Prodej pole, Strančice, 21812 m2 (ID: 2028544)

Strančice


20 721 400 Kč /za nemovitost
HYPOTÉKA od 92 612 Kč /měs.
Regionální dodavatelé v Strančicích

Popis

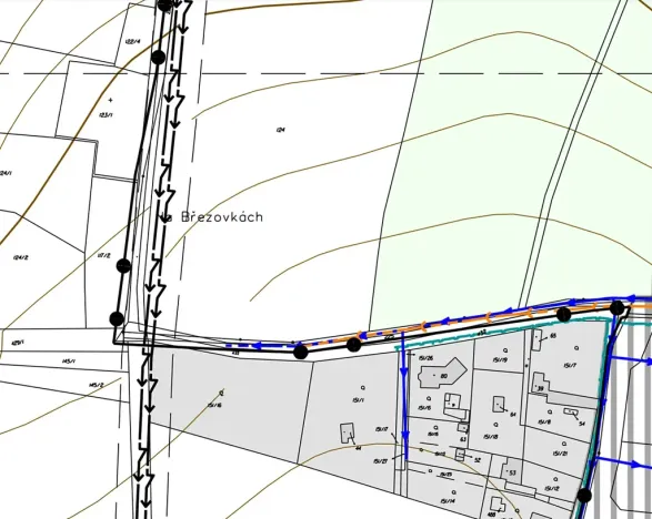
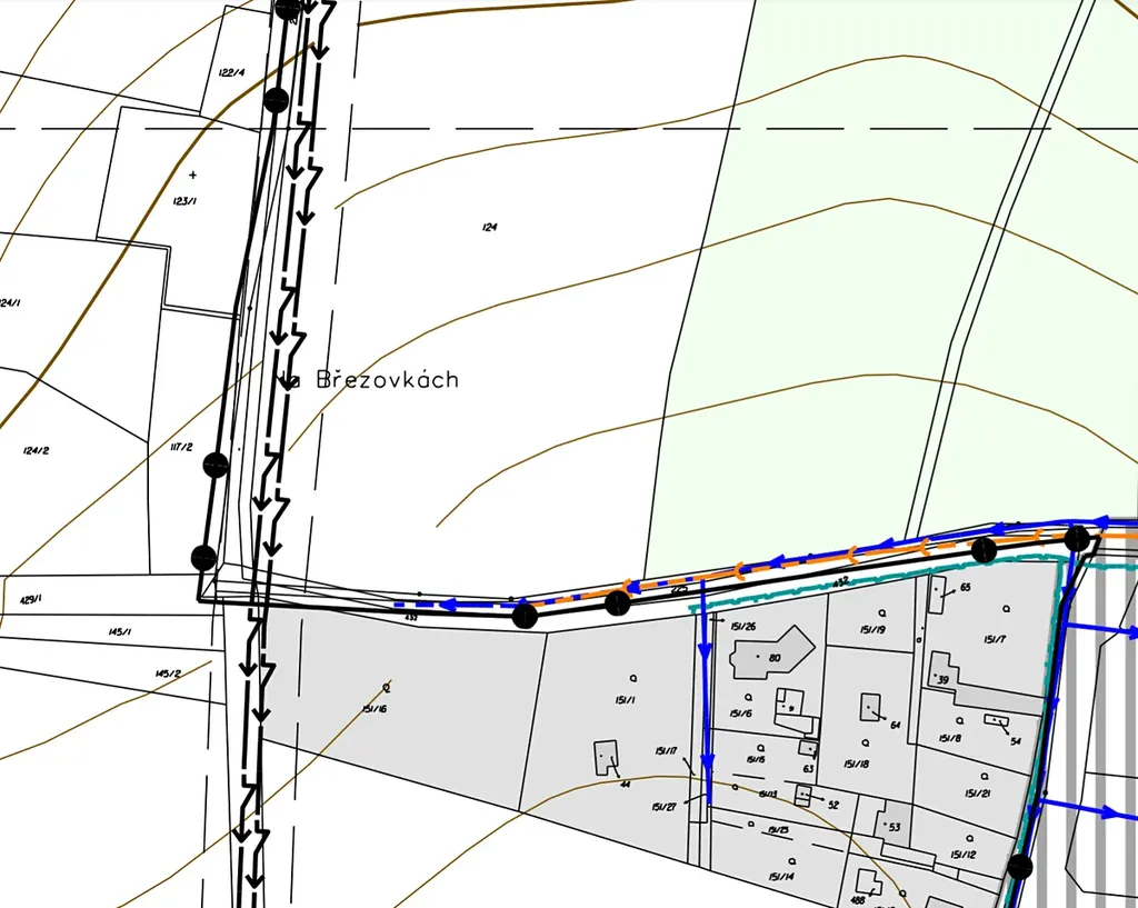
Pozemek k prodeji v katastrálním území Strančice.
Pozemek o celkové výměře 21 812 m², vedený na LV 1155, parcelní číslo: 124.
Celková cena za pozemek činí 20 721 400 Kč (950 Kč/m²) a dále částka za službu realitky.
Pozemek se nachází na kraji obce, v blízkosti nájezdu na dálnici D1, a je přístupný ze dvou obecních asfaltových cest. Nad krajem pozemku vede VVN.
Na pozemku je pachtovní smlouva s Farma Janda s.r.o. na dobu neurčitou, s výpovědní lhůtou 1 rok, ve výši 4 000 Kč/ha.
V katastru probíhá změna územního plánu a pozemek bude nově veden jako plocha občanské vybavenosti.

Cena
20 721 400 Kč /za nemovitost Spočítat hypotéku
Aktualizováno
15. 12. 2025
Adresa
Strančice
ID
7952
Lokalita objektu
Okraj obce
Plocha pozemku
21812 m2

Máte zájem o tuto nemovitost?

Tímto, v souladu s nařízením Evropského parlamentu a Rady (EU) 2016/679, v platném znění, prohlašuji, že mi je alespoň 16 let a uděluji tak svůj souhlas se zpracováním zadaných údajů (jméno, telefon, e-mail, ip adresa) společnosti B3 Technology, s.r.o., IČ: 07330600, se sídlem Novostavby 126/23, 435 11 Lom (správce dat), za účelem předání dotazu z tohoto formuláře Vámi vybranému inzerentovi a zpětného kontaktování mé osoby. Osobní údaje bude správce zpracovávat manuálně i automaticky přímo prostřednictvím svých zaměstnanců. Informace předané tímto formulářem budou uloženy v databázi správce maximálně po dobu 10 let. Odvolání souhlasu s uložením a zpracováním poskytnutých dat lze e-mailem na info@realitymat.cz. V případě podezření na neoprávněné použití Vámi poskytnutých údajů máte právo předat podnět k šetření Úřadu pro ochranu osobních údajů. Více informací
Chystáte se prodat nemovitost?
Pomůžeme Vám!

Kontakt

Matěj Jehlička

Matěj Jehlička

Přihlášení k odběru

Nenechte si ujít nejnovější nabídky prodeje polí v Strančicích.

Podobné nabídky