Prodej komerčního pozemku, Cheb, Nižnětagilská, 19626 m2
Nižnětagilská, Cheb
1 890 Kč
/za metr čtvereční
HYPOTÉKA od
8 Kč /měs.
Regionální
dodavatelé v Chebu
Popis
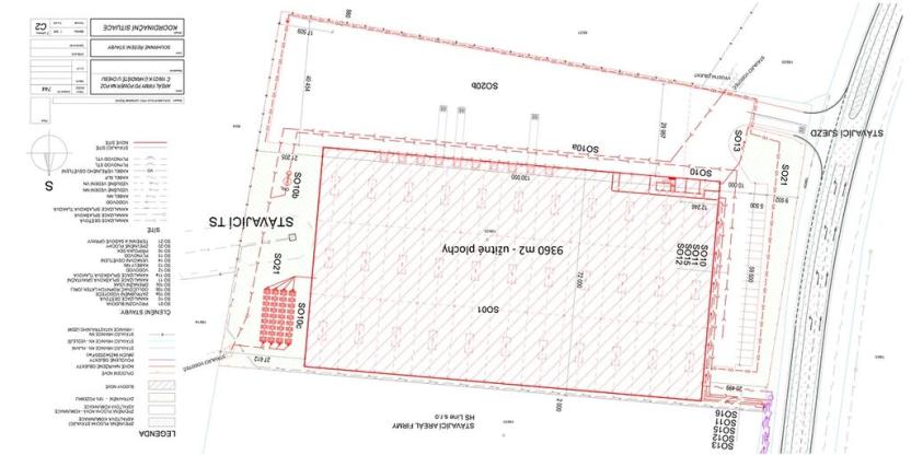
Nabízíme k prodeji komerční pozemek v průmyslové zóně města Chebu v místní části Hradiště u Chebu s vydaným Stavebním povolením na Truck centrum viz Koordinační situace v obrázcích s možností změny stavebního povolení na Logistickou halu s výškou 15 m. Pozemek je k dnešnímu dni napojen na veřejný vodovod a elektřinu, dále je povolena přípojka plynu a kanalizace, která je momentálně ve fázi přípravy realizace. Pozemek má vybudovaný sjezd. Bližší informace Vám rádi pošleme do emailu.
Cena
1 890 Kč /za metr čtvereční Spočítat hypotéku
Aktualizováno
3. 10. 2025
Adresa
Nižnětagilská, Cheb
ID
4
Plocha pozemku
19626 m2
Elektřina
400V
Plyn
Plynovod
Odpad
Veřejná kanalizace
Doprava
Dálnice, Silnice
Voda
Vodovod
Máte zájem o tuto nemovitost?
Krupská 14/21, Teplice
Pomůžeme Vám!
Pomůžeme Vám!
Kontakt

Dušan Bouška
Přihlášení k odběru
Nenechte si ujít nejnovější nabídky prodeje komerčních pozemků v Chebu.