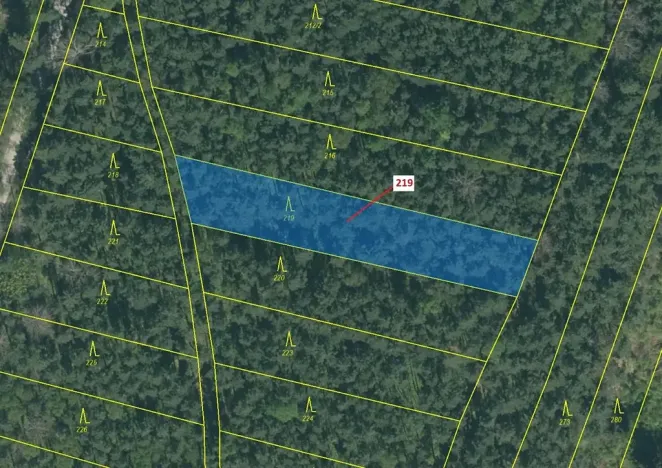
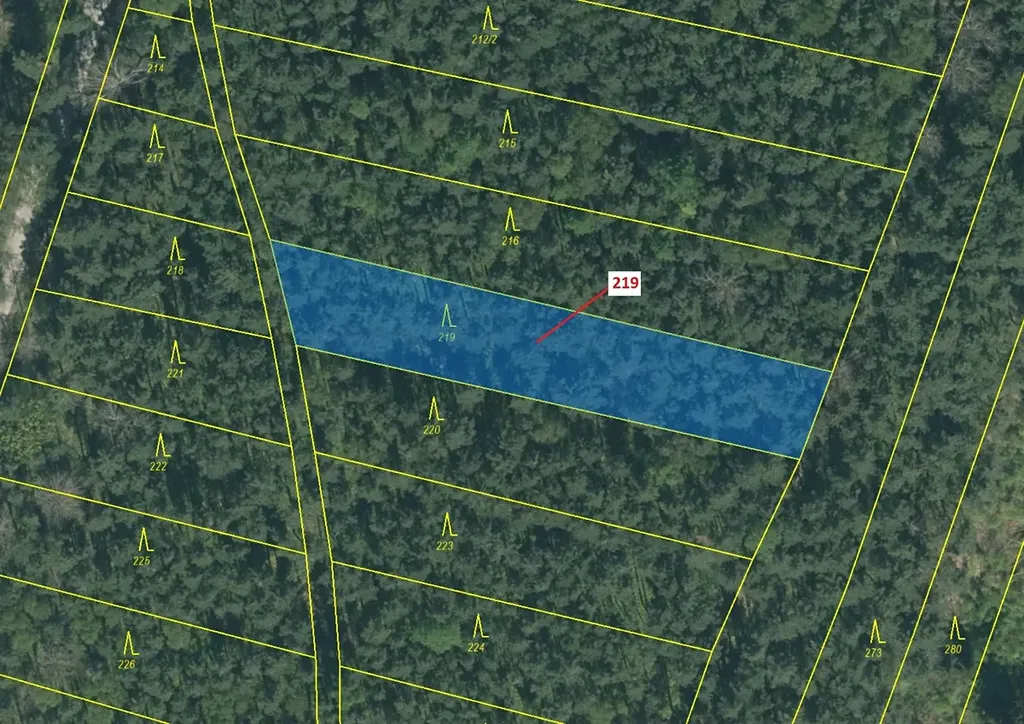
Dražba lesa, Vesce, 1673 m2 (ID: 2102791)

Vesce


28 000 Kč /za nemovitost
Získejte výhodnou HYPOTÉKU
Regionální dodavatelé v Vesci

Výkup a prodej starého nábytku

Popis

Lesní pozemek o výměře 1673 m2, parcelní číslo 219, podíl 1/1, katastrální území Mokrá u Soběslavi, obec Vesce, obec s rozšířenou působností Soběslav, okres Tábor, Jihočeský kraj. Po těžbě.

Cena
28 000 Kč /za nemovitost
Aktualizováno
14. 3. 2026
Adresa
Vesce
ID
1956 D 003319 / 26 - 4
Plocha pozemku
1673 m2

Máte zájem o tuto nemovitost?

Tímto, v souladu s nařízením Evropského parlamentu a Rady (EU) 2016/679, v platném znění, prohlašuji, že mi je alespoň 16 let a uděluji tak svůj souhlas se zpracováním zadaných údajů (jméno, telefon, e-mail, ip adresa) společnosti B3 Technology, s.r.o., IČ: 07330600, se sídlem Novostavby 126/23, 435 11 Lom (správce dat), za účelem předání dotazu z tohoto formuláře Vámi vybranému inzerentovi a zpětného kontaktování mé osoby. Osobní údaje bude správce zpracovávat manuálně i automaticky přímo prostřednictvím svých zaměstnanců. Informace předané tímto formulářem budou uloženy v databázi správce maximálně po dobu 10 let. Odvolání souhlasu s uložením a zpracováním poskytnutých dat lze e-mailem na info@realitymat.cz. V případě podezření na neoprávněné použití Vámi poskytnutých údajů máte právo předat podnět k šetření Úřadu pro ochranu osobních údajů. Více informací
Chystáte se prodat nemovitost?
Pomůžeme Vám!

Kontakt

exdrazby.cz infolinka

exdrazby.cz infolinka

Přihlášení k odběru

Nenechte si ujít nejnovější nabídky dražby lesů v Vesci.

Podobné nabídky