Prodej pole, Kamenice, 3178 m2 (ID: 1983039)
Kamenice
Popis
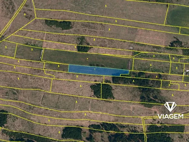
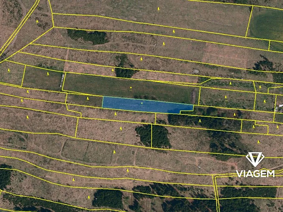
Hledáte investici, která vám zajistí stabilní příjem a ochranu před inflací? Co takhle pořízení kvalitní orné půdy v okrese Jihlava? Nabízíme vám jedinečnou příležitost vlastnit 100% pozemek bez spoluvlastníků, což znamená, že veškeré výhody a zisky budou pouze vaše!
Nabízíme Vám následující pozemky v katastrálním území Kamenice u Jihlavy: 
- parc. č. 1972/1 - výměra 3178 m2 
Investice do zemědělské půdy je v současné době jednou z nejstabilnějších a nejvýhodnějších možností. Ceny orné půdy neustále rostou, což zajišťuje, že vaše investice bude mít dlouhodobou hodnotu. Nezmeškejte tuto příležitost a zajistěte si svůj kousek země, který vám přinese nejen klid, ale i finanční jistotu.
Zajišťujeme rychlý prodej - připravíme kupní smlouvy a v případě zájmu Vám zajistíme ostatní právní služby. Zaručíme Vám jednoduchý a transparentní prodej. V případě zájmu nebo dotazů nás neváhejte kontaktovat na níže uvedeném telefonním čísle nebo e-mailu.
Tento inzerát není závaznou nabídkou inzerenta, podmínky prodeje se mohou v jeho průběhu měnit.
Máte zájem o tuto nemovitost?
Sokolovská 131/86, Praha
Pomůžeme Vám!
Pomůžeme Vám!
Kontakt
 
                        Jiří Spurný
Přihlášení k odběru
Nenechte si ujít nejnovější nabídky prodeje polí v Kamenici (okr. Jihlava).
Podobné nabídky
 
        Prodej pole, Nová Říše, 2895 m2
101 210 Kč
 
        Prodej pole, Třešť, 19 m2
41 800 Kč
 
        Prodej pole, Zhoř, 3214 m2
140 000 Kč
 
        Prodej pole, Bítovčice, 709 m2
18 894 Kč
 
                                                                                     
                                                                                     
                                                                                     
                                                                                    