Prodej pozemku pro bydlení, Hustopeče, 1289 m2 (ID: 1866812)
Hustopeče u Brna
(Cena včetně provize a právního servisu.)
Popis
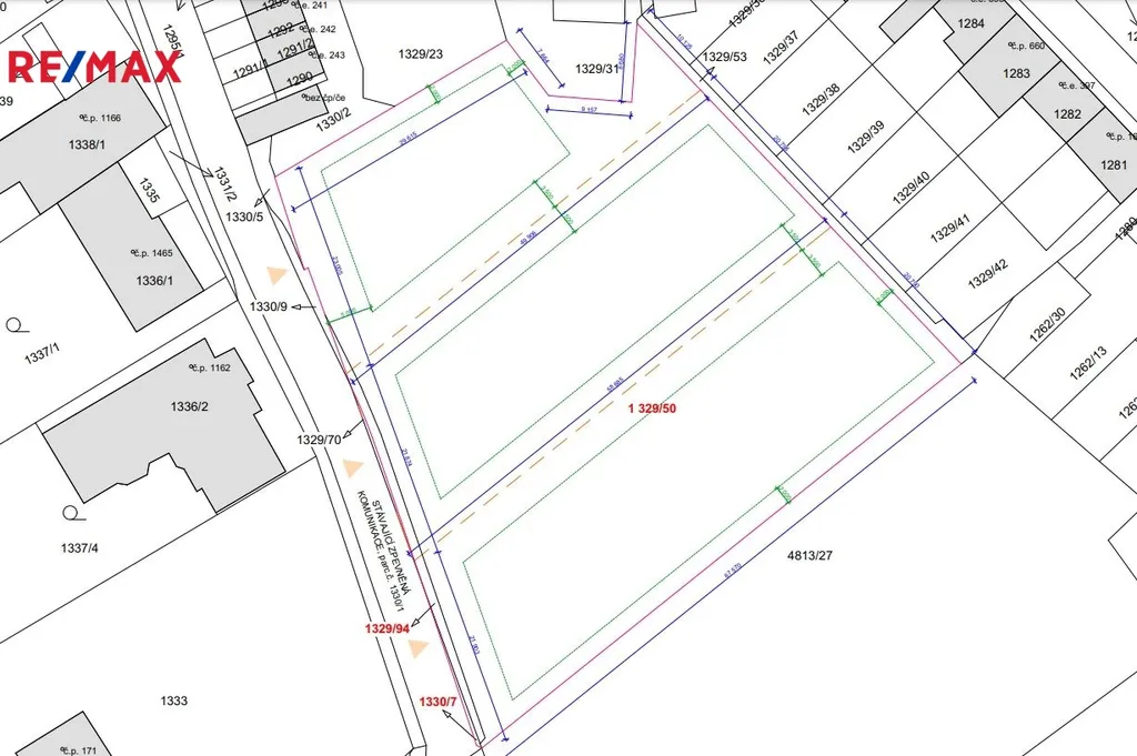
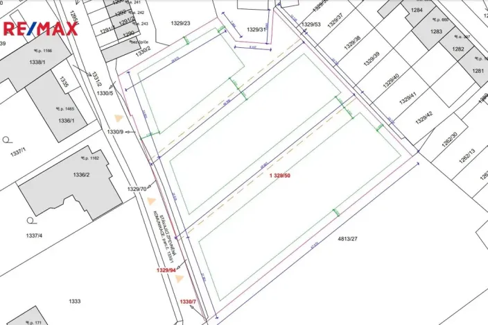
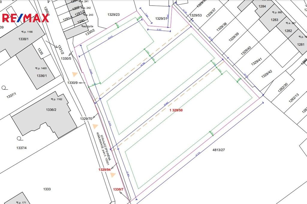
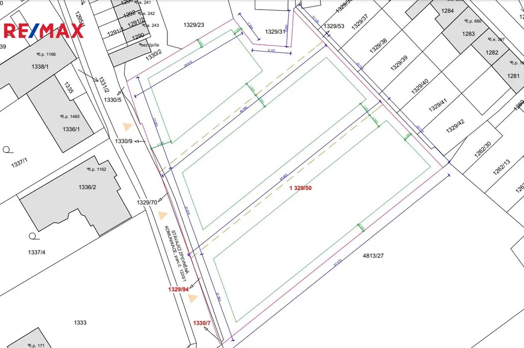
Poslední volný pozemek ze souboru stavebních pozemků v centru Hustopečí na ulici kpt. Jaroše.
Pozemek o rozloze 1289 m² s uliční šíří 22 m a možností výstavby samostatně stojícího domu či řadového dvojdomu. Pozemek se nachází přímo v Hustopečích, s inženýrskými sítěmi dostupnými na hranici pozemku. Dle územního plánu je možné zastavit až 40% plochy pro stavbu domu s dvěma nadzemními podlažími, podsklepením a obytným podkrovím.
Pro více informací o možnosti výstavby zděného domu či dřevostavby se neváhejte ozvat.
Uvedená výměra je orientační.
Máte zájem o tuto nemovitost?

Banskobystrická 819/52, Brno
Pomůžeme Vám!
Pomůžeme Vám!
Kontakt

Ing. Jan Sigmund
Přihlášení k odběru
Nenechte si ujít nejnovější nabídky prodeje pozemků pro bydlení v Hustopečích.
Podobné nabídky

Prodej pozemku pro bydlení, Bořetice, 1163 m2
Cena na vyžádání

Prodej pozemku pro bydlení, Drnholec, 1248 m2
Cena na vyžádání

Prodej pozemku pro bydlení, Břeclav, 2183 m2
Cena na vyžádání

Prodej pozemku pro bydlení, Moravský Žižkov, 1491 m2
Cena na vyžádání