Dražba lesa, Hosty, 1630 m2 (ID: 2089798)

Hosty


27 000 Kč /za nemovitost
Získejte výhodnou HYPOTÉKU
Regionální dodavatelé v Hostech

Výkup a prodej starého nábytku

Popis

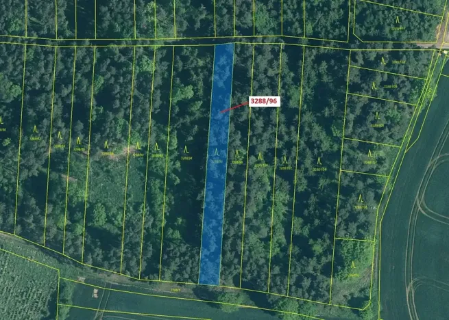
Lesní pozemek o výměře 1630 m2, parcelní číslo 3288/96, podíl 1/1, katastrální území Hosty, obec Hosty, obec s rozšířenou působností Týn nad Vltavou, okres České Budějovice, Jihočeský kraj. Po těžbě.

Cena
27 000 Kč /za nemovitost
Aktualizováno
28. 2. 2026
Adresa
Hosty
ID
1956 D 003301 / 26 - 4
Plocha pozemku
1630 m2

Máte zájem o tuto nemovitost?

Tímto, v souladu s nařízením Evropského parlamentu a Rady (EU) 2016/679, v platném znění, prohlašuji, že mi je alespoň 16 let a uděluji tak svůj souhlas se zpracováním zadaných údajů (jméno, telefon, e-mail, ip adresa) společnosti B3 Technology, s.r.o., IČ: 07330600, se sídlem Novostavby 126/23, 435 11 Lom (správce dat), za účelem předání dotazu z tohoto formuláře Vámi vybranému inzerentovi a zpětného kontaktování mé osoby. Osobní údaje bude správce zpracovávat manuálně i automaticky přímo prostřednictvím svých zaměstnanců. Informace předané tímto formulářem budou uloženy v databázi správce maximálně po dobu 10 let. Odvolání souhlasu s uložením a zpracováním poskytnutých dat lze e-mailem na info@realitymat.cz. V případě podezření na neoprávněné použití Vámi poskytnutých údajů máte právo předat podnět k šetření Úřadu pro ochranu osobních údajů. Více informací
Chystáte se prodat nemovitost?
Pomůžeme Vám!

Kontakt

exdrazby.cz infolinka

exdrazby.cz infolinka

Přihlášení k odběru

Nenechte si ujít nejnovější nabídky dražby lesů v Hostech.

Podobné nabídky