Prodej pole, Vlkov, 16385 m2

Vlkov


760 500 Kč /za nemovitost
HYPOTÉKA od 3 399 Kč /měs.

(provizi hradí kupující)


Regionální dodavatelé v Vlkově

Popis

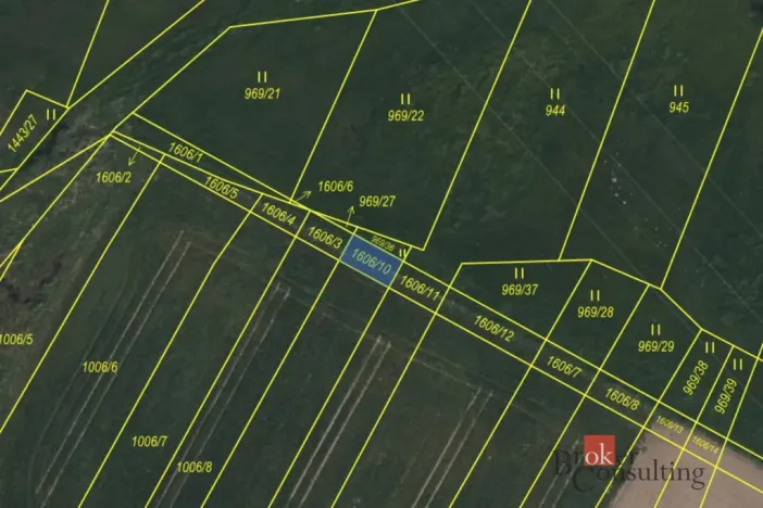
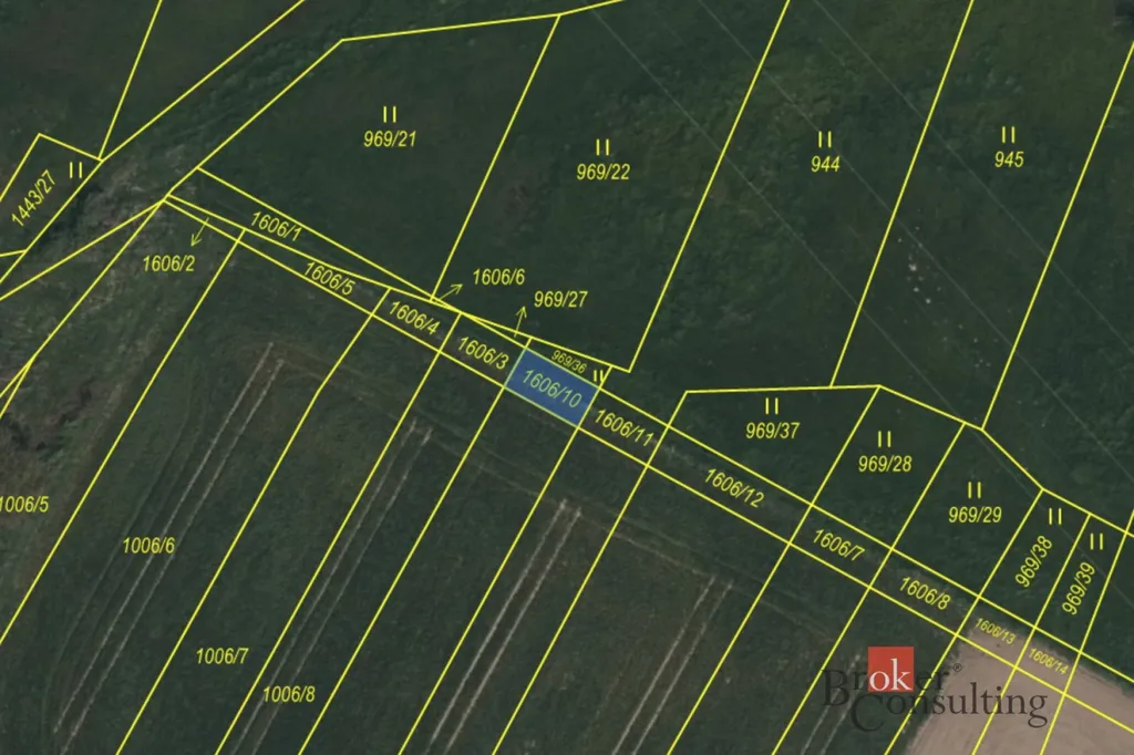
Prodej souboru zemědělských pozemků – k.ú. Vlkov u Osové Bítýšky, okres Žďár nad Sázavou.

Nabízíme k prodeji soubor pozemků v katastrálním území Vlkov u Osové Bítýšky, obec Vlkov, okres Žďár nad Sázavou. Pozemky jsou vedeny převážně jako orná půda a trvalý travní porost, částečně jako ostatní plocha a komunikace, a jsou součástí zemědělského půdního fondu.

Přehled jednotlivých parcel:
parc. č. 308/4 – 4 909 m²
parc. č. 409/2 – 1 250 m²
parc. č. 969/36 – 18 m²
parc. č. 1006/9 – 2 379 m²
parc. č. 1006/27 – 391 m²
parc. č. 1109/25 – 3 799 m²
parc. č. 1405 – 1 273 m²
parc. č. 1407 – 2 252 m²
parc. č. 1606/10 – 42 m²
parc. č. 1607/10 – 72 m²

Celková výměra pozemků činí: 16 385 m²

Pozemky jsou vhodné zejména pro zemědělské využití nebo jako dlouhodobá investice. Na nemovitostech neváznou žádná věcná práva ani omezení vlastnického práva, vyjma pachtovní smlouvy.

Kupní cena: 700 000 Kč + provize realitní kanceláře

Pro více informací či sjednání prohlídky nás neváhejte kontaktovat.

Cena
760 500 Kč /za nemovitost Spočítat hypotéku
Poznámka k ceně
provizi hradí kupující
Aktualizováno
13. 4. 2026
Adresa
Vlkov
ID
84075
Vlastnictví
Osobní
Plocha pozemku
16385 m2

Máte zájem o tuto nemovitost?

Broker Consulting, a.s.

Jiráskovo náměstí 2684/2, Plzeň, Východní Předměstí

Chystáte se prodat nemovitost?
Pomůžeme Vám!
Tímto, v souladu s nařízením Evropského parlamentu a Rady (EU) 2016/679, v platném znění, prohlašuji, že mi je alespoň 16 let a uděluji tak svůj souhlas se zpracováním zadaných údajů (jméno, telefon, e-mail, ip adresa) společnosti B3 Technology, s.r.o., IČ: 07330600, se sídlem Novostavby 126/23, 435 11 Lom (správce dat), za účelem předání dotazu z tohoto formuláře Vámi vybranému inzerentovi a zpětného kontaktování mé osoby. Osobní údaje bude správce zpracovávat manuálně i automaticky přímo prostřednictvím svých zaměstnanců. Informace předané tímto formulářem budou uloženy v databázi správce maximálně po dobu 10 let. Odvolání souhlasu s uložením a zpracováním poskytnutých dat lze e-mailem na info@realitymat.cz. V případě podezření na neoprávněné použití Vámi poskytnutých údajů máte právo předat podnět k šetření Úřadu pro ochranu osobních údajů. Více informací
Chystáte se prodat nemovitost?
Pomůžeme Vám!

Přihlášení k odběru

Nenechte si ujít nejnovější nabídky prodeje polí v Vlkově (okr. Žďár nad Sázavou).

Podobné nabídky