Prodej bytu 3+kk, Primošten, Chorvatsko, 66 m2

Primošten


267 000 € /za nemovitost

Regionální dodavatelé

Popis

Na prodej nový apartmán s velkou terasou a panoramatickým výhledem na malebné město Primošten, Chorvatsko

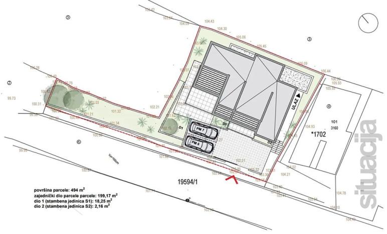
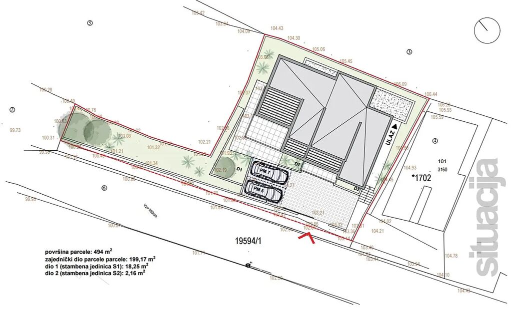
Dovolujeme si Vám nabídnout na prodej nový apartmán s velkou terasou na klidném a vyvýšeném místě nad malebným městem Primošten, s krásným panoramatickým výhledem na moře, v Šibenické oblasti v Chorvatsku.

Moderní apartmán S4 o ploše 66,64 m2 se nachází ve 2. podlaží novostavby, která se staví dle nejvyšších standardů moderního bydlení a jejíž dokončení je plánováno na léto 2026. Apartmán sestává ze vstupní chodby, koupelny, dvou pohodlných ložnic a obývacího pokoje s kuchyní a jídelnou s přístupem na prostornou terasu o rozloze 12,34 m2. Apartmán bude mít podlahové vytápění, vysoce kvalitní keramické podlahové krytiny, prvotřídní parkety, klimatizaci, elektrické rolety a moskytiéry. K apartmánu náleží garážové parkovací stání o rozloze 12,50 m2 s možnosti nabíjení elektrických nebo hybridních vozidel (nabíjecí stanice je již nainstalována).

Budova je napojená na vodovodní řád a vzdálenost k nejbližší pláži je přibližně 1 250 m a do centra Primoštenu 1 800 m.

Pro více informací nás neváhejte kontaktovat. Rádi Vám poskytneme kompletní servis spojený s koupí a přepisem nemovitosti, tak abyste mohli bez problému zakoupit.

Cena
267 000 € /za nemovitost
Aktualizováno
29. 11. 2025
Adresa
Primošten
ID
CHLM4058-S4
Stavba
Smíšená
Stav objektu
Ve výstavbě
Patro
2. z 4
Vlastnictví
Osobní
Užitná plocha
66 m2
Podlahová plocha
66 m2
Třída energetické náročnosti
G - Mimořádně nehospodárná
Elektřina
230V
Voda
Vodovod
Garáž
Terasa
Parkování

Máte zájem o tuto nemovitost?

Tímto, v souladu s nařízením Evropského parlamentu a Rady (EU) 2016/679, v platném znění, prohlašuji, že mi je alespoň 16 let a uděluji tak svůj souhlas se zpracováním zadaných údajů (jméno, telefon, e-mail, ip adresa) společnosti B3 Technology, s.r.o., IČ: 07330600, se sídlem Novostavby 126/23, 435 11 Lom (správce dat), za účelem předání dotazu z tohoto formuláře Vámi vybranému inzerentovi a zpětného kontaktování mé osoby. Osobní údaje bude správce zpracovávat manuálně i automaticky přímo prostřednictvím svých zaměstnanců. Informace předané tímto formulářem budou uloženy v databázi správce maximálně po dobu 10 let. Odvolání souhlasu s uložením a zpracováním poskytnutých dat lze e-mailem na info@realitymat.cz. V případě podezření na neoprávněné použití Vámi poskytnutých údajů máte právo předat podnět k šetření Úřadu pro ochranu osobních údajů. Více informací
Chystáte se prodat nemovitost?
Pomůžeme Vám!
Theleadway banner

Kontakt

Violeta Borisova

Violeta Borisova

Přihlášení k odběru

Nenechte si ujít nejnovější nabídky prodeje bytů 3+kk.

Podobné nabídky