Prodej komerčního pozemku, Karviná - Lázně Darkov, Svornosti, 8447 m2

Svornosti, Karviná, Lázně Darkov


8 176 696 Kč
HYPOTÉKA od 36 545 Kč /měs.

(včetně DPH, včetně poplatků, včetně právního servisu)


Regionální dodavatelé v Karviné

Pojištění a finance

Popis

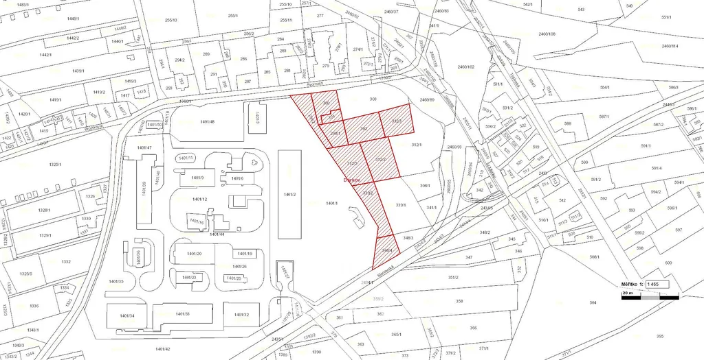
Prodej souboru pozemků v atraktivní lokalitě Darkov u Karvinského moře

Nabízíme k prodeji soubor pozemků o celkové výměře 8 447 m², nacházejících se v katastrálním území Darkov, statutární město Karviná. Konkrétně se jedná o parcely č. 298/1, 298/2, 300, 301, 312/2, 312/3, 312/5, 339/2, 348/4.
Pozemky jsou přístupné z ulice Svornosti a v současnosti jsou porostlé náletovými dřevinami.
Dle platného územního plánu jsou vedeny jako plochy občanského vybavení komerčního, což nabízí široké spektrum využití.
Pozemky jsou vhodné zejména pro výstavbu:
- stravovacího zařízení
- ubytovacího zařízení
- sportovního a rekreačního zázemí
- drobné nerušící výroby
- parkovacích a odstavných ploch
Pozemky jsou v současné době propachtovány k zemědělskému obhospodařování (orba, sečení). Pachtovní smlouva je uzavřena na dobu neurčitou, při prodeji ji lze ukončit s tříměsíční výpovědní lhůtou.
Velkou předností této nabídky je výjimečná poloha v bezprostřední blízkosti Karvinské moře – oblíbené rekreační oblasti s rostoucím turistickým potenciálem. Lokalita nabízí klidné prostředí plné zeleně, ideální pro volnočasové aktivity, a zároveň velmi dobrou dostupnost centra města i veškeré občanské vybavenosti.
Tato nabídka představuje zajímavou investiční příležitost s dlouhodobým potenciálem zhodnocení.

Cena
8 176 696 Kč Spočítat hypotéku
Poznámka k ceně
včetně DPH, včetně poplatků, včetně právního servisu
Aktualizováno
21. 3. 2026
Adresa
Svornosti, Karviná, Lázně Darkov
ID
01289
Plocha pozemku
8447 m2

Máte zájem o tuto nemovitost?

Tímto, v souladu s nařízením Evropského parlamentu a Rady (EU) 2016/679, v platném znění, prohlašuji, že mi je alespoň 16 let a uděluji tak svůj souhlas se zpracováním zadaných údajů (jméno, telefon, e-mail, ip adresa) společnosti B3 Technology, s.r.o., IČ: 07330600, se sídlem Novostavby 126/23, 435 11 Lom (správce dat), za účelem předání dotazu z tohoto formuláře Vámi vybranému inzerentovi a zpětného kontaktování mé osoby. Osobní údaje bude správce zpracovávat manuálně i automaticky přímo prostřednictvím svých zaměstnanců. Informace předané tímto formulářem budou uloženy v databázi správce maximálně po dobu 10 let. Odvolání souhlasu s uložením a zpracováním poskytnutých dat lze e-mailem na info@realitymat.cz. V případě podezření na neoprávněné použití Vámi poskytnutých údajů máte právo předat podnět k šetření Úřadu pro ochranu osobních údajů. Více informací
Chystáte se prodat nemovitost?
Pomůžeme Vám!
Theleadway banner

Kontakt

Alena Marušáková

Alena Marušáková

Přihlášení k odběru

Nenechte si ujít nejnovější nabídky prodeje komerčních pozemků v Karviné.

Podobné nabídky