Prodej louky, Lomnice nad Popelkou, 640 m2

Lomnice nad Popelkou


127 360 Kč /za nemovitost
HYPOTÉKA od 569 Kč /měs.

(Prodej zprostředkovaný formou dobrovolné elektronické aukce)


Regionální dodavatelé v Lomnici nad Popelkou

Rekonstrukce

Úklidové služby

Popis

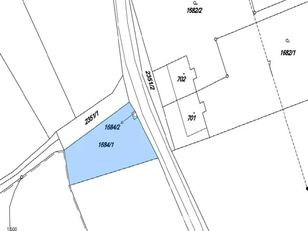
Předmětem prodeje zprostředkovaného formou elektronické aukce je pozemek, pozemek v malebném prostředí severních Čech, kde se klidný venkovský život snoubí s dobrou dostupností a krásnou přírodou. Parcela s celkovou výměrou 640 m² leží u obecní komunikace, v těsném sousedství zastavěného území. Parcela je mírně svažitá, což jí dodává přirozený charakter a může se stát zajímavým základem pro různé záměry. Dle platného územního plánu je plocha vedena jako zemědělská. Každý konkrétní záměr proto doporučujeme předem konzultovat na příslušném úřadu obce. V dokumentech aukce naleznete územní plán, regulativ a podklady ČEZ. Nemovitost není zatížena zástavním právem smluvním.

Lomnice nad Popelkou je živé město s bohatou historií a výbornou občanskou vybaveností. V docházkové vzdálenosti najdete základní i střední školy, obchody, restaurace, poštu i banky. Město nabízí také sportovní vyžití, kulturní akce a čilý společenský život. Co ale Lomnici skutečně odlišuje, je její výjimečná poloha. Město leží na úpatí Krkonoš a Českého ráje, dvou nejkrásnějších přírodních oblastí Čech. Turistické stezky, cyklotrasy, skalní města i hrady a zámky jsou doslova za humny. Dopravní dostupnost je zajištěna mimo jiné i autobusovým spojením do okolních měst, včetně Semil, Liberce a Jičína.

Pozemek nabízí zajímavý investiční potenciál i klidné zázemí pro ty, kdo hledají místo s výhledem do přírody, a přitom se nechtějí vzdát pohodlí městského života. Pro více informací nás kontaktujte.

Prohlídka nemovitosti: Nekoná se. Pozemek lze navštívit individuálně dle pozice GPS 50.521157, 15.36957
Pokud se nestanete vítězem aukce, aukční jistota Vám bude vrácena v plné výši.

Cena
127 360 Kč /za nemovitost Spočítat hypotéku
Poznámka k ceně
Prodej zprostředkovaný formou dobrovolné elektronické aukce
Aktualizováno
22. 4. 2026
Adresa
Lomnice nad Popelkou
ID
2501 A 26/23 - 1
Lokalita objektu
Klidná část obce
Plocha pozemku
640 m2
Komunikace
Asfaltová
Převod do OV

Máte zájem o tuto nemovitost?

Tímto, v souladu s nařízením Evropského parlamentu a Rady (EU) 2016/679, v platném znění, prohlašuji, že mi je alespoň 16 let a uděluji tak svůj souhlas se zpracováním zadaných údajů (jméno, telefon, e-mail, ip adresa) společnosti B3 Technology, s.r.o., IČ: 07330600, se sídlem Novostavby 126/23, 435 11 Lom (správce dat), za účelem předání dotazu z tohoto formuláře Vámi vybranému inzerentovi a zpětného kontaktování mé osoby. Osobní údaje bude správce zpracovávat manuálně i automaticky přímo prostřednictvím svých zaměstnanců. Informace předané tímto formulářem budou uloženy v databázi správce maximálně po dobu 10 let. Odvolání souhlasu s uložením a zpracováním poskytnutých dat lze e-mailem na info@realitymat.cz. V případě podezření na neoprávněné použití Vámi poskytnutých údajů máte právo předat podnět k šetření Úřadu pro ochranu osobních údajů. Více informací
Chystáte se prodat nemovitost?
Pomůžeme Vám!

Kontakt

Ing. Petra Kirnerová

Ing. Petra Kirnerová

Přihlášení k odběru

Nenechte si ujít nejnovější nabídky prodeje louk v Lomnici nad Popelkou.

Podobné nabídky