Dražba lesa, Jílovice, 13375 m2 (ID: 2032909)

Jílovice


268 000 Kč /za nemovitost
Získejte výhodnou HYPOTÉKU
Regionální dodavatelé v Jílovicích

Výkup a prodej starého nábytku

Popis

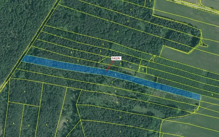
Lesní pozemek o výměře 13 375 m2, parcelní číslo 542/6, podíl 1/1, katastrální území Jílovice u Trhových Svinů, obec Jílovice, obec s rozšířenou působností Trhové Sviny, okres České Budějovice, Jihočeský kraj. Částečně po těžbě.

Cena
268 000 Kč /za nemovitost
Aktualizováno
20. 12. 2025
Adresa
Jílovice
ID
1956 D 003052 / 25 - 3
Plocha pozemku
13375 m2

Máte zájem o tuto nemovitost?

Tímto, v souladu s nařízením Evropského parlamentu a Rady (EU) 2016/679, v platném znění, prohlašuji, že mi je alespoň 16 let a uděluji tak svůj souhlas se zpracováním zadaných údajů (jméno, telefon, e-mail, ip adresa) společnosti B3 Technology, s.r.o., IČ: 07330600, se sídlem Novostavby 126/23, 435 11 Lom (správce dat), za účelem předání dotazu z tohoto formuláře Vámi vybranému inzerentovi a zpětného kontaktování mé osoby. Osobní údaje bude správce zpracovávat manuálně i automaticky přímo prostřednictvím svých zaměstnanců. Informace předané tímto formulářem budou uloženy v databázi správce maximálně po dobu 10 let. Odvolání souhlasu s uložením a zpracováním poskytnutých dat lze e-mailem na info@realitymat.cz. V případě podezření na neoprávněné použití Vámi poskytnutých údajů máte právo předat podnět k šetření Úřadu pro ochranu osobních údajů. Více informací
Chystáte se prodat nemovitost?
Pomůžeme Vám!

Kontakt

exdrazby.cz infolinka

exdrazby.cz infolinka

Přihlášení k odběru

Nenechte si ujít nejnovější nabídky dražby lesů v Jílovicích (okr. České Budějovice).

Podobné nabídky