Prodej pozemku pro bydlení, Vratimov, Na Zadkách, 1035 m2

Na Zadkách, Vratimov


2 700 000 Kč /za nemovitost
HYPOTÉKA od 12 067 Kč /měs.
Regionální dodavatelé v Vratimově

Popis

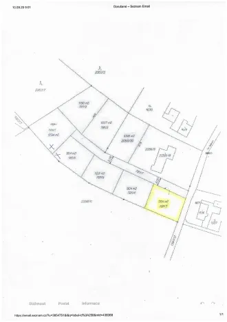
Exklusivně nabízíme k prodeji stavební pozemek pro výstavbu RD v klidné části Vratimova na ulici Na Zadkách v klidné části, poblíž lesa. Celková výměra pozemku je 1035 m2, z toho pozemek pro výstavbu rodinného domu má výměru 904 m2 a podíl na příjezdové cestě 131 m2. Sítě: o elektrickou přípojku požádáno u ČEZ, plyn zde není, vodovod u cesty, kanalizace v této lokalitě zatím není. Tvar pozemku obdélníkový, rozměr pozemku cca 25m x 36m, rovinatý, slunný, orientace pozemku (delší stranou) východ x západ. Doporučujeme prohlídku!

Cena
2 700 000 Kč /za nemovitost Spočítat hypotéku
Aktualizováno
13. 9. 2025
Adresa
Na Zadkách, Vratimov
Plocha pozemku
1035 m2

Máte zájem o tuto nemovitost?

Tímto, v souladu s nařízením Evropského parlamentu a Rady (EU) 2016/679, v platném znění, prohlašuji, že mi je alespoň 16 let a uděluji tak svůj souhlas se zpracováním zadaných údajů (jméno, telefon, e-mail, ip adresa) společnosti B3 Technology, s.r.o., IČ: 07330600, se sídlem Novostavby 126/23, 435 11 Lom (správce dat), za účelem předání dotazu z tohoto formuláře Vámi vybranému inzerentovi a zpětného kontaktování mé osoby. Osobní údaje bude správce zpracovávat manuálně i automaticky přímo prostřednictvím svých zaměstnanců. Informace předané tímto formulářem budou uloženy v databázi správce maximálně po dobu 10 let. Odvolání souhlasu s uložením a zpracováním poskytnutých dat lze e-mailem na info@realitymat.cz. V případě podezření na neoprávněné použití Vámi poskytnutých údajů máte právo předat podnět k šetření Úřadu pro ochranu osobních údajů. Více informací
Chystáte se prodat nemovitost?
Pomůžeme Vám!

Kontakt

Miroslav Sklář

Miroslav Sklář

Přihlášení k odběru

Nenechte si ujít nejnovější nabídky prodeje pozemků pro bydlení v Vratimově.

Podobné nabídky