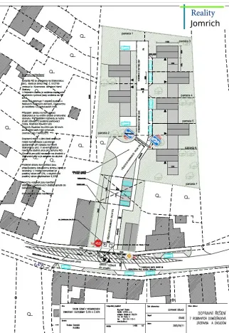
Jedná se o prodej RD i stavebních parcel ve velice lukrativním předměstí Mladé Boleslavi v obci Kosmonosy, Stakorská ul. č.p. 130, a to včetně prověřené a precizně zpracované architektonické studie pro výstavbu RD od renomovaných architektů. Jedna varianta nabízí výstavbu pěti rodinných domů a druhá sedm rodinných domů v řadové zástavbě a dvojdům. Součástí prodeje jsou i schválená stanoviska a vyjádření od Dopravního inspektorátu policie ČR, Vodovodů a kanalizace Mladá Boleslav, inženýrsko – geologické posouzení lokality aj. – v nich je obsaženo cca 6 měsíců práce profesionálního týmu.
Jedná se o parcely p.č. 379 – zastavěná plocha a nádvoří o výměře 849 m2, jejíž součástí je stavba rodinného domu č.p. 130 o zast. pl. ca 120 m2, který je dlouhodobě neobývaný, aktuálně neobyvatelný a v havarijním stavu, klasifikace dle územního plánu SM - bydlení smíšené obytné městské, výška stavby 8,5 m, koeficient zastavitelnosti 40%, a parcela p.č. 1679 – zahrada o výměře 3579 m2, dle úp BI - bydlení individuální, výška stavby 8 m, zastavitelnost 60%.
Veřejná kanalizace, vodovod, elektřina i plyn jsou uloženy v ulici Stakorská. Veškerá občanská vybavenost i vjezd na dálnici D 10 se nacházejí v blízkém dosahu. Blízkost nejúspěšnějšího výrobního areálu v ČR - Škoda Auto i připravenost výstavby na těchto parcelách nadchne každého developera i moudrého investora. V místě se také nachází turisticky atraktivní Zámek Kosmonosy, Klášter piaristů, Loreta, Přírodní rezervace Vrch Baba a nedaleko každého milovníka přírody potěší kouzelný Český ráj.
Prodejní cena 15.000.000,- Kč právní služby advokáta za sepis kupní smlouvy, smlouvy o úschově i advokátní úschovu kupní ceny do 10.000,- Kč včetně poplatku pro katastr za vklad kupní smlouvy a provizi pro RK.

Cena
15 000 000 Kč /za nemovitost Spočítat hypotéku
Aktualizováno
11. 11. 2025
Adresa
Stakorská, Kosmonosy
ID
00291
Plocha pozemku
4428 m2
Elektřina
230V, 400V
Odpad
Veřejná kanalizace
Doprava
Vlak, Dálnice, Silnice, MHD, Autobus

Máte zájem o tuto nemovitost?

Tímto, v souladu s nařízením Evropského parlamentu a Rady (EU) 2016/679, v platném znění, prohlašuji, že mi je alespoň 16 let a uděluji tak svůj souhlas se zpracováním zadaných údajů (jméno, telefon, e-mail, ip adresa) společnosti B3 Technology, s.r.o., IČ: 07330600, se sídlem Novostavby 126/23, 435 11 Lom (správce dat), za účelem předání dotazu z tohoto formuláře Vámi vybranému inzerentovi a zpětného kontaktování mé osoby. Osobní údaje bude správce zpracovávat manuálně i automaticky přímo prostřednictvím svých zaměstnanců. Informace předané tímto formulářem budou uloženy v databázi správce maximálně po dobu 10 let. Odvolání souhlasu s uložením a zpracováním poskytnutých dat lze e-mailem na info@realitymat.cz. V případě podezření na neoprávněné použití Vámi poskytnutých údajů máte právo předat podnět k šetření Úřadu pro ochranu osobních údajů. Více informací
Chystáte se prodat nemovitost?
Pomůžeme Vám!

Kontakt

Roman Jomrich

Roman Jomrich

Přihlášení k odběru

Nenechte si ujít nejnovější nabídky prodeje pozemků pro bydlení v Kosmonosech.

Podobné nabídky