Prodej pozemku pro bydlení, Skoronice, 2691 m2
Skoronice
Popis
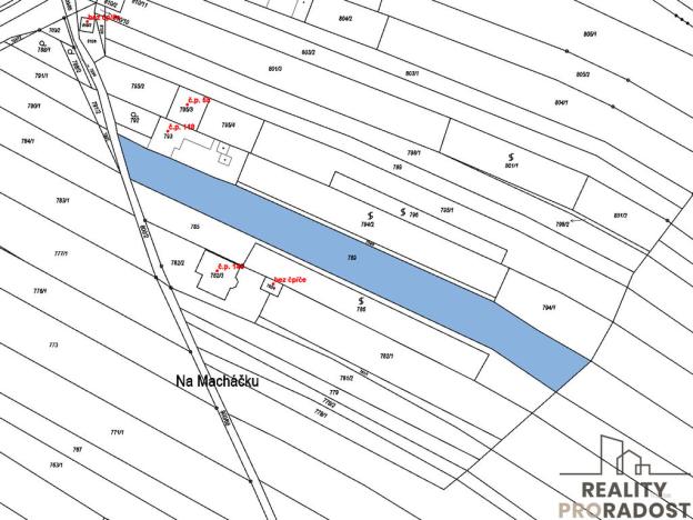
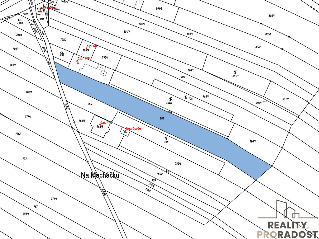
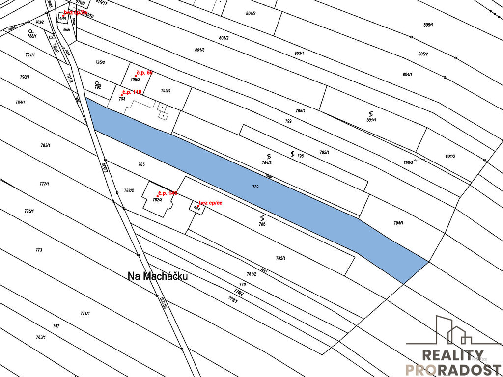
Nabízíme k prodeji pozemek určený k bydlení o celkové ploše 2691 m², nacházející se v části obce Skoronice, v okresu Hodonín. Tento pozemek se pyšní výhodnou polohou v klidné oblasti, která nabízí krásný výhled do okolní krajiny. Ideální pro ty, kdo hledají místo pro výstavbu rodinného domu v harmonii s přírodou. Šířka parcely je cca 14 m. Všechny IS jsou na hranici pozemku.
V obci Skoronice probíhá změna územního plánu, cca za 2 roky bude celá parcela v zastavěném území. Nyní je zastavitelná cca 1/2.
Pozemek je charakterizován svými hranicemi, které jsou všechny jasně vymezeny, což usnadňuje jeho případné rozdělení nebo další úpravy. Dostupnost pozemku je zajištěna silnicí, což znamená bezproblémové napojení na okolní komunikace a město Kyjov, které je v dojezdové vzdálenosti.
Tato lokalita se může pyšnit nejen malebným prostředím, ale také klidnou atmosférou, ideální pro rodinný život nebo rekreační objekt. Vzhledem k velikosti pozemku je zde dostatek prostoru pro realizaci vlastních představ a projektů, ať už se jedná o novostavbu rodinného domu, zahrady nebo jiných doplňkových staveb.
Koupě tohoto pozemku je skvělou příležitostí pro investici do nemovitosti s potenciálem. Nechte se okouzlit krásou tohoto místa a užijte si výhody bydlení v přírodě se snadným přístupem k občanské vybavenosti v blízkém okolí. Obec Skoronice sousedí s obcí Vlkoš, kde je veškerá občanská vybavenost.
V případě zájmu o prohlídku nás neváhejte kontaktovat.
Máte zájem o tuto nemovitost?

Vídeňská 1014/18b, Brno
Pomůžeme Vám!
Pomůžeme Vám!
Kontakt

Blanka Šubrtová
Přihlášení k odběru
Nenechte si ujít nejnovější nabídky prodeje pozemků pro bydlení v Skoronicích.
Podobné nabídky

Prodej pozemku pro bydlení, Těmice, 2331 m2
3 150 000 Kč

Prodej pozemku pro bydlení, Stavěšice, 840 m2
1 500 000 Kč

Prodej pozemku pro bydlení, Hroznová Lhota, 1303 m2
1 650 000 Kč

Prodej pozemku pro bydlení, Mikulčice, 997 m2
6 350 000 Kč