Prodej podílu pole, Daleké Dušníky, 375 m2 (ID: 1982595)

Daleké Dušníky


12 617 Kč /za nemovitost
Získejte výhodnou HYPOTÉKU
Regionální dodavatelé v Dalekých Dušníkách

Revize elektrických zařízení

Popis

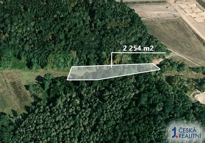
Hledáte ideální pozemek pro efektivní zemědělské využití? Máme pro vás skvělou příležitost! Nabízíme ornou půdu v okrese Příbram, konkrétně v katastrálním území Daleké Dušníky. Rovinatý terén těchto pozemků je perfektní pro všechny zemědělské aktivity, které si dokážete představit. Investice do půdy je navíc skvělým způsobem, jak ochránit své finance před inflací a zajistit si stabilní růst hodnoty.

Nabízíme Vám následující pozemky v katastrálním území Daleké Dušníky:
- parc. č. 379/3 - výměra 2254 m2

Zajišťujeme rychlý prodej - připravíme kupní smlouvy a v případě zájmu Vám zajistíme ostatní právní služby. Zaručíme Vám jednoduchý a transparentní prodej. V případě zájmu nebo dotazů nás neváhejte kontaktovat na níže uvedeném telefonním čísle nebo e-mailu.

Tento inzerát není závaznou nabídkou inzerenta, podmínky prodeje se mohou v jeho průběhu měnit.

Cena
12 617 Kč /za nemovitost
Aktualizováno
26. 10. 2025
Adresa
Daleké Dušníky
ID
2664
Plocha pozemku
375 m2

Máte zájem o tuto nemovitost?

Tímto, v souladu s nařízením Evropského parlamentu a Rady (EU) 2016/679, v platném znění, prohlašuji, že mi je alespoň 16 let a uděluji tak svůj souhlas se zpracováním zadaných údajů (jméno, telefon, e-mail, ip adresa) společnosti B3 Technology, s.r.o., IČ: 07330600, se sídlem Novostavby 126/23, 435 11 Lom (správce dat), za účelem předání dotazu z tohoto formuláře Vámi vybranému inzerentovi a zpětného kontaktování mé osoby. Osobní údaje bude správce zpracovávat manuálně i automaticky přímo prostřednictvím svých zaměstnanců. Informace předané tímto formulářem budou uloženy v databázi správce maximálně po dobu 10 let. Odvolání souhlasu s uložením a zpracováním poskytnutých dat lze e-mailem na info@realitymat.cz. V případě podezření na neoprávněné použití Vámi poskytnutých údajů máte právo předat podnět k šetření Úřadu pro ochranu osobních údajů. Více informací
Chystáte se prodat nemovitost?
Pomůžeme Vám!

Kontakt

Jiří Spurný

Jiří Spurný

Přihlášení k odběru

Nenechte si ujít nejnovější nabídky prodeje podílu polí v Dalekých Dušníkách.

Podobné nabídky