Prodej rodinného domu, Hostín u Vojkovic, 200 m2

Hostín u Vojkovic


13 000 000 Kč /za nemovitost
HYPOTÉKA od 58 102 Kč /měs.
Regionální dodavatelé v Hostíně u Vojkovic

Pojištění a finance

Popis

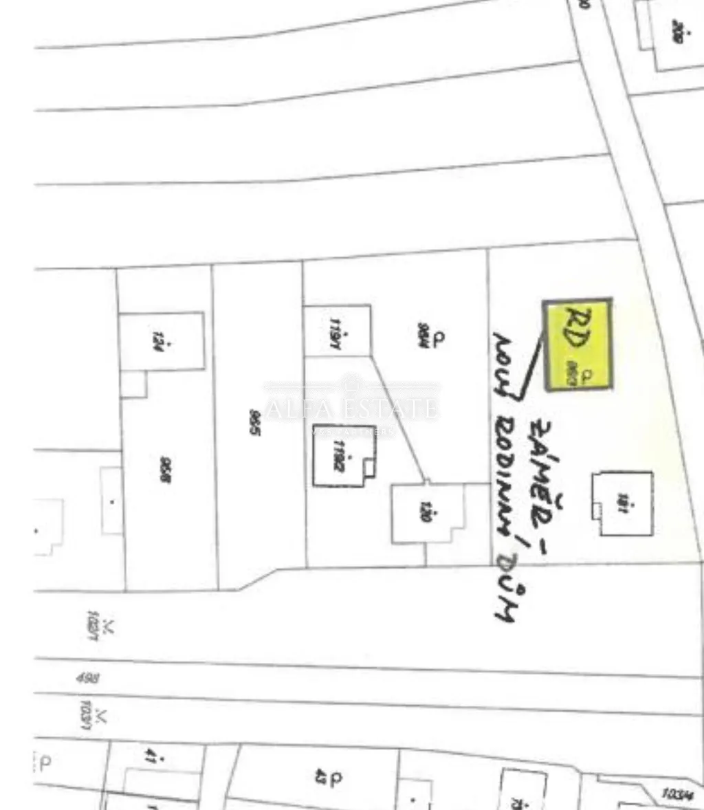
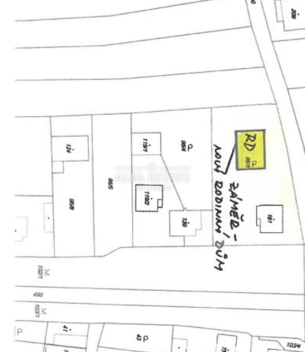
Nabízíme k prodeji samostatně stojící rodinný dům s podsklepením, jedním nadzemním podlažím a obytným podkrovím. Objekt je postaven ze zdiva z plynosilikátových tvárnic, založený na základových pásech. Jedná se o podsklepený dům – využití suterénu pro technické zázemí a skladovací prostory a jedno nadzemní podlaží + obytné podkroví. Konstrukce domu je zděná, sedlová střecha se střešní krytinou z plechových šablon, fasáda- stříkaný břízolit, kabřincový obklad. Stropy: z hurdisek do I profilů, podlahy: PVC a keramické dlaždice. Vnitřní omítky: štukové, částečně dřevěné obklady. Dům sestává ze vstupního prostoru, po pravé straně se nachází velmi prostorný obývací pokoj s balkónem a krbovými kamny, ze kterého vejdeme do kuchyně, sousedící s koupelnou. V obytném podkroví se potom nachází dvě ložnice, k jedné náleží balkon. Vytápění je řešeno elektrokotlem, voda a kanalizace jsou napojeny do veřejného řádu. Jedná se o klasický rodinný dům Nemovitost má solidní konstrukční stav a standardní vybavenost, která umožňuje užívání, i postupnou modernizaci dle představ nového majitele. Výhodu je možnost rozdělení pozemku na druhý stavební pozemek o výměře 800m2 a stavbou rodinného domu 150m2. K tomuto záměru byl vydán souhlas s dělením pozemku, včetně souhlasu na napojení na komunikaci a veřejný vodovod a kanalizaci. Součástí prodeje nemovitosti je také pozemek o výměře 385m2-ostaní plocha, který se nachází nedaleko. Obec Hostín u Vojkovic leží ve Středočeském kraji, v okrese Mělník, přibližně 25 km od Prahy. Díky poloze v úrodné polabské nížině nabízí příjemné a klidné prostředí vhodné pro rodinné bydlení i rekreaci. Hostín je dobře dopravně napojen na okolní města. Autem se do Prahy dostanete během půl hodiny, do Kralup nad Vltavou za cca 10 minut a do Mělníka přibližně za 15 minut. Obcí prochází silnice II/101, která spojuje Neratovice s Kralupy nad Vltavou. Veřejnou dopravu zajišťují pravidelné autobusové linky s návazností na vlaky v Neratovicích a Kralupech nad Vltavou. V obci funguje mateřská a základní škola (1.–5. ročník), pošta a obecní úřad. Pro větší nákupy, zdravotní péči či další služby lze využít blízké Kralupy nad Vltavou, Neratovice nebo Mělník, kde je k dispozici kompletní infrastruktura. Hostín u Vojkovic je tradiční česká vesnice s příjemnou komunitní atmosférou. Obec se stará o společenský život – pořádá kulturní i sportovní akce a podporuje místní spolky. Okolní krajina mezi řekami Labem a Vltavou je ideální pro cyklistiku, procházky i aktivní trávení volného času v přírodě. Hostín u Vojkovic je klidná a dobře dostupná obec nedaleko Prahy s vlastní základní vybaveností a příjemným venkovským prostředím. Díky blízkosti měst Kralupy nad Vltavou, Neratovice a Mělník nabízí ideální kombinaci klidu, přírody a rychlé dostupnosti veškerých služeb. Velmi rádi vám tuto nemovitost představíme při osobní schůzce.

