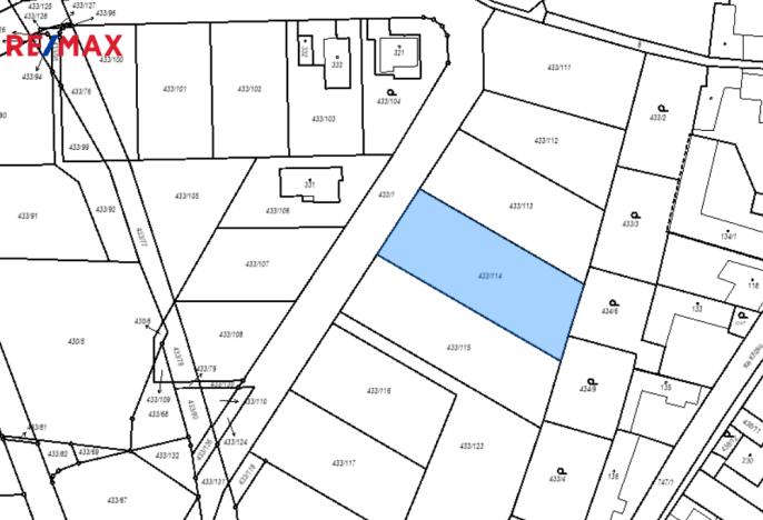
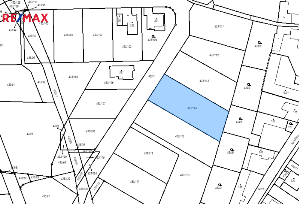
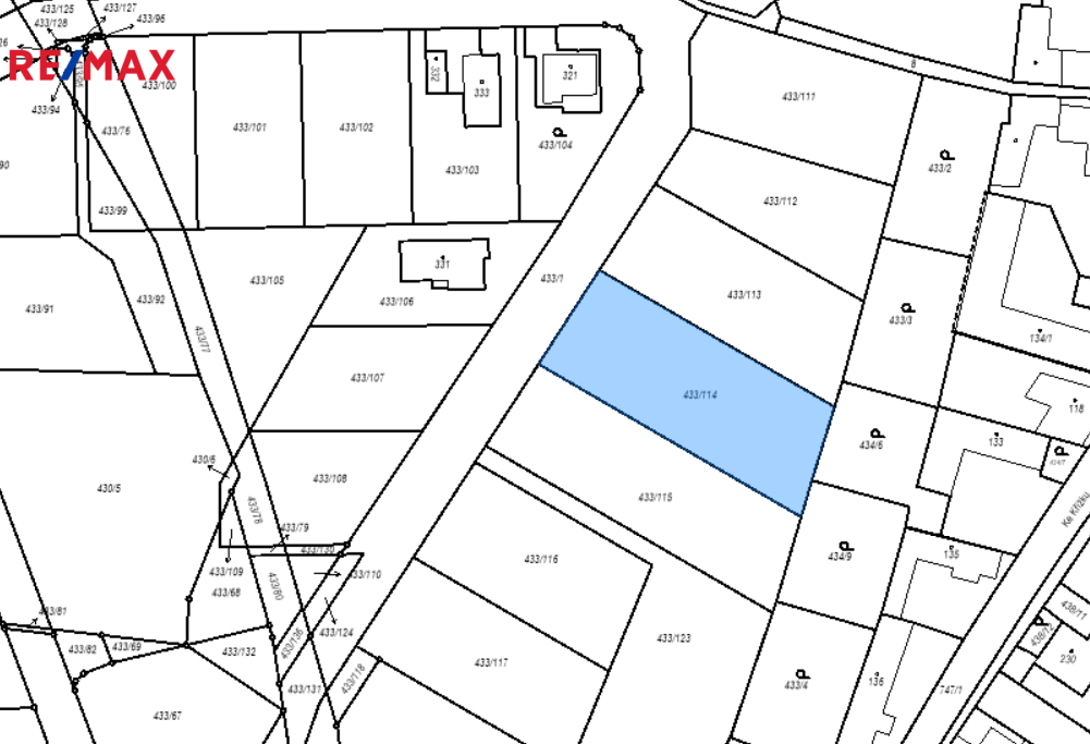
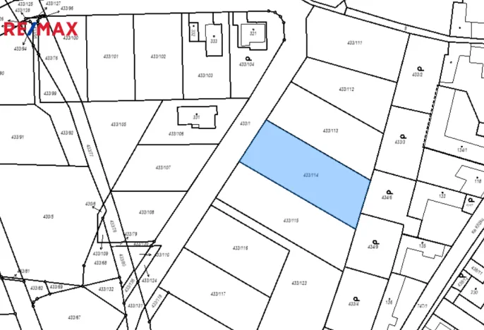
Prodej pozemku pro bydlení, Písek, 1361 m2

Písek, Semice u Písku


5 430 000 Kč /za nemovitost
HYPOTÉKA od 24 269 Kč /měs.
Regionální dodavatelé v Písku

Výkup a prodej starého nábytku

Popis

Exkluzivně nabízíme k prodeji lukrativní a velkorysý stavební pozemek o výměře 1361m2 v Písku - Semicích.
Nachází se v těsné blízkosti přírodního parku Písecké hory, přesto pouze cca 1 km od města. Nově jsou Semice propojeny s Pískem cyklostezkou. A Písek má nové dálniční spojení s Prahou.
Kompletně zasíťovaný pozemek s vyřešenou komunikací. Možno začít ihned stavět.

Cena
5 430 000 Kč /za nemovitost Spočítat hypotéku
Aktualizováno
15. 11. 2025
Adresa
Písek, Semice u Písku
ID
261-NP00868
Lokalita objektu
Klidná část obce
Plocha pozemku
1361 m2
Převod do OV

Máte zájem o tuto nemovitost?

Tímto, v souladu s nařízením Evropského parlamentu a Rady (EU) 2016/679, v platném znění, prohlašuji, že mi je alespoň 16 let a uděluji tak svůj souhlas se zpracováním zadaných údajů (jméno, telefon, e-mail, ip adresa) společnosti B3 Technology, s.r.o., IČ: 07330600, se sídlem Novostavby 126/23, 435 11 Lom (správce dat), za účelem předání dotazu z tohoto formuláře Vámi vybranému inzerentovi a zpětného kontaktování mé osoby. Osobní údaje bude správce zpracovávat manuálně i automaticky přímo prostřednictvím svých zaměstnanců. Informace předané tímto formulářem budou uloženy v databázi správce maximálně po dobu 10 let. Odvolání souhlasu s uložením a zpracováním poskytnutých dat lze e-mailem na info@realitymat.cz. V případě podezření na neoprávněné použití Vámi poskytnutých údajů máte právo předat podnět k šetření Úřadu pro ochranu osobních údajů. Více informací
Chystáte se prodat nemovitost?
Pomůžeme Vám!

Kontakt

Václav Vachta

Václav Vachta

Přihlášení k odběru

Nenechte si ujít nejnovější nabídky prodeje pozemků pro bydlení v Písku.

Podobné nabídky