Prodej pozemku pro bydlení, Přerov, 1064 m2

Penčice


2 690 Kč /za metr čtvereční
HYPOTÉKA od 12 Kč /měs.

(Více informací u makléře)


Regionální dodavatelé v Přerově

Popis

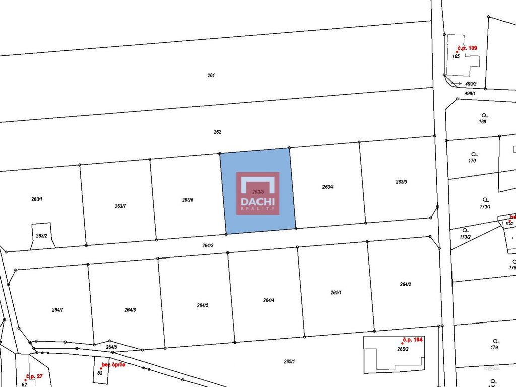
Nabízíme k prodeji stavební pozemek pro bydlení, parcelní č. 263/5, Penčice, část statutárního města Přerova. Výměra stavebního pozemku 1064 m2. Tento pozemek, se nachází v klidné lokalitě v katastrálním území Penčice. Tato lokalita je ideální pro ty, kteří chtějí žít v prostředí obklopeném přírodou a soukromím. Je vhodný pro stavbu rodinného domu, který bude poskytovat dostatek prostoru pro pohodlné bydlení.
Okolní zástavba bude tvořena převážně rodinnými domy a tuto část města charakterizuje klid a bezpečnost. Navíc probíhá rozsáhlý proces zasíťování této oblasti, což zahrnuje výstavbu vodovodu, kanalizace, elektrického a telekomunikačního zásobování, a výstavbu finální cesty, chodníků, osvětlení a výsadbu. Detaily a lhůty těchto staveb vám rádi upřesníme na osobní schůzce.
Penčice samy o sobě jsou malebnou vesnicí, která je součástí statutárního města Přerova, a nachází se pouhých 7 km severně od centra města. Díky silnici II/436 je snadný přístup do okolního regionu.
Pokud máte zájem o prohlídku tohoto pozemku, neváhejte nás kontaktovat pro další informace a prohlídku.

Cena
2 690 Kč /za metr čtvereční Spočítat hypotéku
Poznámka k ceně
Více informací u makléře
Aktualizováno
14. 11. 2025
Adresa
Penčice
ID
18959
Plocha pozemku
1064 m2
Odpad
Veřejná kanalizace
Bezbarierový přístup

Máte zájem o tuto nemovitost?

Tímto, v souladu s nařízením Evropského parlamentu a Rady (EU) 2016/679, v platném znění, prohlašuji, že mi je alespoň 16 let a uděluji tak svůj souhlas se zpracováním zadaných údajů (jméno, telefon, e-mail, ip adresa) společnosti B3 Technology, s.r.o., IČ: 07330600, se sídlem Novostavby 126/23, 435 11 Lom (správce dat), za účelem předání dotazu z tohoto formuláře Vámi vybranému inzerentovi a zpětného kontaktování mé osoby. Osobní údaje bude správce zpracovávat manuálně i automaticky přímo prostřednictvím svých zaměstnanců. Informace předané tímto formulářem budou uloženy v databázi správce maximálně po dobu 10 let. Odvolání souhlasu s uložením a zpracováním poskytnutých dat lze e-mailem na info@realitymat.cz. V případě podezření na neoprávněné použití Vámi poskytnutých údajů máte právo předat podnět k šetření Úřadu pro ochranu osobních údajů. Více informací
Chystáte se prodat nemovitost?
Pomůžeme Vám!

Kontakt

Lenka Kvapilová

Lenka Kvapilová

Přihlášení k odběru

Nenechte si ujít nejnovější nabídky prodeje pozemků pro bydlení v Přerově.

Podobné nabídky