Prodej pozemku pro bydlení, Škvorec, 2723 m2 (ID: 1967605)
Škvorec
Popis
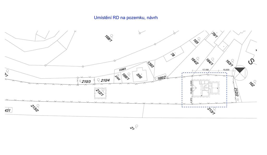
Nabízíme Vám k prodeji stavební pozemek o celkové výměře 2723 m² v ulici Na Dolíkách v městysi Škvorec (Praha – východ). Pozemek se nachází na konci klidné ulice lemované rodinnými domy s výhledem do volného prostoru. Na pozemku je přípojka na elektřinu, vrtaná studna. Přístup na pozemek je z veřejné asfaltové komunikace. Pozemek dle je územního plánu obce spadá do kategorie BI - bydlení individuální, určen k výstavbě rodinného domu s max. plochou zastavění 30% u solitérního domu, 40% u dvojdomu a max. 2 nadzemní podlaží. Velkou výhodou je, že součástí prodávaného pozemku je projekt na výstavbu rodinného domu plochou 273 m2 o dvou bytových jednotkách 5+kk a 3+kk s odděleně stojící garáží. Projekt není podmínkou prodeje a je možné na pozemku postavit jiný dům dle vlastních představ, avšak pokud nechcete ztrácet čas projektováním, tato možnost je pro Vás. Je možnost rozdělení na dva pozemky o velikosti 1473 m2 a 1109 m2 + příjezdová komunikace, viz plánek v příloze. V obci je velmi dobrá občanská vybavenost (ZŠ, MŠ, obchody, pošta, restaurace), a dobrá dostupnost do Prahy (autobus PID, vlak).
Máte zájem o tuto nemovitost?
Mazurská 846/2d, Praha
Pomůžeme Vám!
Pomůžeme Vám!
Kontakt

Mgr. Nikita Kormilitsyn
Přihlášení k odběru
Nenechte si ujít nejnovější nabídky prodeje pozemků pro bydlení v Škvorci.
Tipy Realitymatu

Prodej pozemku pro bydlení, Jirny, Alšova, 663 m2
8 900 000 Kč
Podobné nabídky

Prodej pozemku pro bydlení, Škvorec, 801 m2
8 452 500 Kč

Prodej pozemku pro bydlení, Líbeznice, 1171 m2
11 710 000 Kč

Prodej pozemku pro bydlení, Líbeznice, 1109 m2
11 090 000 Kč

Prodej pozemku pro bydlení, Káraný, 992 m2
3 999 999 Kč