Prodej lesa, Maršovice - Zderadice, 23269 m2

Maršovice, Zderadice


759 000 Kč /za nemovitost
HYPOTÉKA od 3 392 Kč /měs.

(32,62 Kč/m2, včetně DPH, včetně poplatků, včetně provize, včetně právního servisu)


Regionální dodavatelé v Maršovicích

Popis

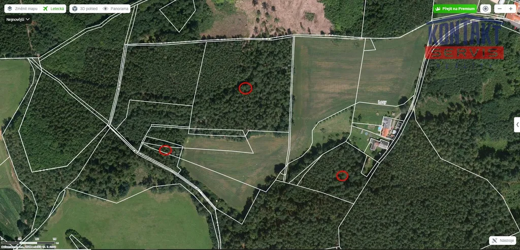
Nabízíme k prodeji lesní pozemky o celkové výměře 23.269 m² situované západně od obce Vráče. Ačkoli se lesy fyzicky nacházejí v těsném sousedství obce Vráče, administrativně spadají do katastrálního území Zderadice – což je důležitá informace při případném dohledávání pozemků v katastru nemovitostí. Jednou z největších předností této nabídky je výborná přístupnost pozemků. Většina lesní plochy je pohodlně dostupná po lesní cestě, která je ve vlastnictví městyse Maršovice. Nabízené pozemky jsou rozděleny do tří samostatných funkčních celků, přičemž všechny jsou v současnosti ve vlastnictví jediného vlastníka. Lesní porosty na nabízených pozemcích jsou ve velmi dobrém stavu a skýtají pozoruhodnou pestrost z hlediska věkové struktury dřevin. Dominantní dřevinou jsou borovice, doplněné příměsí smrku a buku. Obzvláště cennou vlastností tohoto lesa je jeho výjimečně různorodá věková skladba. Na pozemcích se nacházejí porosty v těchto věkových skupinách – 38, 47, 64, 90, 100, 110, 130 a 138 let. Celková dřevní zásoba činí 722 m³ dřeva, cca 381 m³ vedeno jako mýtní zásoba (borovice) – jedná se o stromy, které dosáhly těžební zralosti a jsou připraveny k mýtní těžbě, cca 63 m³ vedeno jako předmýtní zásoba (smrk) – smrkové porosty jsou v předmýtním věku, tedy v období, kdy probíhají výchovné zásahy (prořezávky, probírky) a les se připravuje na budoucí mýtní těžbu. Vlastnictví lesa představuje jednu z nejstabilnějších a nejprověřenějších forem dlouhodobého uchování i zhodnocování majetku. Zavolejte nám nebo napište ještě dnes, rádi vám zodpovíme veškeré dotazy, poskytneme podrobnější informace o stavu porostů a pomůžeme vám s celým procesem koupě.

Cena
759 000 Kč /za nemovitost Spočítat hypotéku
Poznámka k ceně
32,62 Kč/m2, včetně DPH, včetně poplatků, včetně provize, včetně právního servisu
Aktualizováno
13. 4. 2026
Adresa
Maršovice, Zderadice
ID
VŠ-8086
Plocha pozemku
23269 m2

Máte zájem o tuto nemovitost?

Tímto, v souladu s nařízením Evropského parlamentu a Rady (EU) 2016/679, v platném znění, prohlašuji, že mi je alespoň 16 let a uděluji tak svůj souhlas se zpracováním zadaných údajů (jméno, telefon, e-mail, ip adresa) společnosti B3 Technology, s.r.o., IČ: 07330600, se sídlem Novostavby 126/23, 435 11 Lom (správce dat), za účelem předání dotazu z tohoto formuláře Vámi vybranému inzerentovi a zpětného kontaktování mé osoby. Osobní údaje bude správce zpracovávat manuálně i automaticky přímo prostřednictvím svých zaměstnanců. Informace předané tímto formulářem budou uloženy v databázi správce maximálně po dobu 10 let. Odvolání souhlasu s uložením a zpracováním poskytnutých dat lze e-mailem na info@realitymat.cz. V případě podezření na neoprávněné použití Vámi poskytnutých údajů máte právo předat podnět k šetření Úřadu pro ochranu osobních údajů. Více informací
Chystáte se prodat nemovitost?
Pomůžeme Vám!

Kontakt

Veronika Šedivá

Veronika Šedivá

Přihlášení k odběru

Nenechte si ujít nejnovější nabídky prodeje lesů v Maršovicích (okr. Benešov).

Podobné nabídky