Prodej louky, Lipová, 3651 m2 (ID: 2112041)

Lipová, Seč


120 400 Kč /za nemovitost
HYPOTÉKA od 538 Kč /měs.

(neplatíte provizi)


Regionální dodavatelé v Lipové

Popis

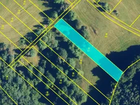
Nabízíme k prodeji udržovaný zemědělský pozemek o výměře 3 651 m², nacházející se v katastrálním území Seč u Lipové, vedenou na LV 99, parc. č. 685 jako trvalý travní porost.

Pozemek leží na okraji lesa, což mu dodává soukromí a přírodní charakter. Přístup je zajištěn po obecní komunikaci, vedené jako ostatní plocha – velmi dobrá dostupnost i technická přístupnost. Na pozemku se hospodaří, je pravidelně udržovaný.

Poznámka: V této lokalitě nabízíme také další dva pozemky (3869 m² a 1098 m²) – možnost rozšíření výměry.

Výhody lokality – Seč u Lipové
• Okraj lesa – krásné, klidné prostředí , ideální místo pro přírodně založené investory
• Klidná venkovská oblast s nízkou zástavbou, ideální pro dlouhodobou investici do zemědělské půdy
• Stabilní a tradiční zemědělská oblast
• Dobrá dostupnost – obec Lipová má strategickou polohu mezi městy Prostějov – Konice – Litovel
• V okolí je čistá příroda, louky, lesy a cyklotrasy, atraktivní místo i pro rekreaci a relaxaci
• Obec Lipová je aktivní a pečuje o infrastrukturu – opravované komunikace, občanská vybavenost, dobré spojení
• Stabilní poptávka po půdě v regionu = bezpečná investice

Vhodná příležitost pro investici do půdy, hospodaření nebo rozšíření stávajících zemědělských ploch, dlouhodobé uložení kapitálu, milovníky přírody – výjimečné místo u lesa s dvěma prameny a blízkým potokem.

Výhody nákupu u nás
• Přímí majitelé – bez provize realitce
• Rychlý, spolehlivý a transparentní prodej
• Pomoc s převodem, katastrálními podklady i smluvní dokumentací

Cena
120 400 Kč /za nemovitost Spočítat hypotéku
Poznámka k ceně
neplatíte provizi
Aktualizováno
24. 3. 2026
Adresa
Lipová, Seč
ID
00314
Plocha pozemku
3651 m2

Máte zájem o tuto nemovitost?

Tímto, v souladu s nařízením Evropského parlamentu a Rady (EU) 2016/679, v platném znění, prohlašuji, že mi je alespoň 16 let a uděluji tak svůj souhlas se zpracováním zadaných údajů (jméno, telefon, e-mail, ip adresa) společnosti B3 Technology, s.r.o., IČ: 07330600, se sídlem Novostavby 126/23, 435 11 Lom (správce dat), za účelem předání dotazu z tohoto formuláře Vámi vybranému inzerentovi a zpětného kontaktování mé osoby. Osobní údaje bude správce zpracovávat manuálně i automaticky přímo prostřednictvím svých zaměstnanců. Informace předané tímto formulářem budou uloženy v databázi správce maximálně po dobu 10 let. Odvolání souhlasu s uložením a zpracováním poskytnutých dat lze e-mailem na info@realitymat.cz. V případě podezření na neoprávněné použití Vámi poskytnutých údajů máte právo předat podnět k šetření Úřadu pro ochranu osobních údajů. Více informací
Chystáte se prodat nemovitost?
Pomůžeme Vám!

Kontakt

Karel Fiala

Karel Fiala

Přihlášení k odběru

Nenechte si ujít nejnovější nabídky prodeje louk v Lipové (okr. Prostějov).

Podobné nabídky