Prodej bytu 3+1, Benešov, Na Spořilově, 71 m2
Na Spořilově, Benešov
(cena vč. provize RK)
Popis
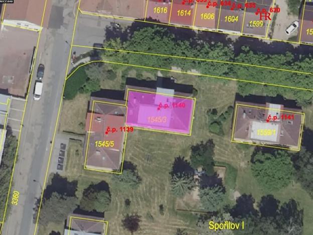
Nabízíme k prodeji zrekonstruovanou, bytovou jednotku 3+1 nacházející se v cihlovém domě v blízkosti centra města Benešova u Prahy, ulice Na Spořilově 1140. Tato bytová jednotka v osobním vlastnictví o dispozici 3+1 a podlahové ploše bytu 71,2 m2 (bez sklepa, 87,1 m2 se sklepem), se nachází ve 2. podlaží z celkových 3. podlaží Dispozice: obývací pokoj 22,0 m2, kuchyň 9,7 m2, předsíň 5,9 m2, koupelna s vanou umyvadlem 2,7 m2, technická místnost s místem na pračku 1,5 m2, ložnice 12,3 m2, dětský pokoj 14,9 m2, samostatné WC 1,3 m2, komora 0,9 m2, sklep 15,9 m2. Okna – plastová. Podlahy – vinylová podlaha, dlažba. Interiérové dveře s obložkou. Topení – ústředí, vlastní elektrokotel v technické místnosti. Ohřev vody – elektrický bojler umístěný také v tech. místnosti. Do bytu je přiveden TV signál a optický telekomunikační kabel. K bytu náleží prostorný sklep o velikosti 15,9 m2 (není zahrnuto do celkové plochy bytu), umístěný v suterénu domu. Možno využívat společnou sušárnu. Tento bytový dům s 5 byty je umístěn ve velice pěkné a klidné lokalitě v blízkosti centra města Benešov (Spořilov I.). Byt prošel kompletní rekonstrukcí. PENB – třída G – není dodán. Město Benešov se nachází ve Středočeském kraji, cca 40 km jihovýchodně od Prahy. Má velice dobrou dopravní obslužnost a dostupnost do Prahy (vlak, autobus). V blízkém okolí domu se nachází veškerá občanská vybavenost. Za domem je zeleň a dětské hřiště. V okolí Benešova naleznete velké množství památek, zajímavostí, kulturního a sportovního vyžití. Pro sjednání nezávazné prohlídky nás prosím kontaktujte na uvedených číslech. V případě zájmu Vám zprostředkujeme sjednání hypotéky. Volné od 1. 1.2026.
Máte zájem o tuto nemovitost?
Vnoučkova 2131, Benešov
Pomůžeme Vám!
Pomůžeme Vám!
Kontakt
 
                        Jiří Čeleda
Přihlášení k odběru
Nenechte si ujít nejnovější nabídky prodeje bytů 3+1 v Benešově.
Podobné nabídky
 
        Prodej bytu 3+1, Benešov, Žižkova, 59 m2
5 500 000 Kč
 
        Prodej bytu 3+1, Neveklov, Rákosníkova, 68 m2
5 690 000 Kč
 
        Prodej bytu 3+1, Týnec nad Sázavou, Jílovská, 59 m2
4 490 000 Kč
 
        Prodej bytu 3+1, Čerčany, Družstevní, 64 m2
5 150 000 Kč
 
                                                                                     
                                                                                     
                                                                                     
                                                                                     
                                                                                     
                                                                                     
                                                                                     
                                                                                     
                                                                                     
                                                                                     
                                                                                     
                                                                                     
                                                                                     
                                                                                     
                                                                                     
                                                                                     
                                                                                     
                                                                                     
                                                                                     
                                                                                     
                                                                                     
                                                                                     
                                                                                     
                                                                                     
                                                                                     
                                                                                     
                                                                                     
                                                                                     
                                                                                     
                                                                                     
                                                                                     
                                                                                     
                                                                                     
                                                                                     
                                                                                    