Prodej pole, Moravany, 9486 m2 (ID: 1955490)
Moravany
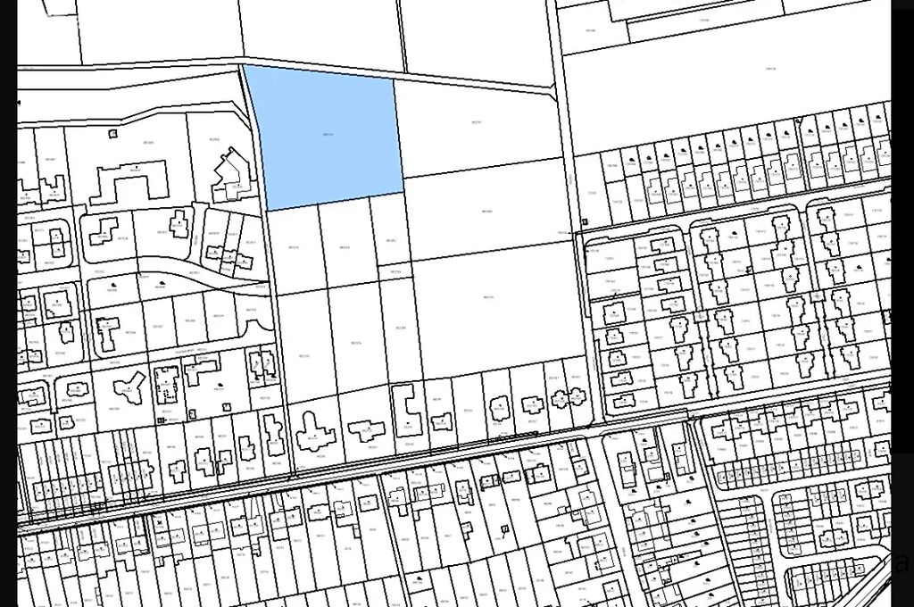
Popis
Nabízíme k prodeji rozsáhlý pozemek o celkové výměře 9486 m² v obci Moravany. Tento pozemek kategorizovaný jako orná půda představuje dobrou investici pro ty, kteří hledají ideální lokalitu pro své projekty.
Pozemek se nachází v atraktivní lokalitě v Moravanech, která je známa svojí poklidnou atmosférou a výbornou dostupností.
Prohlídky jsou možné po předchozí domluvě. Pro více informací o této nemovitosti nebo sjednání prohlídky nás prosím kontaktujte nebo vyplňte níže uvedený formulář.
Máte zájem o tuto nemovitost?
Sochorova 3226/40, Brno
Pomůžeme Vám!
Pomůžeme Vám!
Kontakt

Ing. Martin Hartman
Přihlášení k odběru
Nenechte si ujít nejnovější nabídky prodeje polí v Moravanech (okr. Brno-venkov).
Tipy Realitymatu

Prodej pozemku pro bydlení, Modřice, Pančochy, 962 m2
12 025 000 Kč

Prodej zahrady, Doubravník, 1224 m2
700 000 Kč