Prodej pozemku pro bydlení, Kostelec, 1097 m2

Kostelec


2 100 000 Kč /za nemovitost
HYPOTÉKA od 9 386 Kč /měs.

(včetně provize RK)


Regionální dodavatelé v Kostelci

Popis

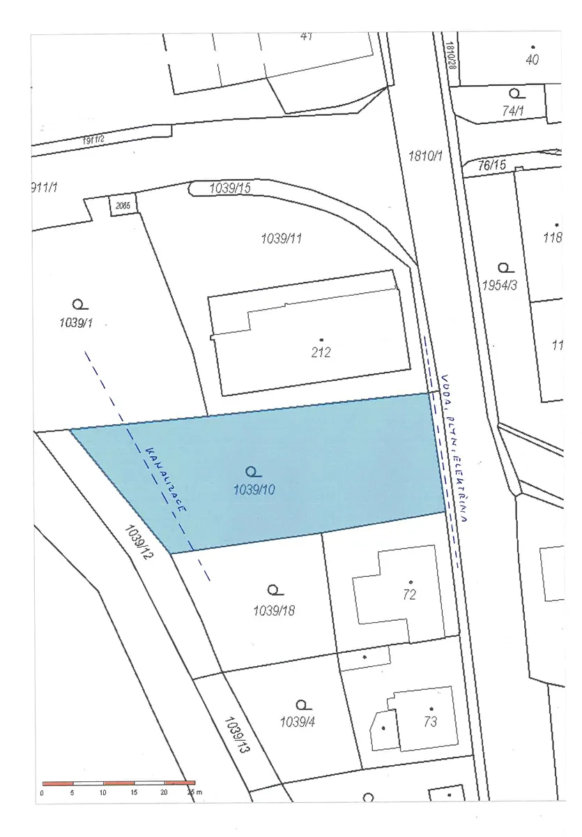
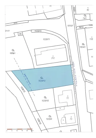
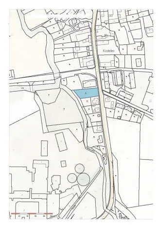
261 stavební pozemek k výstavbě rodinného domu v centru obce Kostelec ( okres Jihlava ). Jedná se o pozemek o výměře 1.097 m2 dle platného územního plánu vedený k výstavbě rodinného domu. Sítě: na pozemku – obecní kanalizace, u pozemku je elektřina 230/400V, plyn a obecní vodovod. Ihned volný. – 2.100.000,- Kč včetně provize

Cena
2 100 000 Kč /za nemovitost Spočítat hypotéku
Poznámka k ceně
včetně provize RK
Aktualizováno
1. 11. 2025
Adresa
Kostelec
ID
PZ 0261
Plocha pozemku
1097 m2

Máte zájem o tuto nemovitost?

Tímto, v souladu s nařízením Evropského parlamentu a Rady (EU) 2016/679, v platném znění, prohlašuji, že mi je alespoň 16 let a uděluji tak svůj souhlas se zpracováním zadaných údajů (jméno, telefon, e-mail, ip adresa) společnosti B3 Technology, s.r.o., IČ: 07330600, se sídlem Novostavby 126/23, 435 11 Lom (správce dat), za účelem předání dotazu z tohoto formuláře Vámi vybranému inzerentovi a zpětného kontaktování mé osoby. Osobní údaje bude správce zpracovávat manuálně i automaticky přímo prostřednictvím svých zaměstnanců. Informace předané tímto formulářem budou uloženy v databázi správce maximálně po dobu 10 let. Odvolání souhlasu s uložením a zpracováním poskytnutých dat lze e-mailem na info@realitymat.cz. V případě podezření na neoprávněné použití Vámi poskytnutých údajů máte právo předat podnět k šetření Úřadu pro ochranu osobních údajů. Více informací
Chystáte se prodat nemovitost?
Pomůžeme Vám!

Kontakt

Jiří Novotný

Jiří Novotný

Přihlášení k odběru

Nenechte si ujít nejnovější nabídky prodeje pozemků pro bydlení v Kostelci (okr. Jihlava).

Podobné nabídky