Prodej pozemku pro bydlení, Krnov - Pod Bezručovým vrchem, Ježnická, 608 m2
Ježnická, Pod Bezručovým vrchem
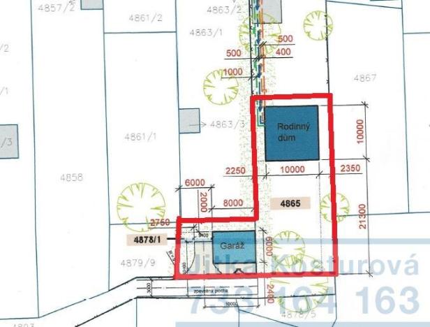
Popis
V exkluzivním zastoupení majitele nabízíme stavební pozemek ke koupi v blízkosti ulice Ježnická v Krnově v klidné lokalitě rodinných domů. Velikost pozemku je 624 m2. Sítě jsou ve vzdálenosti zhruba 50-60 m od paty pozemku. Dle navrženého situačního plánu zde lze umístit bungalov a u vjezdu na pozemek postavit garážové stání. Na pozemku se nachází stromy a keře. Je celý oplocen. Pro další informace nás neváhejte kontaktovat.
Máte zájem o tuto nemovitost?
 
                                Revoluční 910/20, Krnov, Pod Bezručovým vrchem
Pomůžeme Vám!
Pomůžeme Vám!
Kontakt
 
                        Jitka Kosturová
Přihlášení k odběru
Nenechte si ujít nejnovější nabídky prodeje pozemků pro bydlení v Krnově.
Tipy Realitymatu
 
        Prodej pozemku pro bydlení, Dvorce, 1568 m2
Cena na vyžádání
Podobné nabídky
 
        Prodej pozemku pro bydlení, Krnov, 1097 m2
2 500 000 Kč
 
        Prodej pozemku pro bydlení, Krnov, 308 m2
462 997 Kč
 
        Prodej pozemku pro bydlení, Třemešná, 904 m2
678 000 Kč
 
                                                                                     
                                                                                     
                                                                                     
                                                                                     
                                                                                     
                                                                                     
                                                                                     
                                                                                     
                                                                                     
        