Pronájem obchodního prostoru, Praha, 116 m2

Praha 8


25 000 Kč /za měsíc
Získejte výhodnou HYPOTÉKU

(+ záloha na vodné a stočné + převádíme plyn a elektřinu na nájemce)


Regionální dodavatelé v Praze 8

Stěhovací služby

Výkup a prodej starého nábytku

Popis

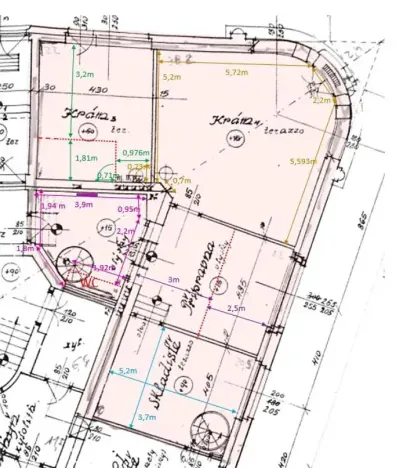
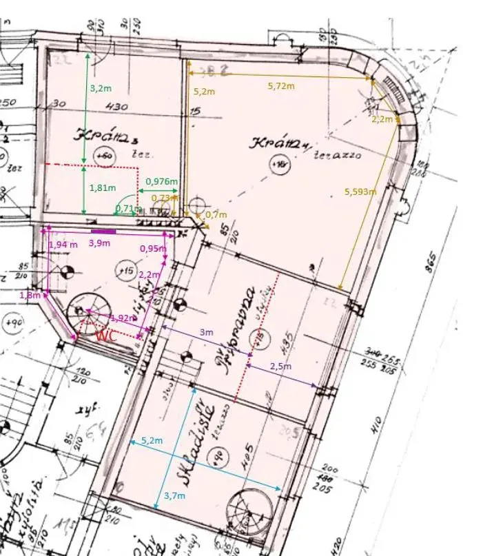
Dovolujeme si Vám nabídnout pod výhradním zastoupení obchodní prostory umístěné v přízemí
reprezentativního činžovního domu z 30 let velikosti 116 m2 umístěné v ul. Primátorská, pod nemocnicí
Bulovka. Předmětné prostory jsou umístěné v nárožní části domu, I. a II. vstup je zajištěn z průčelí domu
ul. Primátorská tedy s odděleným vstupem pro klienty a solo vstupem pro zásobování, III. vstup je potom
učen pro personál přes společné vstupní dveře domu. Prostory jsou aktuálně využívané v podobě
kamenné prodejny. Půdorys prostor naleznete u fotografií. Není přípustný pronájem k účelům jako
herna, nostop, restaurace, hospoda, večerka, atp. Předmětné prostory jsou členěné do dvou sekcí, I. sekce obchodní
se vstupem z ulice Primátorská rozdělená do dvou místností, každá místnost s odděleným vstupem, II.
sekce skladovací, průchozí z obchodní sekcí. Technický stav: vytápení formou plynového kotle
Junkers, rozvody elektřiny po rekonstrukci, podlahy v podobě betonové stěrky, okna špaletová, stoupačky
vyměněné, sociální zázemí viz. půdorys. Internet přes optiku Vodafone. Náklady Tram zastávka
Vosmíkových, směr metro linka C - Kobylisy popř. metro linka B - Palmovka. Náklady 1500,- Kč zálohy za
vodné a stočné, popelnice, lze upravovat podle konkrétního provozu. Dále náklady za elektřinu činí cca
1500,- Kč, dodávka plynu cca 3000,- Kč. V Blízkosti park na Korábě, sportovní centrum. Prohlídky jsou možné po předchozí dohodě.

Cena
25 000 Kč /za měsíc
Poznámka k ceně
+ záloha na vodné a stočné + převádíme plyn a elektřinu na nájemce
Náklady na bydlení
30000
Aktualizováno
18. 12. 2025
Adresa
Praha 8
ID
02122025
Stavba
Cihlová
Stav objektu
Dobrý
Patro
1.
Vybaveno
Ne
Lokalita objektu
Klidná část obce
Užitná plocha
116 m2
Elektřina
230V
Plyn
Plynovod
Odpad
Veřejná kanalizace
Komunikace
Dlážděná
Telekomunikace
Internet
Doprava
Silnice, MHD
Voda
Vodovod
Topné těleso
Radiátory
Zdroj topení
Plynový kondenzační kotel
Zdroj teplé vody
Plynový kondenzační kotel
Bezbarierový přístup

Máte zájem o tuto nemovitost?

Tímto, v souladu s nařízením Evropského parlamentu a Rady (EU) 2016/679, v platném znění, prohlašuji, že mi je alespoň 16 let a uděluji tak svůj souhlas se zpracováním zadaných údajů (jméno, telefon, e-mail, ip adresa) společnosti B3 Technology, s.r.o., IČ: 07330600, se sídlem Novostavby 126/23, 435 11 Lom (správce dat), za účelem předání dotazu z tohoto formuláře Vámi vybranému inzerentovi a zpětného kontaktování mé osoby. Osobní údaje bude správce zpracovávat manuálně i automaticky přímo prostřednictvím svých zaměstnanců. Informace předané tímto formulářem budou uloženy v databázi správce maximálně po dobu 10 let. Odvolání souhlasu s uložením a zpracováním poskytnutých dat lze e-mailem na info@realitymat.cz. V případě podezření na neoprávněné použití Vámi poskytnutých údajů máte právo předat podnět k šetření Úřadu pro ochranu osobních údajů. Více informací
Chystáte se prodat nemovitost?
Pomůžeme Vám!

Kontakt

Robert Sommer

Robert Sommer

Přihlášení k odběru

Nenechte si ujít nejnovější nabídky pronájmu obchodních prostor v Praze 8.

Podobné nabídky