Prodej pozemku pro bydlení, Lazsko, 1052 m2
Lazsko
Popis
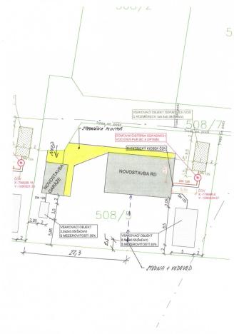
Prodej dvou stavebních pozemků na okraji obce Lazsko cca 8 km od Příbrami a cca 68 km od Prahy / cca 55 min autem /. Velice dobré spojení po dálnici D4 - sjezd o u obce Milín cca 3 km od stavebních pozemků. Prodává se pozemek na fotkách č. 5 o výměře 1052 m2 a pozemek č. 6 o výměře 1095 m2. K pozemku č. 5 je vydané stavební povolení na stavbu rodinného domu o zastavěné ploše 135 m2 a samostatně postavené garáže o zastavěné ploše 35 m2. Projekt je možné převzít nebo upravit podle zájemců. Plánovaná stavba přízemního rod. domu je 4 + kk, koupelna a WC, tech. místnost. Oba pozemky mají vlastní elektrickou přípojku a vlastní vrtanou studnu. Je plánovaná u každého pozemku malá domácí čistička odpadních vod. Součástí prodeje pozemků je podíl na přístupové komunikaci. Možnost okamžité stavby rod. domu. Obec Lazsko je napojená na místní autobusovou dopravu i pid - Příbram - Praha. Obchody, restaurace, školy, školky jsou v obci Milín a nebo v okresním městě Příbram / jezdí autobus /. Pozemky jsou na okraji obce ve velice pěkné krajině na dohled jsou Brdské lesy. Podrobné informace v RK. Při prohlídce nemovitosti je možné nahlédnout do stavebního projektu, na který je vydané stavební povolení.
Máte zájem o tuto nemovitost?
 
                                Václavské náměstí 1, Příbram
Pomůžeme Vám!
Pomůžeme Vám!
Kontakt
 
                        Ivo Bacík
Přihlášení k odběru
Nenechte si ujít nejnovější nabídky prodeje pozemků pro bydlení v Lazsku.
Tipy Realitymatu
Podobné nabídky
 
        Prodej pozemku pro bydlení, Lazsko, 2045 m2
4 100 000 Kč
 
        Prodej pozemku pro bydlení, Vysoký Chlumec, 2553 m2
3 191 250 Kč
 
        Prodej pozemku pro bydlení, Podlesí, 1953 m2
1 388 583 Kč
 
        Prodej pozemku pro bydlení, Obořiště, 1147 m2
4 260 000 Kč
 
                                                                                     
                                                                                     
                                                                                     
                                                                                     
                                                                                     
                                                                                     
                                                                                     
                                             
        