Cena
13 000 000 Kč /za nemovitost Spočítat hypotéku
Aktualizováno
27. 2. 2026
Adresa
Hostín u Vojkovic
ID
N317
Stavba
Cihlová
Stav objektu
Dobrý
Typ objektu
Patrový
Druh objektu
Samostatný
Užitná plocha
200 m2
Zastavěná plocha
110 m2
Podlahová plocha
330 m2
Plocha pozemku
2125 m2
Třída energetické náročnosti
G - Mimořádně nehospodárná
Balkon
Garáž
Sklep
Parkování
Bazén

Máte zájem o tuto nemovitost?

Tímto, v souladu s nařízením Evropského parlamentu a Rady (EU) 2016/679, v platném znění, prohlašuji, že mi je alespoň 16 let a uděluji tak svůj souhlas se zpracováním zadaných údajů (jméno, telefon, e-mail, ip adresa) společnosti B3 Technology, s.r.o., IČ: 07330600, se sídlem Novostavby 126/23, 435 11 Lom (správce dat), za účelem předání dotazu z tohoto formuláře Vámi vybranému inzerentovi a zpětného kontaktování mé osoby. Osobní údaje bude správce zpracovávat manuálně i automaticky přímo prostřednictvím svých zaměstnanců. Informace předané tímto formulářem budou uloženy v databázi správce maximálně po dobu 10 let. Odvolání souhlasu s uložením a zpracováním poskytnutých dat lze e-mailem na info@realitymat.cz. V případě podezření na neoprávněné použití Vámi poskytnutých údajů máte právo předat podnět k šetření Úřadu pro ochranu osobních údajů. Více informací
Chystáte se prodat nemovitost?
Pomůžeme Vám!
Theleadway banner

Kontakt

Soňa Petříková

Soňa Petříková

Přihlášení k odběru

Nenechte si ujít nejnovější nabídky prodeje rodinných domů v Hostíně u Vojkovic.

Podobné nabídky