Prodej pozemku pro bydlení, Písek - Budějovické Předměstí, 576 m2
Písek, Budějovické Předměstí
Výkup a prodej starého nábytku
Popis
Na prodej v exklusivním zastoupení lukrativní stavení pozemek určený k výstavbě rekreačních staveb, chat a zahrádkářských osad. Písek, Pod Amerikou. 
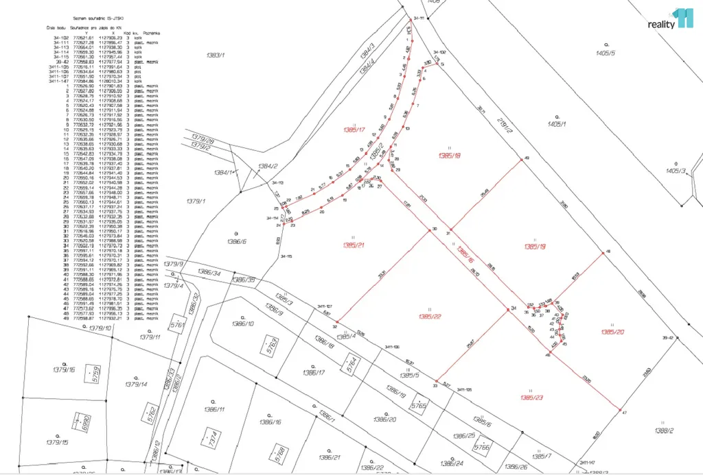
Pozemek je možné pořídit v různých velikostech od cca 576 m² za 1500,-Kč/ m² po téměř 6000 m² za 1250,-Kč/ m².
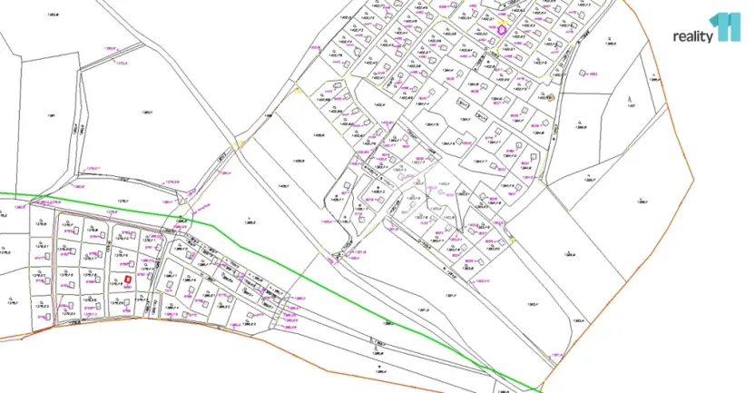
Na pozemku je vodovod, i elektrika viz obrázek inženýrských sítí.
Informace z Územního plánu:
REKREACE – ZAHRÁDKÁŘSKÉ OSADY (RZ) 
a) převažující účel využití - 
rodinná rekreace formou zahrádek, zahrádkářských osad a kolonií, kde mohou být povolovány stavby 
b) přípustné - - - 
plochy zahrádek (ZPF) sloužící pro individuální zemědělskou činnost, tj. pěstování zeleniny, ovoce, 
květin, okrasných rostlin apod. pouze pro vlastní potřebu 
oplocení zemědělské půdy (zahrad a sadů) za účelem ochrany úrody  
nezbytná dopravní a technická infrastruktura 
c) podmíněně přípustné  - 
plochy staveb pro rodinnou rekreaci, např. chaty, rekreační a zahradní domky a další stavby 
a zařízení, které souvisejí s rodinnou rekreací za podmínky, že výměra zastavěné plochy (do které se 
započítávají zpevněné terasy zastřešené i nezastřešené) nepřesáhne 13 % z celkové výměry 
předmětného pozemku, zároveň však maximálně 60 m², v případě pozemků o rozloze větší než 
500 m²  je tato maximální výměra stanovena na 100 m² 
d) podmínky prostorového uspořádání 
36/47 
- 
výška objektů nepřekročí 1,0 NP s výškou okapové hrany max. 3,0 m od přilehlého terénu a výškou 
hřebene max. 6,0 m, jedním podzemním podlažím do hloubky max. 3,0 m - - - 
navrhované objekty a zařízení dle odstavce c) mohou být v zastavitelných plochách umístěny nejblíže 
25 metrů od hranice PUPFL, doplňkové stavby jako pergoly, zpevněné plochy a oplocení pak nejblíže 
5 metrů od hranice PUPFL, což platí i pro pozemek p.č.1627/12 a 1624/58 v k.ú. Písek avšak s tím, 
že uvedené doplňkové stavby mohou v celkovém součtu dosáhnout max. 75 m² 
v případě oddělení části pozemku, na kterém je již realizována nebo povolena rekreační stavba, 
nebude na této nově oddělené části povolena další stavba s výjimkou oplocení a nezbytné dopravní 
a technické infrastruktury a s výjimkou pozemku p.č.1716/1 v k.ú. Písek, který lze rozdělit na dva díly 
s tím, že i na oddělené části  bude připuštěna stavba dle odstavce c) max. 75 m² 
změna využití plochy Z.19 bude postupná, tj. formou postupné etapizace zástavby, a to ve směru od 
ploch již využívaných stejným způsobem směrem do volné krajiny, a to min. ve třech etapách 
e) nepřípustné  - 
všechny ostatní výše neuvedené funkce a činnosti 
Rád vám v případě Vaší potřeby nabídnu také výhodné financování. Neváhejte mě kontaktovat s případnými dotazy. Ev. číslo: 26765.
Máte zájem o tuto nemovitost?
 
                                Svornosti 985/8, Praha
Pomůžeme Vám!
Pomůžeme Vám!
Kontakt
 
                        Roman Dufek
Přihlášení k odběru
Nenechte si ujít nejnovější nabídky prodeje pozemků pro bydlení v Písku.
 
                                                                                     
                                                                                     
                                                                                     
                                                                                     
                                                                                     
                                                                                     
                                                                                     
                                                                                     
                                                                                     
                                                                                     
                                                                                     
                                                                                     
                                                                                     
                                                                                     
                                                                                     
                                                                                     
                                                                                     
                                                                                     
                                                                                     
                                                                                     
                                                                                     
         
         
         
        