Prodej louky, Ústí nad Labem, 6389 m2 (ID: 1959639)
Ústí nad Labem
Popis
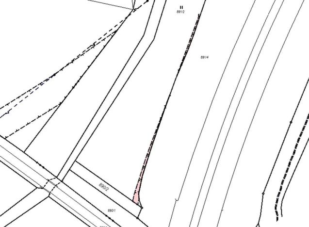
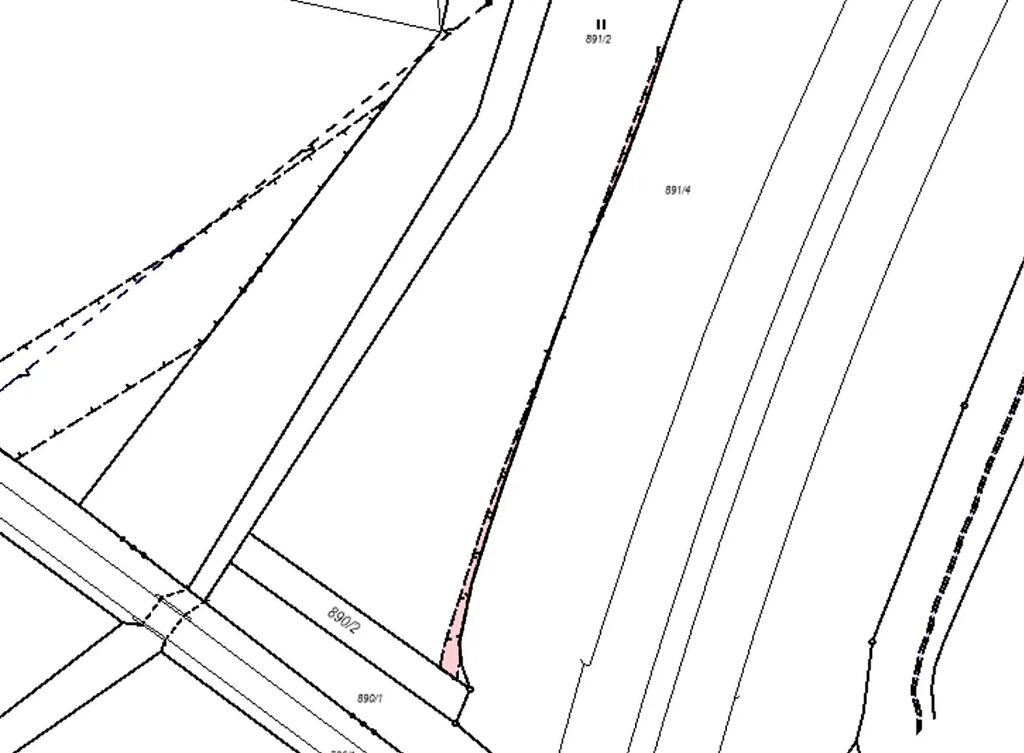
Prodáme louku v k.ú. Všebořice, parcela č. 891/2, mezi průmyslovým areálem a dálnicí D8, se skvělým přístupem z asfaltové komunikace. Sousedí též s místním potokem.
Na okraj pozemku zasahuje věcné břemeno - vodovod, viz obrázek.
Prodej od přímého majitele, nejsme RK, nebudete platit žádnou provizi.
Máme na prodej i pozemky v těsném sousedství.
Prosím, podívejte se i na další nabídku naší společnosti. Máme pozemky po celé republice za velmi zajímavé ceny! Na této stránce dole klikněte na červený nápis Více o společnosti a potom na políčko Inzeráty. Těšíme se na Váš zájem, pokud máte jinou představu o ceně, napište, každou rozumnou nabídkou se budeme seriózně zabývat!
Máte zájem o tuto nemovitost?
Severozápadní III 365/28, Praha, Záběhlice
Pomůžeme Vám!
Pomůžeme Vám!
Kontakt

Ing. Petr Brož
Přihlášení k odběru
Nenechte si ujít nejnovější nabídky prodeje louk v Ústí nad Labem.