Prodej pozemku, Praha - Chodov, 912 m2 (ID: 1508006)

Praha 4


5 900 Kč /za metr čtvereční
HYPOTÉKA od 26 Kč /měs.

(Uvedená kupní cena je v plné výši včetně daně z přidané hodnoty, nákladů na právní zastoupení a poplatku za bezpečnou depozitní úschovu financí.)


Regionální dodavatelé v Praze 4

Stěhovací služby

Výkup a prodej starého nábytku

Popis

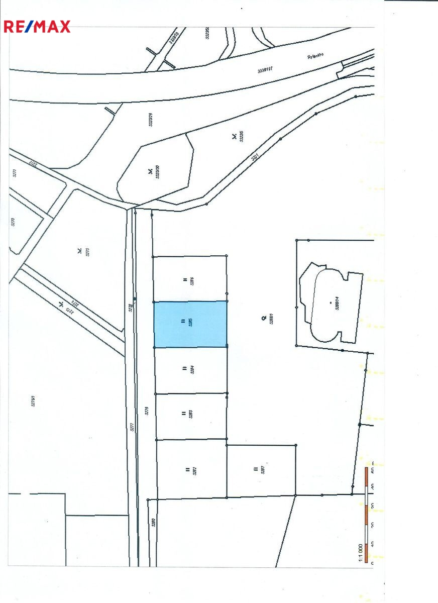
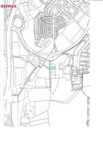
Nabízíme k prodeji výjimečný pozemek 912 m2 v k.ú. Praha – Chodov. Je veden v územním plánu tzv. plochy pro zeleň. Pozemek přímo sousedí se stanicí metra Roztyly linky ,,C, (stanice vzdálena cca 100 m) Veškeré inženýrské sítě se nachází v přilehlé komunikaci. Zajímavá investiční příležitost.

Prohlídky jsou možné kdykoliv po předchozí domluvě. Zajistíme pro vás také kompletní finanční servis, poradenství s hypotékou i pojištěním. Cena je včetně provize RK, obsahuje kompletní právní servis včetně advokátní úschovy a jednání na katastru nemovitostí. Pokud Vás nabídka zaujala, neváhejte nás kontaktovat, rádi Vás přivítáme na nezávazné prohlídce.
Prodávající si vyhrazuje právo vybrat kupujícího na základě jím zvolených kritérií.

Cena
5 900 Kč /za metr čtvereční Spočítat hypotéku
Poznámka k ceně
Uvedená kupní cena je v plné výši včetně daně z přidané hodnoty, nákladů na právní zastoupení a poplatku za bezpečnou depozitní úschovu financí.
Aktualizováno
1. 5. 2026
Adresa
Praha 4
ID
175-NP01467
Lokalita objektu
Centrum obce
Plocha pozemku
912 m2
Převod do OV

Máte zájem o tuto nemovitost?

Tímto, v souladu s nařízením Evropského parlamentu a Rady (EU) 2016/679, v platném znění, prohlašuji, že mi je alespoň 16 let a uděluji tak svůj souhlas se zpracováním zadaných údajů (jméno, telefon, e-mail, ip adresa) společnosti B3 Technology, s.r.o., IČ: 07330600, se sídlem Novostavby 126/23, 435 11 Lom (správce dat), za účelem předání dotazu z tohoto formuláře Vámi vybranému inzerentovi a zpětného kontaktování mé osoby. Osobní údaje bude správce zpracovávat manuálně i automaticky přímo prostřednictvím svých zaměstnanců. Informace předané tímto formulářem budou uloženy v databázi správce maximálně po dobu 10 let. Odvolání souhlasu s uložením a zpracováním poskytnutých dat lze e-mailem na info@realitymat.cz. V případě podezření na neoprávněné použití Vámi poskytnutých údajů máte právo předat podnět k šetření Úřadu pro ochranu osobních údajů. Více informací
Chystáte se prodat nemovitost?
Pomůžeme Vám!

Kontakt

Josef Petýrek

Josef Petýrek

Přihlášení k odběru

Nenechte si ujít nejnovější nabídky prodeje pozemků (ostatní) v Praze 4.

Podobné nabídky