Dražba pozemku, Praha, 393 m2 (ID: 2038511)

Praha


150 000 Kč /za nemovitost
Získejte výhodnou HYPOTÉKU
Regionální dodavatelé v Praze

Stěhovací služby

Výkup a prodej starého nábytku

Popis

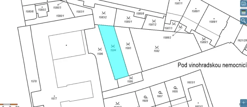
Předmětem dražby je ideální podíl ½ pozemku o výměře 393 m2 v k.ú. Vršovice,
obec: Praha. Pozemek p.č. 1594, o výměře 393 m2, ostatní plocha, zeleň. Pozemek je neoplocený, volně
přístupný a s okolními pozemky plní funkci veřejné zeleně. Nezastavěný prostor vnitrobloku vč.
oceňovaného pozemku je využíván jako klidová zóna se zelení pro obyvatele přilehlých obytných domů.
Povrch pozemku je zatravněný udržovaný s porostem několika listnatých stromů.

Cena
150 000 Kč /za nemovitost
Aktualizováno
1. 1. 2026
Adresa
Praha
ID
193 DD 250/25-III
Lokalita objektu
Centrum obce
Plocha pozemku
393 m2

Máte zájem o tuto nemovitost?

Tímto, v souladu s nařízením Evropského parlamentu a Rady (EU) 2016/679, v platném znění, prohlašuji, že mi je alespoň 16 let a uděluji tak svůj souhlas se zpracováním zadaných údajů (jméno, telefon, e-mail, ip adresa) společnosti B3 Technology, s.r.o., IČ: 07330600, se sídlem Novostavby 126/23, 435 11 Lom (správce dat), za účelem předání dotazu z tohoto formuláře Vámi vybranému inzerentovi a zpětného kontaktování mé osoby. Osobní údaje bude správce zpracovávat manuálně i automaticky přímo prostřednictvím svých zaměstnanců. Informace předané tímto formulářem budou uloženy v databázi správce maximálně po dobu 10 let. Odvolání souhlasu s uložením a zpracováním poskytnutých dat lze e-mailem na info@realitymat.cz. V případě podezření na neoprávněné použití Vámi poskytnutých údajů máte právo předat podnět k šetření Úřadu pro ochranu osobních údajů. Více informací
Chystáte se prodat nemovitost?
Pomůžeme Vám!

Kontakt

exdrazby.cz infolinka

exdrazby.cz infolinka

Přihlášení k odběru

Nenechte si ujít nejnovější nabídky dražby pozemků (ostatní) v Praze.

Podobné nabídky